Product Functies Prijzen Meer

Adressen

Gebruik de zoekbalk of klik op een perceel voor informatie over de adressen binnen dit perceel.
Locatie
Meten
Lagen
Download

Ekkert 7

5712JS, Someren

€ 1519312 Wat moet ik bieden voor deze woning?
151 m²
woonfunctie
242 m² perceeloppervlakte
?

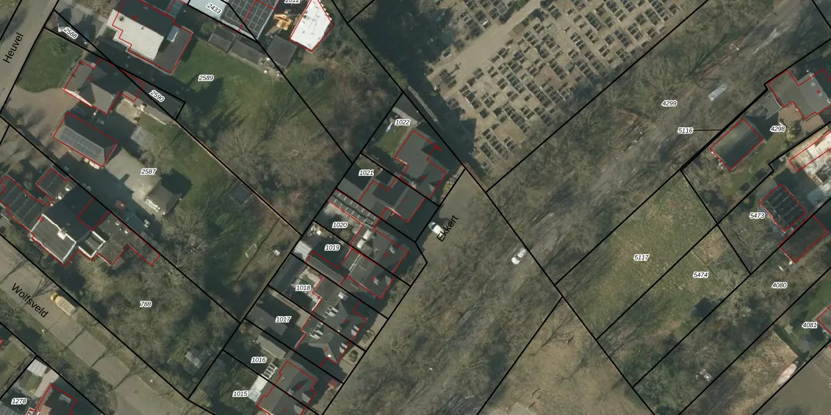
Ekkert 7 is een adres in Someren, dat zich bevindt binnen de gemeentegrenzen van Someren en de grenzen van de provincie Noord-Brabant. De oppervlakte van het verblijfsobject is met 151 m² aan de grote kant. Het perceel heeft een oppervlakte van 242 m². In vergelijking met de andere adressen in de straat is de oppervlakte van dit object relatief groot. Het grootste verblijfsobject heeft een oppervlakte van 178 m², de oppervlakte van het kleinste object bedraagt 121 m². De meeste Nederlandse gebouwen zijn gebouwd in de periode 1965-1984. Zo ook het pand waarin Ekkert 7 ligt, dat gebouwd is in 1981. Gemiddeld zijn de gebouwen in de straat gebouwd in 1982. Dit is het oudste pand in de straat. Het meest recente komt uit het jaar 1983. Voor het verblijfsobject gelden deze gebruiksdoelen: 'woonfunctie'.

Perceel

Het perceel waarop het adres ligt is SMR02-S-1021. De afkorting 'SMR02' staat voor kadastrale gemeente Someren. De gemiddelde perceelgrootte in Someren is 6132,94 m². Dit perceel is kleiner: de perceeloppervlakte bedraagt 242 m². De grootste perceeloppervlakte in de kadastrale gemeente is 2,55 km². De kleinste oppervlakte bedraagt 0 m². Op het perceel bevinden zich geen andere adressen. De huidige grenzen van het perceel zijn digitaal in de Basisregistratie Kadaster (BRK) geregistreerd op 18-12-2007.

Energielabel en status

Er is geen energielabel geregistreerd voor het adres. Het hoogste energielabel in de straat is A; het laagste is G. Het gemiddelde energielabel is er B. Het adres Ekkert 7 heeft als status: 'verblijfsobject in gebruik'. Het pand waarin dit adres ligt heeft als status: 'pand in gebruik'.

Meer lezen

Adres

Gebruiksoppervlakte
151 m²
Bruto vloeroppervlakte
6AaJM3Rw8pgRVQUpgrade naar KadastraleKaart Pro
Gebruiksdoel(en)
Woonfunctie
Status
Verblijfsobject in gebruik
Type
Onbekend
Gasloos
lZU5TBU1YqSUVUpgrade naar KadastraleKaart Pro
Gebeurtenissen
Appartementsrechten
PwzBG0fO7f5opH1Upgrade naar KadastraleKaart Pro
Eigenaar
Eigendomsinformatie 12,95
Adresinformatie bestellen
Adrespakket 34,95
VBO ID
0847010000001673

