
Worp Tjaardastraat 66 is gelegen in de plaats Sneek, de gemeente Súdwest-Fryslân en de provincie Friesland. De oppervlakte van het object bedraagt 68 m². Dat is klein vergeleken met het Nederlandse gemiddelde. Het perceel waarop het adres ligt is 6780 m² groot. Het object is klein ten opzichte van de andere adressen in de straat. Het grootste verblijfsobject is 314 m² groot en het kleinste is 42 m². Het adres Worp Tjaardastraat 66 ligt in een relatief oud pand uit het jaar 1959. Panden van vóór het jaar 1965 hebben we hier geclassificeerd als oud. Dit is het oudste object in de straat. Het nieuwste pand komt uit 1980 en het gemiddelde bouwjaar in de straat is 1961. Voor het verblijfsobject gelden deze gebruiksdoelen: 'woonfunctie'.
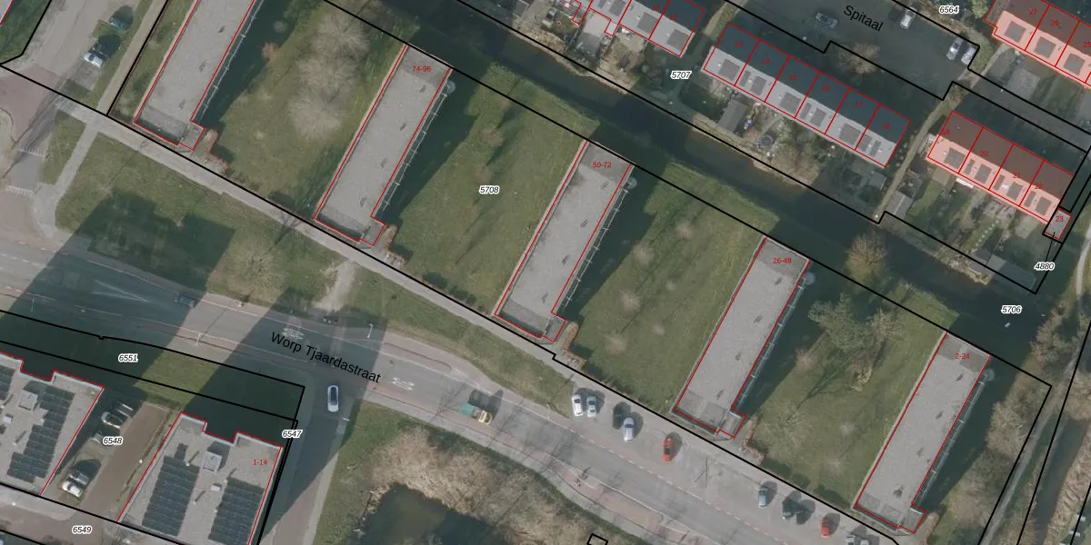
Het perceel waarop het adres ligt is SNE00-A-5708. De afkorting 'SNE00' staat voor kadastrale gemeente Sneek. Het perceel is met 6780 m² relatief groot. Het gemiddelde ligt in de kadastrale gemeente Sneek op 2093,37 m². De grootste perceeloppervlakte in de kadastrale gemeente is 61,3 ha. De kleinste oppervlakte bedraagt 0 m². Op het perceel zijn 60 adressen aanwezig. De laatste wijziging in het de Basisregistratie Kadaster (BRK) was op 28-02-2003.
Het adres ligt in een gebouw van het type 'flatwoning (overig) met het subtype hoekdak'. Bij de laatste meting is voor het adres het energielabel A geregistreerd. Het hoogste energielabel in de straat is A+; het laagste is G. Het gemiddelde energielabel is er B. Het adres Worp Tjaardastraat 66 heeft als status: 'verblijfsobject in gebruik'. Het pand waarin dit adres ligt heeft als status: 'pand in gebruik'.
Worp Tjaardastraat 66 is een adres gelegen in de gemeente Súdwest-Fryslân, provincie Friesland. Dit adres is geregistreerd in de Basisregistratie Adressen en Gebouwen (BAG) met als unieke identificatie 0091010000021250.
Het pand op Worp Tjaardastraat 66 is gebouwd in 1959, wat betekent dat het 67 jaar oud is. Dit is een ouder pand. Het pand heeft mogelijk aanzienlijke renovaties nodig om aan de huidige standaarden te voldoen.
De woning op Worp Tjaardastraat 66 heeft een gebruiksoppervlakte van 68 m². Dit is relatief klein vergeleken met de gemiddelde Nederlandse woning, die een oppervlakte heeft van ongeveer 119 m². De gebruiksoppervlakte is de maat die wordt gebruikt in de BAG-registratie, de landelijke registratie van de Nederlandse overheid.
Worp Tjaardastraat 66 heeft als functie: wonen. Deze gebruiksfunctie(s) zijn vastgelegd in de BAG-registratie en geven aan waarvoor het adres officieel mag worden gebruikt.
Worp Tjaardastraat 66 is gelegen op kadastraal perceel SNE00A5708. Deze kadastrale aanduiding is uniek en wordt gebruikt door het Kadaster om eigendomsrechten en andere zakelijke rechten vast te leggen. Het perceel maakt onderdeel uit van de kadastrale gemeente Sneek.
Het perceel waarop Worp Tjaardastraat 66 staat heeft een oppervlakte van 6780 m². Dit is een zeer groot perceel. De perceeloppervlakte wordt geregistreerd door het Kadaster. Gedetailleerde informatie over de maten van dit perceel kunt u vinden in het rapport Kadastrale kaart met maatvoering van Worp Tjaardastraat 66.
De eigenaar van Worp Tjaardastraat 66 is op te vragen op deze pagina.
De informatie over dit adres is afkomstig uit officiële overheidsregistraties, voornamelijk de Basisregistratie Adressen en Gebouwen (BAG) en de Basisregistratie Kadaster (BRK). Deze gegevens worden beheerd door respectievelijk gemeenten en het Kadaster, en worden regelmatig bijgewerkt. Energielabelgegevens komen uit de database van de Rijksdienst voor Ondernemend Nederland (RVO).
