
Het adres Johannes Poststraat 438 bevindt zich in de plaats Soest, in de gemeente Soest en de provincie Utrecht. Het verblijfsobject is vergeleken met het Nederlandse gemiddelde aan de kleine kant: de oppervlakte is 86 m². Het perceel waarop het adres zich bevindt heeft een oppervlakte van 655 m². In vergelijking met de andere adressen in de straat is de oppervlakte van dit object relatief groot. Het grootste verblijfsobject heeft een oppervlakte van 185 m², de oppervlakte van het kleinste object bedraagt 5 m². De meeste Nederlandse gebouwen zijn gebouwd in de periode 1965-1984. Zo ook het pand waarin Johannes Poststraat 438 ligt, dat gebouwd is in 1973. Dit pand is het meest recent exemplaar in de straat. Het oudste object komt er uit 1970 en het gemiddelde bouwjaar is 1973. Het verblijfsobject heeft de volgende gebruiksdoelen: 'woonfunctie'.
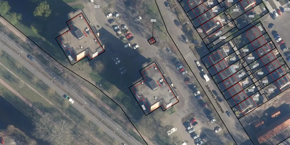
Het perceel waarop het adres ligt is SOE00-G-7092. De afkorting 'SOE00' staat voor kadastrale gemeente Soest. Het perceel is kleiner dan gemiddeld in Soest. Het perceel is 655 m² groot, terwijl het gemiddelde ligt op 2252,67 m². De grootste perceeloppervlakte in de kadastrale gemeente is 1,42 km². De kleinste oppervlakte bedraagt 0 m². Op het perceel liggen in totaal 40 adressen. In de Basisregistratie Kadaster (BRK) werden de grenzen van het perceel geregistreerd op 27-01-2003.
Het adres ligt in een gebouw van het type 'flatwoning (overig) met het subtype tussenmidden'. Bij de laatste meting is voor het adres het energielabel D geregistreerd. Het hoogste energielabel in de straat is A+++; het laagste is G. Het gemiddelde energielabel is er E. Het adres Johannes Poststraat 438 heeft als status: 'verblijfsobject in gebruik'. Het pand waarin dit adres ligt heeft als status: 'pand in gebruik'.
Johannes Poststraat 438 is een adres gelegen in de gemeente Soest, provincie Utrecht. Dit adres is geregistreerd in de Basisregistratie Adressen en Gebouwen (BAG) met als unieke identificatie 0342010000016793.
Het pand op Johannes Poststraat 438 is gebouwd in 1973, wat betekent dat het 53 jaar oud is. Dit is een ouder pand. Het pand heeft mogelijk aanzienlijke renovaties nodig om aan de huidige standaarden te voldoen.
De woning op Johannes Poststraat 438 heeft een gebruiksoppervlakte van 86 m². Dit is onder het gemiddelde vergeleken met de gemiddelde Nederlandse woning, die een oppervlakte heeft van ongeveer 119 m². De gebruiksoppervlakte is de maat die wordt gebruikt in de BAG-registratie, de landelijke registratie van de Nederlandse overheid.
Johannes Poststraat 438 heeft als functie: wonen. Deze gebruiksfunctie(s) zijn vastgelegd in de BAG-registratie en geven aan waarvoor het adres officieel mag worden gebruikt.
Johannes Poststraat 438 is gelegen op kadastraal perceel SOE00G7092. Deze kadastrale aanduiding is uniek en wordt gebruikt door het Kadaster om eigendomsrechten en andere zakelijke rechten vast te leggen. Het perceel maakt onderdeel uit van de kadastrale gemeente Soest.
Het perceel waarop Johannes Poststraat 438 staat heeft een oppervlakte van 655 m². Dit is een groot perceel. De perceeloppervlakte wordt geregistreerd door het Kadaster. Gedetailleerde informatie over de maten van dit perceel kunt u vinden in het rapport Kadastrale kaart met maatvoering van Johannes Poststraat 438.
De eigenaar van Johannes Poststraat 438 is op te vragen op deze pagina.
De informatie over dit adres is afkomstig uit officiële overheidsregistraties, voornamelijk de Basisregistratie Adressen en Gebouwen (BAG) en de Basisregistratie Kadaster (BRK). Deze gegevens worden beheerd door respectievelijk gemeenten en het Kadaster, en worden regelmatig bijgewerkt. Energielabelgegevens komen uit de database van de Rijksdienst voor Ondernemend Nederland (RVO).
