
Het adres Scherhemstraat 33 bevindt zich in de plaats Sneek, in de gemeente Sneek en de provincie Friesland. Het verblijfsobject is vergeleken met het Nederlandse gemiddelde aan de kleine kant: de oppervlakte is 76 m². Het perceel waarop het adres zich bevindt heeft een oppervlakte van 4140 m². Het object is klein ten opzichte van de andere adressen in de straat. Het grootste verblijfsobject is 816 m² groot en het kleinste is 64 m². Het gebouw waarin Scherhemstraat 33 ligt komt uit het jaar 1958. Objecten die gebouwd zijn vóór 1965 classificeren we hier als oud. Gemiddeld zijn de gebouwen in de straat gebouwd in 2001. Dit is het oudste pand in de straat. Het meest recente komt uit het jaar 2020. Voor het verblijfsobject gelden deze gebruiksdoelen: 'woonfunctie'.
Deze woning is voor het laatst verkocht op 1 januari 2007. Meer informatie over deze transactie? Bestel het Woningtransactierapport om de verkoopprijs en andere informatie te zien.
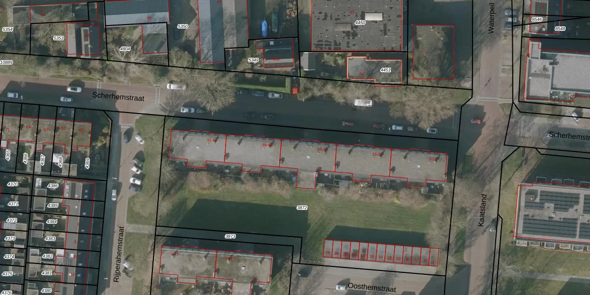
Het perceel waarop het adres ligt is SNE00-C-3872. De afkorting 'SNE00' staat voor kadastrale gemeente Sneek. Het perceel is met 4140 m² relatief groot. Het gemiddelde ligt in de kadastrale gemeente Sneek op 2093,88 m². Het kleinste perceel in de kadastrale gemeente is 0 m² groot. De grootste perceeloppervlakte is 61,3 ha. Op het perceel liggen in totaal 43 adressen. In de Basisregistratie Kadaster (BRK) werden de grenzen van het perceel geregistreerd op 25-07-2008.
Er is geen energielabel geregistreerd voor het adres. Het hoogste energielabel in de straat is A; het laagste is G. Het gemiddelde energielabel is er A. Het adres Scherhemstraat 33 heeft als status: 'verblijfsobject in gebruik'. Het pand waarin dit adres ligt heeft als status: 'pand in gebruik'.
Scherhemstraat 33 is een adres gelegen in de gemeente Súdwest-Fryslân, provincie Friesland. Dit adres is geregistreerd in de Basisregistratie Adressen en Gebouwen (BAG) met als unieke identificatie 0091010000021140.
Het pand op Scherhemstraat 33 is gebouwd in 1958, wat betekent dat het 68 jaar oud is. Dit is een ouder pand. Het pand heeft mogelijk aanzienlijke renovaties nodig om aan de huidige standaarden te voldoen.
De woning op Scherhemstraat 33 heeft een gebruiksoppervlakte van 76 m². Dit is onder het gemiddelde vergeleken met de gemiddelde Nederlandse woning, die een oppervlakte heeft van ongeveer 119 m². De gebruiksoppervlakte is de maat die wordt gebruikt in de BAG-registratie, de landelijke registratie van de Nederlandse overheid.
Scherhemstraat 33 heeft als functie: wonen. Deze gebruiksfunctie(s) zijn vastgelegd in de BAG-registratie en geven aan waarvoor het adres officieel mag worden gebruikt.
Scherhemstraat 33 is gelegen op kadastraal perceel SNE00C3872. Deze kadastrale aanduiding is uniek en wordt gebruikt door het Kadaster om eigendomsrechten en andere zakelijke rechten vast te leggen. Het perceel maakt onderdeel uit van de kadastrale gemeente Sneek.
Het perceel waarop Scherhemstraat 33 staat heeft een oppervlakte van 4140 m². Dit is een zeer groot perceel. De perceeloppervlakte wordt geregistreerd door het Kadaster. Gedetailleerde informatie over de maten van dit perceel kunt u vinden in het rapport Kadastrale kaart met maatvoering van Scherhemstraat 33.
De eigenaar van Scherhemstraat 33 is op te vragen op deze pagina.
De informatie over dit adres is afkomstig uit officiële overheidsregistraties, voornamelijk de Basisregistratie Adressen en Gebouwen (BAG) en de Basisregistratie Kadaster (BRK). Deze gegevens worden beheerd door respectievelijk gemeenten en het Kadaster, en worden regelmatig bijgewerkt. Energielabelgegevens komen uit de database van de Rijksdienst voor Ondernemend Nederland (RVO).
