
Zeesweg 26 is een adres in Sevenum, dat zich bevindt binnen de gemeentegrenzen van Sevenum en de grenzen van de provincie Limburg. De oppervlakte van het verblijfsobject is met 280 m² aan de grote kant. Het perceel heeft een oppervlakte van 2,0 ha. Het adres is klein vergeleken met andere objecten in de straat. Het grootste object in de straat heeft een oppervlakte van 1327 m², het kleinste is 121 m² groot. In het jaar 2012 is het pand waarin Zeesweg 26 ligt gebouwd. Dat is relatief recent: de meeste gebouwen in Nederland zijn gebouwd in de periode 1965-1984. Dit object is relatief nieuw in de straat. Het nieuwste gebouw komt er uit het jaar 2021 en het oudste uit het jaar 1850. Voor het verblijfsobject gelden deze gebruiksdoelen: 'woonfunctie'.
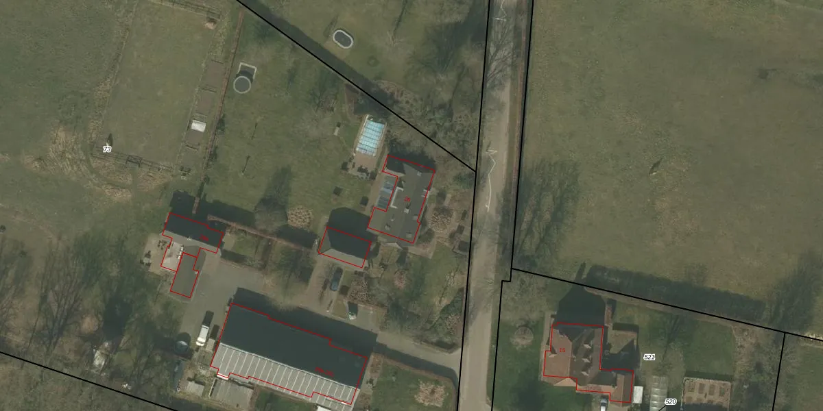
Het adres ligt op het perceel SVN01-U-73, dat zich in de kadastrale gemeente Sevenum bevindt. Het perceel is met 2,0 ha relatief groot. Het gemiddelde ligt in de kadastrale gemeente Sevenum op 7523,39 m². De grootste perceeloppervlakte in de kadastrale gemeente is 3,39 km². De kleinste oppervlakte bedraagt 0 m². Op het perceel liggen in totaal 4 adressen. De huidige grenzen van het perceel zijn digitaal in de Basisregistratie Kadaster (BRK) geregistreerd op 29-03-2006.
Er is geen energielabel geregistreerd voor het adres. Het hoogste energielabel in de straat is A++++; het laagste is G. Het gemiddelde energielabel is er A. Het adres Zeesweg 26 heeft als status: 'verblijfsobject in gebruik'. Het pand waarin dit adres ligt heeft als status: 'pand in gebruik'.
Zeesweg 26 is een adres gelegen in de gemeente Horst aan de Maas, provincie Limburg. Dit adres is geregistreerd in de Basisregistratie Adressen en Gebouwen (BAG) met als unieke identificatie 1507011000017353.
Het pand op Zeesweg 26 is gebouwd in 2012, wat betekent dat het 14 jaar oud is. Dit is een relatief modern pand. Ten opzichte van de nationale woningvoorraad is het pand relatief modern, maar er kunnen enkele verouderde elementen zijn die aandacht nodig hebben.
De woning op Zeesweg 26 heeft een gebruiksoppervlakte van 280 m². Dit is ruim vergeleken met de gemiddelde Nederlandse woning, die een oppervlakte heeft van ongeveer 119 m². De gebruiksoppervlakte is de maat die wordt gebruikt in de BAG-registratie, de landelijke registratie van de Nederlandse overheid.
Zeesweg 26 heeft als functie: wonen. Deze gebruiksfunctie(s) zijn vastgelegd in de BAG-registratie en geven aan waarvoor het adres officieel mag worden gebruikt.
Zeesweg 26 is gelegen op kadastraal perceel SVN01U73. Deze kadastrale aanduiding is uniek en wordt gebruikt door het Kadaster om eigendomsrechten en andere zakelijke rechten vast te leggen. Het perceel maakt onderdeel uit van de kadastrale gemeente Sevenum.
Het perceel waarop Zeesweg 26 staat heeft een oppervlakte van 2,0 ha. Dit is een zeer groot perceel. De perceeloppervlakte wordt geregistreerd door het Kadaster. Gedetailleerde informatie over de maten van dit perceel kunt u vinden in het rapport Kadastrale kaart met maatvoering van Zeesweg 26.
De eigenaar van Zeesweg 26 is op te vragen op deze pagina.
De informatie over dit adres is afkomstig uit officiële overheidsregistraties, voornamelijk de Basisregistratie Adressen en Gebouwen (BAG) en de Basisregistratie Kadaster (BRK). Deze gegevens worden beheerd door respectievelijk gemeenten en het Kadaster, en worden regelmatig bijgewerkt. Energielabelgegevens komen uit de database van de Rijksdienst voor Ondernemend Nederland (RVO).
