
Oosthemstraat 20 is gelegen in de plaats Sneek, de gemeente Súdwest-Fryslân en de provincie Friesland. De oppervlakte van het object bedraagt 19 m². Dat is klein vergeleken met het Nederlandse gemiddelde. Het perceel waarop het adres ligt is 4140 m² groot. Dit is het kleinste object van de straat. De gemiddelde oppervlakte van verblijfsobjecten is er 25 m². De grootste oppervlakte in de straat is 50 m². De meeste Nederlandse gebouwen zijn gebouwd in de periode 1965-1984. Zo ook het pand waarin Oosthemstraat 20 ligt, dat gebouwd is in 1975. In de straat is dit het nieuwste pand en stamt het oudste object uit het jaar 1967. Het gemiddelde bouwjaar in de straat is 1974. Voor het verblijfsobject gelden deze gebruiksdoelen: 'overige gebruiksfunctie'.
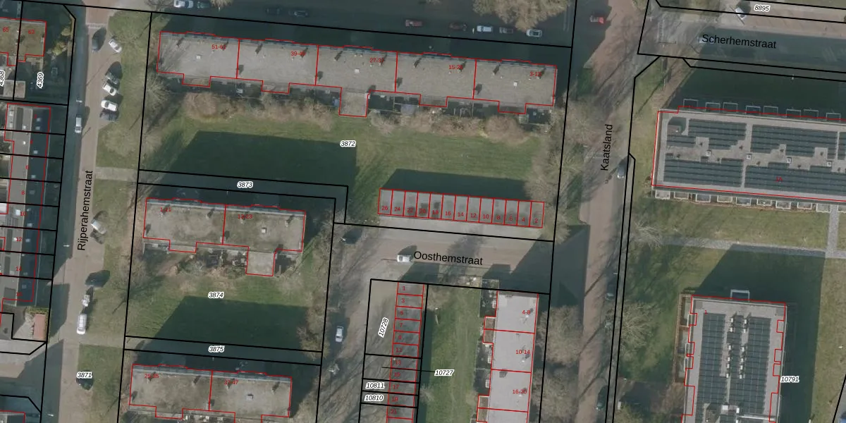
Het adres is gelegen op perceel 3872 in de sectie C en de kadastrale gemeente Sneek. De kadastrale aanduiding is aldus SNE00-C-3872. Het perceel is met 4140 m² relatief groot. Het gemiddelde ligt in de kadastrale gemeente Sneek op 2093,88 m². De grootste perceeloppervlakte in de kadastrale gemeente is 61,3 ha. De kleinste oppervlakte bedraagt 0 m². Op het perceel zijn 43 adressen aanwezig. De laatste wijziging in het de Basisregistratie Kadaster (BRK) was op 25-07-2008.
Er is geen energielabel geregistreerd voor het adres. Het hoogste energielabel in de straat is G; het laagste is G. Het gemiddelde energielabel is er G. Het adres Oosthemstraat 20 heeft als status: 'verblijfsobject in gebruik'. Het pand waarin dit adres ligt heeft als status: 'pand in gebruik'.
Oosthemstraat 20 is een adres gelegen in de gemeente Súdwest-Fryslân, provincie Friesland. Dit adres is geregistreerd in de Basisregistratie Adressen en Gebouwen (BAG) met als unieke identificatie 0091010000037243.
Het pand op Oosthemstraat 20 is gebouwd in 1975, wat betekent dat het 51 jaar oud is. Dit is een ouder pand. Het pand heeft mogelijk aanzienlijke renovaties nodig om aan de huidige standaarden te voldoen.
De woning op Oosthemstraat 20 heeft een gebruiksoppervlakte van 19 m². Dit is relatief klein vergeleken met de gemiddelde Nederlandse woning, die een oppervlakte heeft van ongeveer 119 m². De gebruiksoppervlakte is de maat die wordt gebruikt in de BAG-registratie, de landelijke registratie van de Nederlandse overheid.
Oosthemstraat 20 heeft als functie: overige doeleinden. Deze gebruiksfunctie(s) zijn vastgelegd in de BAG-registratie en geven aan waarvoor het adres officieel mag worden gebruikt.
Oosthemstraat 20 is gelegen op kadastraal perceel SNE00C3872. Deze kadastrale aanduiding is uniek en wordt gebruikt door het Kadaster om eigendomsrechten en andere zakelijke rechten vast te leggen. Het perceel maakt onderdeel uit van de kadastrale gemeente Sneek.
Het perceel waarop Oosthemstraat 20 staat heeft een oppervlakte van 4140 m². Dit is een zeer groot perceel. De perceeloppervlakte wordt geregistreerd door het Kadaster. Gedetailleerde informatie over de maten van dit perceel kunt u vinden in het rapport Kadastrale kaart met maatvoering van Oosthemstraat 20.
De eigenaar van Oosthemstraat 20 is op te vragen op deze pagina.
De informatie over dit adres is afkomstig uit officiële overheidsregistraties, voornamelijk de Basisregistratie Adressen en Gebouwen (BAG) en de Basisregistratie Kadaster (BRK). Deze gegevens worden beheerd door respectievelijk gemeenten en het Kadaster, en worden regelmatig bijgewerkt. Energielabelgegevens komen uit de database van de Rijksdienst voor Ondernemend Nederland (RVO).
