
Regbertslaan 3 is een adres in Schoorl, dat zich bevindt binnen de gemeentegrenzen van Schoorl en de grenzen van de provincie Noord-Holland. Het verblijfsobject is 103 m² groot en bevindt zich op een perceel met een oppervlakte van 735 m². Gemiddeld hebben adressen in Nederland een oppervlakte van 119 m². In de straat is dit het kleinste object. Het grootste verblijfsobject heeft een oppervlakte van 145 m². De gemiddelde grootte is er 124 m². In het jaar 1985 is het pand waarin Regbertslaan 3 ligt gebouwd. Dat is relatief recent: de meeste gebouwen in Nederland zijn gebouwd in de periode 1965-1984. Het gemiddelde bouwjaar in de straat is 1968 en dat van het oudste pand is 1950. Dit is het nieuwste object in de straat. Voor het verblijfsobject gelden deze gebruiksdoelen: 'woonfunctie'.
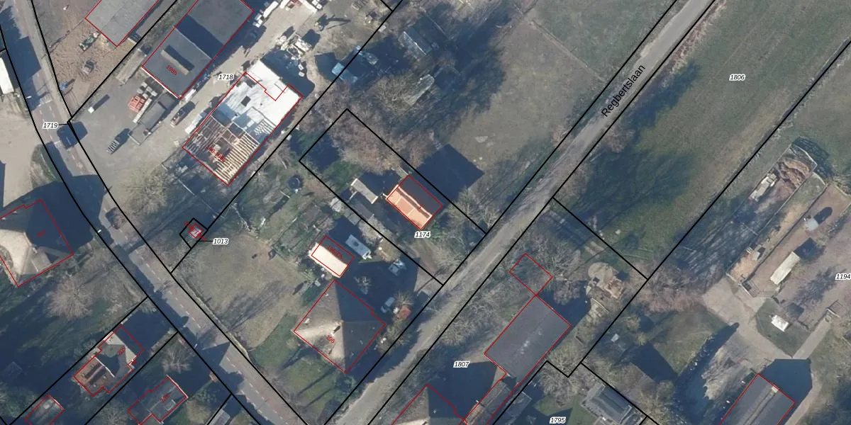
Het perceel waarop het adres ligt is SCH01-B-1174. De afkorting 'SCH01' staat voor kadastrale gemeente Schoorl. De gemiddelde perceelgrootte in Schoorl is 8669,67 m². Dit perceel is kleiner: de perceeloppervlakte bedraagt 735 m². De grootste perceeloppervlakte in de kadastrale gemeente is 11,64 km². De kleinste oppervlakte bedraagt 0 m². Dit is het enige adres dat aanwezig is op het perceel. De huidige grenzen van het perceel zijn digitaal in de Basisregistratie Kadaster (BRK) geregistreerd op 01-06-2001.
Er is geen energielabel geregistreerd voor het adres. Het hoogste energielabel in de straat is E; het laagste is G. Het gemiddelde energielabel is er E. Het adres Regbertslaan 3 heeft als status: 'verblijfsobject in gebruik'. Het pand waarin dit adres ligt heeft als status: 'pand in gebruik'.
Regbertslaan 3 is een adres gelegen in de gemeente Bergen (NH.), provincie Noord-Holland. Dit adres is geregistreerd in de Basisregistratie Adressen en Gebouwen (BAG) met als unieke identificatie 0373010000014762.
Het pand op Regbertslaan 3 is gebouwd in 1985, wat betekent dat het 41 jaar oud is. Dit is een pand van middelbare leeftijd. Het pand is van gemiddelde leeftijd en zal waarschijnlijk verouderde elementen bevatten.
De woning op Regbertslaan 3 heeft een gebruiksoppervlakte van 103 m². Dit is onder het gemiddelde vergeleken met de gemiddelde Nederlandse woning, die een oppervlakte heeft van ongeveer 119 m². De gebruiksoppervlakte is de maat die wordt gebruikt in de BAG-registratie, de landelijke registratie van de Nederlandse overheid.
Regbertslaan 3 heeft als functie: wonen. Deze gebruiksfunctie(s) zijn vastgelegd in de BAG-registratie en geven aan waarvoor het adres officieel mag worden gebruikt.
Regbertslaan 3 is gelegen op kadastraal perceel SCH01B1174. Deze kadastrale aanduiding is uniek en wordt gebruikt door het Kadaster om eigendomsrechten en andere zakelijke rechten vast te leggen. Het perceel maakt onderdeel uit van de kadastrale gemeente Schoorl.
Het perceel waarop Regbertslaan 3 staat heeft een oppervlakte van 735 m². Dit is een groot perceel. De perceeloppervlakte wordt geregistreerd door het Kadaster. Gedetailleerde informatie over de maten van dit perceel kunt u vinden in het rapport Kadastrale kaart met maatvoering van Regbertslaan 3.
De eigenaar van Regbertslaan 3 is op te vragen op deze pagina.
De informatie over dit adres is afkomstig uit officiële overheidsregistraties, voornamelijk de Basisregistratie Adressen en Gebouwen (BAG) en de Basisregistratie Kadaster (BRK). Deze gegevens worden beheerd door respectievelijk gemeenten en het Kadaster, en worden regelmatig bijgewerkt. Energielabelgegevens komen uit de database van de Rijksdienst voor Ondernemend Nederland (RVO).