Pand

Bouwjaar pand
1981
Aantal adressen in dit gebouw
1 adres
Hoogte pand
ZE3VAJ7oCuUpgrade naar KadastraleKaart Pro
Aantal bouwlagen (schatting)
gVj oojpxmhhO1b m1WUrUpgrade naar KadastraleKaart Pro
Volume
alZK2dhpHc2fUpgrade naar KadastraleKaart Pro
Oppervlakte dak
IDSTaZGYIWUpgrade naar KadastraleKaart Pro
Oppervlakte buitenmuur
qkiQi zR2dJOFBUpgrade naar KadastraleKaart Pro
Status pand
Pand in gebruik
Pand ID
0847100000002992

Perceel

Kadastrale aanduiding
Someren S 1021 (SMR02 S 1021)
Oppervlakte
242 m²
Maatvoering
Kadastrale kaart met maatvoering 59,95
Omtrek
67 meter
Datum laatst gewijzigd
18/12/2007
Aantal adressen op perceel
1
Hoogte boven N.A.P.
YflqkFG4 Upgrade naar KadastraleKaart Pro

Veelgestelde vragen

Ekkert 7 is een adres gelegen in de gemeente Someren, provincie Noord-Brabant. Dit adres is geregistreerd in de Basisregistratie Adressen en Gebouwen (BAG) met als unieke identificatie 0847010000001673.

Het pand op Ekkert 7 is gebouwd in 1981, wat betekent dat het 45 jaar oud is. Dit is een pand van middelbare leeftijd. Het pand is van gemiddelde leeftijd en zal waarschijnlijk verouderde elementen bevatten.

De woning op Ekkert 7 heeft een gebruiksoppervlakte van 151 m². Dit is ruim vergeleken met de gemiddelde Nederlandse woning, die een oppervlakte heeft van ongeveer 119 m². De gebruiksoppervlakte is de maat die wordt gebruikt in de BAG-registratie, de landelijke registratie van de Nederlandse overheid.

Ekkert 7 heeft als functie: wonen. Deze gebruiksfunctie(s) zijn vastgelegd in de BAG-registratie en geven aan waarvoor het adres officieel mag worden gebruikt.

Ekkert 7 is gelegen op kadastraal perceel SMR02S1021. Deze kadastrale aanduiding is uniek en wordt gebruikt door het Kadaster om eigendomsrechten en andere zakelijke rechten vast te leggen. Het perceel maakt onderdeel uit van de kadastrale gemeente Someren.

Het perceel waarop Ekkert 7 staat heeft een oppervlakte van 242 m². Dit is een middelgroot perceel. De perceeloppervlakte wordt geregistreerd door het Kadaster. Gedetailleerde informatie over de maten van dit perceel kunt u vinden in het rapport Kadastrale kaart met maatvoering van Ekkert 7.

De eigenaar van Ekkert 7 is op te vragen op deze pagina

De informatie over dit adres is afkomstig uit officiële overheidsregistraties, voornamelijk de Basisregistratie Adressen en Gebouwen (BAG) en de Basisregistratie Kadaster (BRK). Deze gegevens worden beheerd door respectievelijk gemeenten en het Kadaster, en worden regelmatig bijgewerkt. Energielabelgegevens komen uit de database van de Rijksdienst voor Ondernemend Nederland (RVO).

Maatvoeringsrapport

Biedadvies

Loop uw droomhuis niet mis met ons biedadvies.
Loop uw droomhuis niet mis met ons biedadvies.
Maatvoeringsrapport

Bestel het adrespakket

Kom alles te weten over Ekkert 7 met het adrespakket.
Kom alles te weten over Ekkert 7 met het adrespakket.

360°-foto's van de omgeving

Google Street View
Upgrade nu voor 360° Street View foto's

Zon en schaduw rondom adres

Buurt
Loove
Inwoners: 2.650
Woningen:
Wijk
Someren dorp
Inwoners: 11.345
Woningen: 5.552
Gemeente
Someren
Inwoners: 20.188
Woningen: 8.356