
Schubertstraat 4-III is gelegen in de plaats Sittard, de gemeente Sittard-Geleen en de provincie Limburg. Het verblijfsobject is vergeleken met het Nederlandse gemiddelde aan de kleine kant: de oppervlakte is 81 m². Het perceel waarop het adres zich bevindt heeft een oppervlakte van 1,6 ha. Het object is klein ten opzichte van de andere adressen in de straat. Het grootste verblijfsobject is 311 m² groot en het kleinste is 18 m². Schubertstraat 4-III bevindt zich in een pand uit het jaar 1964. Daarmee behoort het tot de groep relatief oude panden in Nederland die gebouwd zijn vóór 1965. Dit pand is het meest recent exemplaar in de straat. Het oudste object komt er uit 1964 en het gemiddelde bouwjaar is 1964. Het verblijfsobject heeft de volgende gebruiksdoelen: 'woonfunctie'.
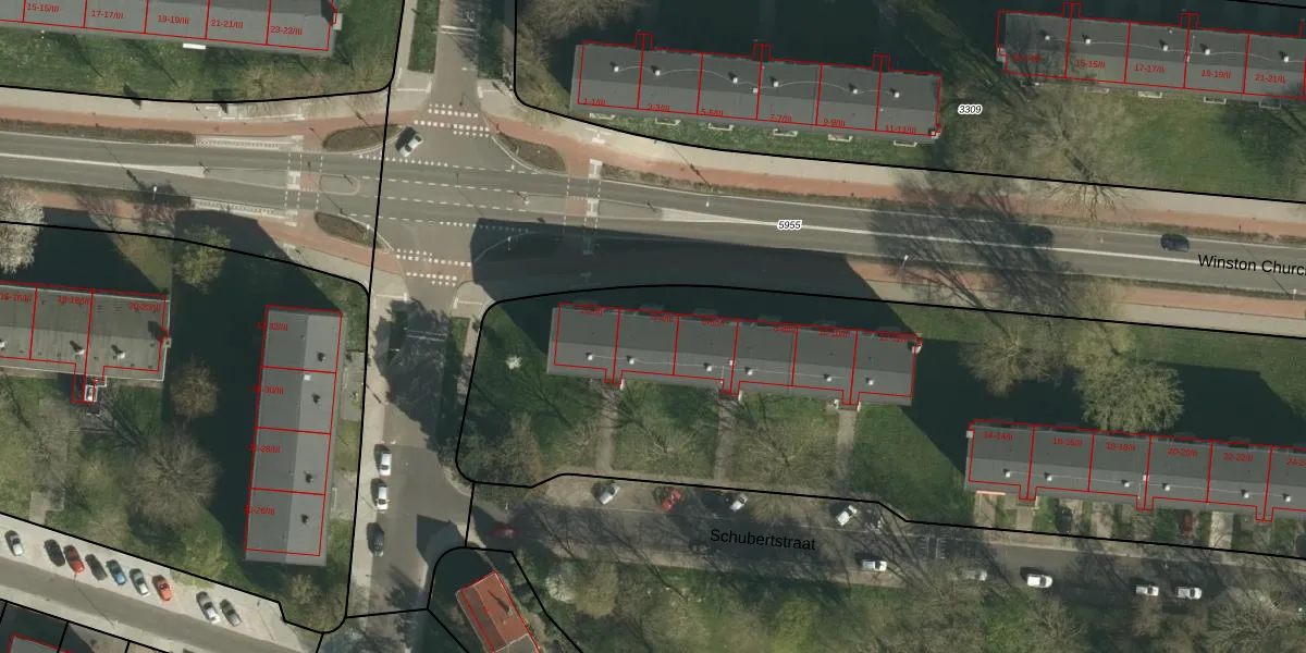
Het perceel waarop het adres ligt is STD00-H-995. De afkorting 'STD00' staat voor kadastrale gemeente Sittard. De gemiddelde perceeloppervlakte in de kadastrale gemeente Sittard is 1472,94 m². Dit perceel is met zijn 1,6 ha dus groter dan gemiddeld. Het grootste perceel in de kadastrale gemeente is 30,7 ha. Het kleinste perceel heeft een oppervlakte van 0 m². Op het perceel liggen in totaal 144 adressen. De laatste wijziging in het de Basisregistratie Kadaster (BRK) was op 21-10-2011.
Het adres ligt in een gebouw van het type 'appartement met het subtype hoekdak'. Bij de laatste meting is voor het adres het energielabel C geregistreerd. Het hoogste energielabel in de straat is A; het laagste is G. Het gemiddelde energielabel is er C. Het adres Schubertstraat 4-III heeft als status: 'verblijfsobject in gebruik'. Het pand waarin dit adres ligt heeft als status: 'pand in gebruik'.
Schubertstraat 4-III is een adres gelegen in de gemeente Sittard-Geleen, provincie Limburg. Dit adres is geregistreerd in de Basisregistratie Adressen en Gebouwen (BAG) met als unieke identificatie 1883010000046303.
Het pand op Schubertstraat 4-III is gebouwd in 1964, wat betekent dat het 62 jaar oud is. Dit is een ouder pand. Het pand heeft mogelijk aanzienlijke renovaties nodig om aan de huidige standaarden te voldoen.
De woning op Schubertstraat 4-III heeft een gebruiksoppervlakte van 81 m². Dit is onder het gemiddelde vergeleken met de gemiddelde Nederlandse woning, die een oppervlakte heeft van ongeveer 119 m². De gebruiksoppervlakte is de maat die wordt gebruikt in de BAG-registratie, de landelijke registratie van de Nederlandse overheid.
Schubertstraat 4-III heeft als functie: wonen. Deze gebruiksfunctie(s) zijn vastgelegd in de BAG-registratie en geven aan waarvoor het adres officieel mag worden gebruikt.
Schubertstraat 4-III is gelegen op kadastraal perceel STD00H995. Deze kadastrale aanduiding is uniek en wordt gebruikt door het Kadaster om eigendomsrechten en andere zakelijke rechten vast te leggen. Het perceel maakt onderdeel uit van de kadastrale gemeente Sittard.
Het perceel waarop Schubertstraat 4-III staat heeft een oppervlakte van 1,6 ha. Dit is een zeer groot perceel. De perceeloppervlakte wordt geregistreerd door het Kadaster. Gedetailleerde informatie over de maten van dit perceel kunt u vinden in het rapport Kadastrale kaart met maatvoering van Schubertstraat 4-III.
De eigenaar van Schubertstraat 4-III is op te vragen op deze pagina.
De informatie over dit adres is afkomstig uit officiële overheidsregistraties, voornamelijk de Basisregistratie Adressen en Gebouwen (BAG) en de Basisregistratie Kadaster (BRK). Deze gegevens worden beheerd door respectievelijk gemeenten en het Kadaster, en worden regelmatig bijgewerkt. Energielabelgegevens komen uit de database van de Rijksdienst voor Ondernemend Nederland (RVO).
