
Dr. Philipsstraat 53 is gelegen in de plaats Sittard, de gemeente Sittard-Geleen en de provincie Limburg. Het verblijfsobject is vergeleken met het Nederlandse gemiddelde aan de kleine kant: de oppervlakte is 78 m². Het perceel waarop het adres zich bevindt heeft een oppervlakte van 3910 m². Het object is klein ten opzichte van de andere adressen in de straat. Het grootste verblijfsobject is 2,9 ha groot en het kleinste is 36 m². Het gebouw waarin Dr. Philipsstraat 53 ligt komt uit het jaar 1950. Objecten die gebouwd zijn vóór 1965 classificeren we hier als oud. Het nieuwste gebouw in de straat komt uit 2020 en het oudste uit 1946. Dit object is relatief oud. Voor het verblijfsobject gelden deze gebruiksdoelen: 'woonfunctie'.
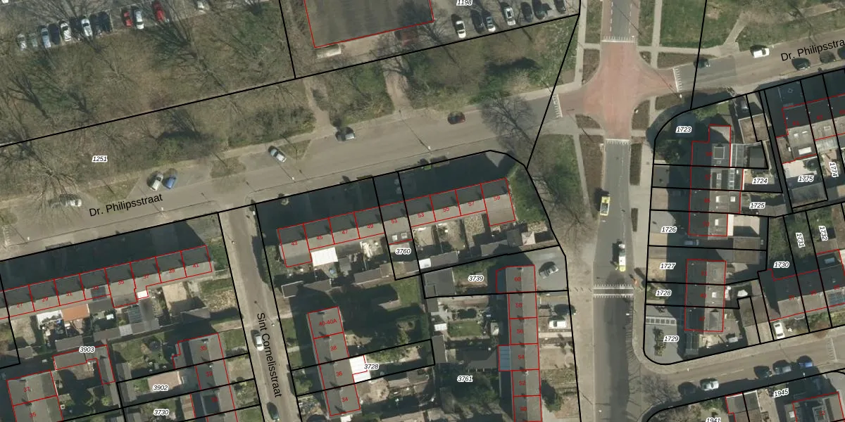
Het perceel waarop het adres ligt is STD00-K-3761. De afkorting 'STD00' staat voor kadastrale gemeente Sittard. Het perceel is met 3910 m² relatief groot. Het gemiddelde ligt in de kadastrale gemeente Sittard op 1472,94 m². Het kleinste perceel in de kadastrale gemeente is 0 m² groot. De grootste perceeloppervlakte is 30,7 ha. Op het perceel liggen in totaal 22 adressen. De laatste wijziging in het de Basisregistratie Kadaster (BRK) was op 21-03-2013.
Het adres ligt in een gebouw van het type 'rijwoning tussen'. Bij de laatste meting is voor het adres het energielabel C geregistreerd. Het hoogste energielabel in de straat is A; het laagste is G. Het gemiddelde energielabel is er D. Het adres Dr. Philipsstraat 53 heeft als status: 'verblijfsobject in gebruik'. Het pand waarin dit adres ligt heeft als status: 'pand in gebruik'.
Dr. Philipsstraat 53 is een adres gelegen in de gemeente Sittard-Geleen, provincie Limburg. Dit adres is geregistreerd in de Basisregistratie Adressen en Gebouwen (BAG) met als unieke identificatie 1883010000011600.
Het pand op Dr. Philipsstraat 53 is gebouwd in 1950, wat betekent dat het 76 jaar oud is. Dit is een ouder pand. Het pand heeft mogelijk aanzienlijke renovaties nodig om aan de huidige standaarden te voldoen.
De woning op Dr. Philipsstraat 53 heeft een gebruiksoppervlakte van 78 m². Dit is onder het gemiddelde vergeleken met de gemiddelde Nederlandse woning, die een oppervlakte heeft van ongeveer 119 m². De gebruiksoppervlakte is de maat die wordt gebruikt in de BAG-registratie, de landelijke registratie van de Nederlandse overheid.
Dr. Philipsstraat 53 heeft als functie: wonen. Deze gebruiksfunctie(s) zijn vastgelegd in de BAG-registratie en geven aan waarvoor het adres officieel mag worden gebruikt.
Dr. Philipsstraat 53 is gelegen op kadastraal perceel STD00K3761. Deze kadastrale aanduiding is uniek en wordt gebruikt door het Kadaster om eigendomsrechten en andere zakelijke rechten vast te leggen. Het perceel maakt onderdeel uit van de kadastrale gemeente Sittard.
Het perceel waarop Dr. Philipsstraat 53 staat heeft een oppervlakte van 3910 m². Dit is een zeer groot perceel. De perceeloppervlakte wordt geregistreerd door het Kadaster. Gedetailleerde informatie over de maten van dit perceel kunt u vinden in het rapport Kadastrale kaart met maatvoering van Dr. Philipsstraat 53.
De eigenaar van Dr. Philipsstraat 53 is op te vragen op deze pagina.
De informatie over dit adres is afkomstig uit officiële overheidsregistraties, voornamelijk de Basisregistratie Adressen en Gebouwen (BAG) en de Basisregistratie Kadaster (BRK). Deze gegevens worden beheerd door respectievelijk gemeenten en het Kadaster, en worden regelmatig bijgewerkt. Energielabelgegevens komen uit de database van de Rijksdienst voor Ondernemend Nederland (RVO).
