
Kampweg 49-C-14 is gelegen in de plaats Soesterberg, de gemeente Soest en de provincie Utrecht. Het perceel waarop het verblijfsobject staat is 1,0 ha groot. De oppervlakte van het adres is 110 m², wat zich rond het Nederlandse gemiddelde van 119 m² bevindt. De oppervlakte van het adres is klein vergeleken met de andere objecten in de straat. De oppervlakte van het kleinste object in de straat bedraagt 5 m², terwijl het grootste object 8115 m² groot is. In het jaar 2022 is het pand waarin Kampweg 49-C-14 ligt gebouwd. Dat is relatief recent: de meeste gebouwen in Nederland zijn gebouwd in de periode 1965-1984. In de straat is dit het nieuwste pand en stamt het oudste object uit het jaar 1921. Het gemiddelde bouwjaar in de straat is 1997. De volgende gebruiksdoelen zijn geregistreerd voor dit adres: 'woonfunctie'.
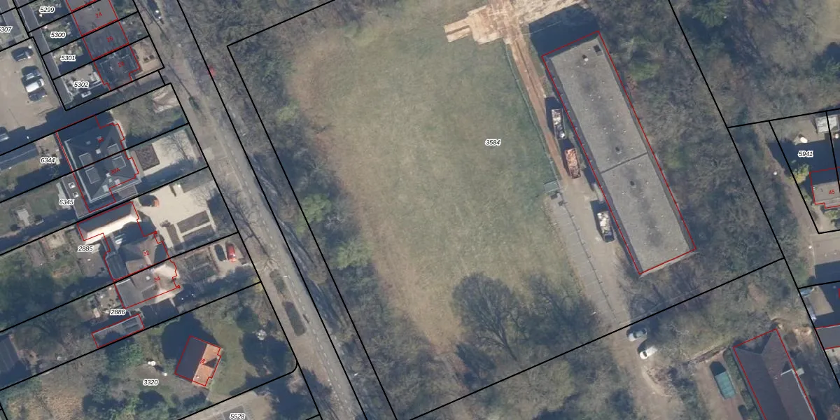
Het adres is gelegen op perceel 3584 in de sectie E en de kadastrale gemeente Soest. De kadastrale aanduiding is aldus SOE00-E-3584. De oppervlakte van het perceel is 1,0 ha. Dat is groter dan gemiddeld in Soest, waar de gemiddelde perceeloppervlakte op 2255,18 m² ligt. De grootste perceeloppervlakte in de kadastrale gemeente is 1,42 km². De kleinste oppervlakte bedraagt 0 m². Op het perceel zijn 104 adressen aanwezig. De laatste wijziging in het de Basisregistratie Kadaster (BRK) was op 27-06-2008.
Er is geen energielabel geregistreerd voor het adres. Het hoogste energielabel in de straat is A+++; het laagste is G. Het gemiddelde energielabel is er B. Het adres Kampweg 49-C-14 heeft als status: 'verblijfsobject gevormd'. Het pand waarin dit adres ligt heeft als status: 'bouwvergunning verleend'.
Kampweg 49-C-14 is een adres gelegen in de gemeente Soest, provincie Utrecht. Dit adres is geregistreerd in de Basisregistratie Adressen en Gebouwen (BAG) met als unieke identificatie 0342010000026883.
Het pand op Kampweg 49-C-14 is gebouwd in 2022, wat betekent dat het 4 jaar oud is. Dit is een vrij nieuw pand. Het pand is dus waarschijnlijk goed geïsoleerd, geluidsdicht en voldoet aan de huidige bouwstandaarden. Op korte termijn zijn er waarschijnlijk weinig onderhoudskosten.
De woning op Kampweg 49-C-14 heeft een gebruiksoppervlakte van 110 m². Dit is onder het gemiddelde vergeleken met de gemiddelde Nederlandse woning, die een oppervlakte heeft van ongeveer 119 m². De gebruiksoppervlakte is de maat die wordt gebruikt in de BAG-registratie, de landelijke registratie van de Nederlandse overheid.
Kampweg 49-C-14 heeft als functie: wonen. Deze gebruiksfunctie(s) zijn vastgelegd in de BAG-registratie en geven aan waarvoor het adres officieel mag worden gebruikt.
Kampweg 49-C-14 is gelegen op kadastraal perceel SOE00E3584. Deze kadastrale aanduiding is uniek en wordt gebruikt door het Kadaster om eigendomsrechten en andere zakelijke rechten vast te leggen. Het perceel maakt onderdeel uit van de kadastrale gemeente Soest.
Het perceel waarop Kampweg 49-C-14 staat heeft een oppervlakte van 1,0 ha. Dit is een zeer groot perceel. De perceeloppervlakte wordt geregistreerd door het Kadaster. Gedetailleerde informatie over de maten van dit perceel kunt u vinden in het rapport Kadastrale kaart met maatvoering van Kampweg 49-C-14.
De eigenaar van Kampweg 49-C-14 is op te vragen op deze pagina
De informatie over dit adres is afkomstig uit officiële overheidsregistraties, voornamelijk de Basisregistratie Adressen en Gebouwen (BAG) en de Basisregistratie Kadaster (BRK). Deze gegevens worden beheerd door respectievelijk gemeenten en het Kadaster, en worden regelmatig bijgewerkt. Energielabelgegevens komen uit de database van de Rijksdienst voor Ondernemend Nederland (RVO).
