
Postelstraat 35-b is gelegen in de plaats Someren, de gemeente Someren en de provincie Noord-Brabant. De oppervlakte bedraagt 1099 m², waarmee het adres groter dan gemiddeld is. De grootte van het perceel waarop het adres ligt is 2855 m². In vergelijking met de andere adressen in de straat is de oppervlakte van dit object relatief groot. Het grootste verblijfsobject heeft een oppervlakte van 1700 m², de oppervlakte van het kleinste object bedraagt 9 m². Het gebouw waarin Postelstraat 35-b ligt komt uit het jaar 1905. Objecten die gebouwd zijn vóór 1965 classificeren we hier als oud. Dit is het oudste object in de straat. Het nieuwste pand komt uit 2007 en het gemiddelde bouwjaar in de straat is 1976. De volgende gebruiksdoelen zijn geregistreerd voor dit adres: 'winkelfunctie'.
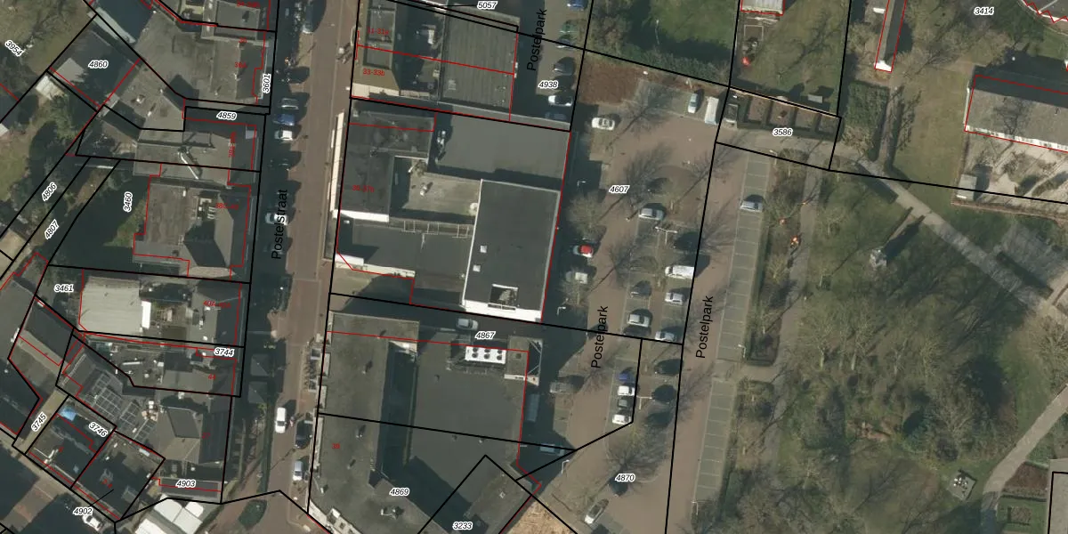
Het perceel waarop het adres ligt is SMR02-B-4607. De afkorting 'SMR02' staat voor kadastrale gemeente Someren. Het perceel is 2855 m² groot. Dat is kleiner dan de gemiddelde perceeloppervlakte in Someren, dat op 6133,4 m² ligt. Het kleinste perceel in de kadastrale gemeente is 0 m² groot. De grootste perceeloppervlakte is 2,55 km². Op het perceel zijn 6 adressen aanwezig. De laatste wijziging in het de Basisregistratie Kadaster (BRK) was op 24-07-2012.
Er is geen energielabel geregistreerd voor het adres. Het hoogste energielabel in de straat is A+++; het laagste is G. Het gemiddelde energielabel is er B. Het adres Postelstraat 35-b heeft als status: 'verblijfsobject in gebruik'. Het pand waarin dit adres ligt heeft als status: 'pand in gebruik'.
Postelstraat 35-b is een adres gelegen in de gemeente Someren, provincie Noord-Brabant. Dit adres is geregistreerd in de Basisregistratie Adressen en Gebouwen (BAG) met als unieke identificatie 0847010000005361.
Het pand op Postelstraat 35-b is gebouwd in 1905, wat betekent dat het 121 jaar oud is. Dit is een ouder pand. Het pand heeft mogelijk aanzienlijke renovaties nodig om aan de huidige standaarden te voldoen.
De woning op Postelstraat 35-b heeft een gebruiksoppervlakte van 1099 m². Dit is ruim vergeleken met de gemiddelde Nederlandse woning, die een oppervlakte heeft van ongeveer 119 m². De gebruiksoppervlakte is de maat die wordt gebruikt in de BAG-registratie, de landelijke registratie van de Nederlandse overheid.
Postelstraat 35-b heeft als functie: winkel/handel. Deze gebruiksfunctie(s) zijn vastgelegd in de BAG-registratie en geven aan waarvoor het adres officieel mag worden gebruikt.
Postelstraat 35-b is gelegen op kadastraal perceel SMR02B4607. Deze kadastrale aanduiding is uniek en wordt gebruikt door het Kadaster om eigendomsrechten en andere zakelijke rechten vast te leggen. Het perceel maakt onderdeel uit van de kadastrale gemeente Someren.
Het perceel waarop Postelstraat 35-b staat heeft een oppervlakte van 2855 m². Dit is een zeer groot perceel. De perceeloppervlakte wordt geregistreerd door het Kadaster. Gedetailleerde informatie over de maten van dit perceel kunt u vinden in het rapport Kadastrale kaart met maatvoering van Postelstraat 35-b.
De eigenaar van Postelstraat 35-b is op te vragen op deze pagina
De informatie over dit adres is afkomstig uit officiële overheidsregistraties, voornamelijk de Basisregistratie Adressen en Gebouwen (BAG) en de Basisregistratie Kadaster (BRK). Deze gegevens worden beheerd door respectievelijk gemeenten en het Kadaster, en worden regelmatig bijgewerkt. Energielabelgegevens komen uit de database van de Rijksdienst voor Ondernemend Nederland (RVO).
