
Munstermanstraat 6-A is een adres in Silvolde, dat zich bevindt binnen de gemeentegrenzen van Silvolde en de grenzen van de provincie Gelderland. De oppervlakte van het object bedraagt 28 m². Dat is klein vergeleken met het Nederlandse gemiddelde. Het perceel waarop het adres ligt is 220 m² groot. In de straat is dit het kleinste object. Het grootste verblijfsobject heeft een oppervlakte van 6773 m². De gemiddelde grootte is er 897 m². Het pand waarin Munstermanstraat 6-A ligt is gebouwd in het jaar 2002. Panden die gebouwd zijn na het jaar 1984 noemen we hier relatief nieuw. Veel andere gebouwen in de straat zijn ouder dan dit pand. Het oudste pand komt uit het jaar 1910 en het nieuwste uit 2021. De volgende gebruiksdoelen zijn geregistreerd voor dit adres: 'bijeenkomstfunctie'.
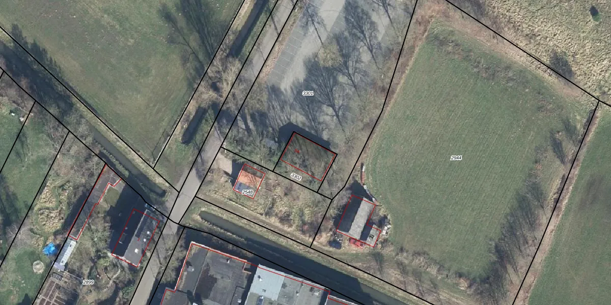
Het perceel waarop het adres ligt is WIS00-B-3302. De afkorting 'WIS00' staat voor kadastrale gemeente Wisch. Het perceel is 220 m² groot. Dat is kleiner dan de gemiddelde perceeloppervlakte in Wisch, dat op 3146,48 m² ligt. Het kleinste perceel in de kadastrale gemeente is 0 m² groot. De grootste perceeloppervlakte is 26,7 ha. Er zijn geen andere adressen aanwezig op het perceel. De huidige grenzen van het perceel zijn digitaal in de Basisregistratie Kadaster (BRK) geregistreerd op 06-08-2002.
Er is geen energielabel geregistreerd voor het adres. Het hoogste energielabel in de straat is A; het laagste is G. Het gemiddelde energielabel is er C. Het adres Munstermanstraat 6-A heeft als status: 'verblijfsobject in gebruik'. Het pand waarin dit adres ligt heeft als status: 'pand in gebruik'.
Munstermanstraat 6-A is een adres gelegen in de gemeente Oude IJsselstreek, provincie Gelderland. Dit adres is geregistreerd in de Basisregistratie Adressen en Gebouwen (BAG) met als unieke identificatie 1509010000227660.
Het pand op Munstermanstraat 6-A is gebouwd in 2002, wat betekent dat het 24 jaar oud is. Dit is een relatief modern pand. Ten opzichte van de nationale woningvoorraad is het pand relatief modern, maar er kunnen enkele verouderde elementen zijn die aandacht nodig hebben.
De woning op Munstermanstraat 6-A heeft een gebruiksoppervlakte van 28 m². Dit is relatief klein vergeleken met de gemiddelde Nederlandse woning, die een oppervlakte heeft van ongeveer 119 m². De gebruiksoppervlakte is de maat die wordt gebruikt in de BAG-registratie, de landelijke registratie van de Nederlandse overheid.
Munstermanstraat 6-A heeft als functie: bijeenkomsten. Deze gebruiksfunctie(s) zijn vastgelegd in de BAG-registratie en geven aan waarvoor het adres officieel mag worden gebruikt.
Munstermanstraat 6-A is gelegen op kadastraal perceel WIS00B3302. Deze kadastrale aanduiding is uniek en wordt gebruikt door het Kadaster om eigendomsrechten en andere zakelijke rechten vast te leggen. Het perceel maakt onderdeel uit van de kadastrale gemeente Wisch.
Het perceel waarop Munstermanstraat 6-A staat heeft een oppervlakte van 220 m². Dit is een middelgroot perceel. De perceeloppervlakte wordt geregistreerd door het Kadaster. Gedetailleerde informatie over de maten van dit perceel kunt u vinden in het rapport Kadastrale kaart met maatvoering van Munstermanstraat 6-A.
De eigenaar van Munstermanstraat 6-A is op te vragen op deze pagina
De informatie over dit adres is afkomstig uit officiële overheidsregistraties, voornamelijk de Basisregistratie Adressen en Gebouwen (BAG) en de Basisregistratie Kadaster (BRK). Deze gegevens worden beheerd door respectievelijk gemeenten en het Kadaster, en worden regelmatig bijgewerkt. Energielabelgegevens komen uit de database van de Rijksdienst voor Ondernemend Nederland (RVO).
