
Het adres Brandstraat 71 bevindt zich in de plaats Simpelveld, in de gemeente Simpelveld en de provincie Limburg. Het perceel waarop het adres gelegen is heeft een oppervlakte van 5575 m². Het verblijfsobject is met 71 m² relatief klein. Dit is het adres met de grootste oppervlakte van alle adressen in de straat. Gemiddeld hebben de objecten in de straat een oppervlakte van 62 m². De kleinste oppervlakte is er 11 m². In Nederland komt het grootste deel van de gebouwen uit de periode 1965-1984. Ook het bouwjaar van Brandstraat 71 is afkomstig uit die periode: het betreft namelijk een pand uit 1966. Het gemiddelde bouwjaar in de straat is 1966 en dat van het oudste pand is 1966. Dit is het nieuwste object in de straat. Voor het verblijfsobject gelden deze gebruiksdoelen: 'woonfunctie'.
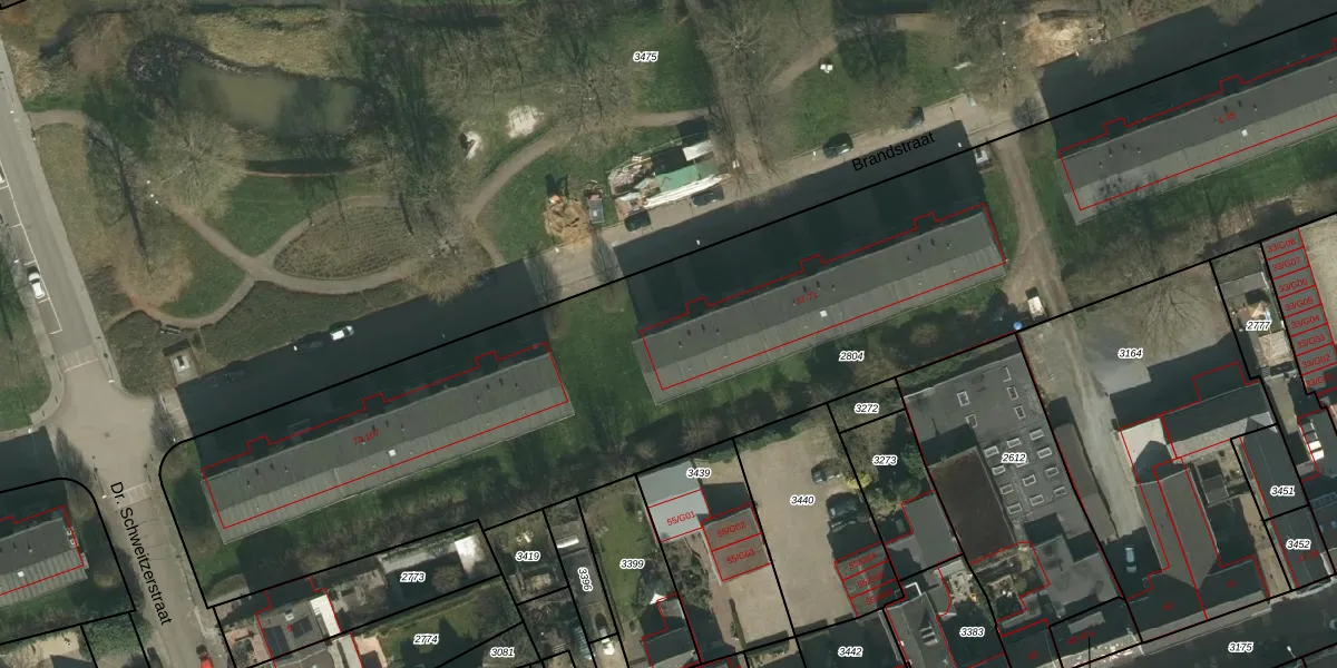
Het adres ligt op het perceel SPV00-D-2804, dat zich in de kadastrale gemeente Simpelveld bevindt. Het perceel is met 5575 m² relatief groot. Het gemiddelde ligt in de kadastrale gemeente Simpelveld op 2711,48 m². Het grootste perceel in de kadastrale gemeente is 16,2 ha. Het kleinste perceel heeft een oppervlakte van 0 m². Er zijn 72 adressen aanwezig op het perceel. In de Basisregistratie Kadaster (BRK) werden de grenzen van het perceel geregistreerd op 07-06-2016.
Het adres ligt in een gebouw van het type 'flatwoning (overig) met het subtype hoekdak'. Bij de laatste meting is voor het adres het energielabel D geregistreerd. Het hoogste energielabel in de straat is C; het laagste is G. Het gemiddelde energielabel is er D. Het adres Brandstraat 71 heeft als status: 'verblijfsobject in gebruik'. Het pand waarin dit adres ligt heeft als status: 'pand in gebruik'.
Brandstraat 71 is een adres gelegen in de gemeente Simpelveld, provincie Limburg. Dit adres is geregistreerd in de Basisregistratie Adressen en Gebouwen (BAG) met als unieke identificatie 0965010000811586.
Het pand op Brandstraat 71 is gebouwd in 1966, wat betekent dat het 60 jaar oud is. Dit is een ouder pand. Het pand heeft mogelijk aanzienlijke renovaties nodig om aan de huidige standaarden te voldoen.
De woning op Brandstraat 71 heeft een gebruiksoppervlakte van 71 m². Dit is relatief klein vergeleken met de gemiddelde Nederlandse woning, die een oppervlakte heeft van ongeveer 119 m². De gebruiksoppervlakte is de maat die wordt gebruikt in de BAG-registratie, de landelijke registratie van de Nederlandse overheid.
Brandstraat 71 heeft als functie: wonen. Deze gebruiksfunctie(s) zijn vastgelegd in de BAG-registratie en geven aan waarvoor het adres officieel mag worden gebruikt.
Brandstraat 71 is gelegen op kadastraal perceel SPV00D2804. Deze kadastrale aanduiding is uniek en wordt gebruikt door het Kadaster om eigendomsrechten en andere zakelijke rechten vast te leggen. Het perceel maakt onderdeel uit van de kadastrale gemeente Simpelveld.
Het perceel waarop Brandstraat 71 staat heeft een oppervlakte van 5575 m². Dit is een zeer groot perceel. De perceeloppervlakte wordt geregistreerd door het Kadaster. Gedetailleerde informatie over de maten van dit perceel kunt u vinden in het rapport Kadastrale kaart met maatvoering van Brandstraat 71.
De eigenaar van Brandstraat 71 is op te vragen op deze pagina.
De informatie over dit adres is afkomstig uit officiële overheidsregistraties, voornamelijk de Basisregistratie Adressen en Gebouwen (BAG) en de Basisregistratie Kadaster (BRK). Deze gegevens worden beheerd door respectievelijk gemeenten en het Kadaster, en worden regelmatig bijgewerkt. Energielabelgegevens komen uit de database van de Rijksdienst voor Ondernemend Nederland (RVO).
