
Satijnvlinderlaan 2 is een adres in Son en Breugel, dat zich bevindt binnen de gemeentegrenzen van Son en Breugel en de grenzen van de provincie Noord-Brabant. Het perceel waarop het verblijfsobject staat is 320 m² groot. De oppervlakte van het adres is 133 m², wat zich rond het Nederlandse gemiddelde van 119 m² bevindt. Het adres is klein vergeleken met andere objecten in de straat. Het grootste object in de straat heeft een oppervlakte van 274 m², het kleinste is 104 m² groot. Het pand waarin Satijnvlinderlaan 2 ligt is gebouwd in het jaar 2001. Panden die gebouwd zijn na het jaar 1984 noemen we hier relatief nieuw. Dit is het oudste object in de straat. Het nieuwste pand komt uit 2002 en het gemiddelde bouwjaar in de straat is 2001. Voor het verblijfsobject gelden deze gebruiksdoelen: 'woonfunctie'.
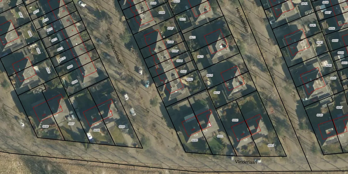
Het adres ligt op het perceel SON00-C-6592, dat zich in de kadastrale gemeente Son en Breugel bevindt. De gemiddelde perceelgrootte in Son en Breugel is 2611,25 m². Dit perceel is kleiner: de perceeloppervlakte bedraagt 320 m². Het kleinste perceel in de kadastrale gemeente is 0 m² groot. De grootste perceeloppervlakte is 76,3 ha. Er zijn geen andere adressen aanwezig op het perceel. De huidige grenzen van het perceel zijn digitaal in de Basisregistratie Kadaster (BRK) geregistreerd op 23-02-2005.
Er is geen energielabel geregistreerd voor het adres. Het hoogste energielabel in de straat is A; het laagste is G. Het gemiddelde energielabel is er A. Het adres Satijnvlinderlaan 2 heeft als status: 'verblijfsobject in gebruik'. Het pand waarin dit adres ligt heeft als status: 'pand in gebruik'.
Satijnvlinderlaan 2 is een adres gelegen in de gemeente Son en Breugel, provincie Noord-Brabant. Dit adres is geregistreerd in de Basisregistratie Adressen en Gebouwen (BAG) met als unieke identificatie 0848010000006127.
Het pand op Satijnvlinderlaan 2 is gebouwd in 2001, wat betekent dat het 25 jaar oud is. Dit is een pand van middelbare leeftijd. Het pand is van gemiddelde leeftijd en zal waarschijnlijk verouderde elementen bevatten.
De woning op Satijnvlinderlaan 2 heeft een gebruiksoppervlakte van 133 m². Dit is gemiddeld vergeleken met de gemiddelde Nederlandse woning, die een oppervlakte heeft van ongeveer 119 m². De gebruiksoppervlakte is de maat die wordt gebruikt in de BAG-registratie, de landelijke registratie van de Nederlandse overheid.
Satijnvlinderlaan 2 heeft als functie: wonen. Deze gebruiksfunctie(s) zijn vastgelegd in de BAG-registratie en geven aan waarvoor het adres officieel mag worden gebruikt.
Satijnvlinderlaan 2 is gelegen op kadastraal perceel SON00C6592. Deze kadastrale aanduiding is uniek en wordt gebruikt door het Kadaster om eigendomsrechten en andere zakelijke rechten vast te leggen. Het perceel maakt onderdeel uit van de kadastrale gemeente Son en Breugel.
Het perceel waarop Satijnvlinderlaan 2 staat heeft een oppervlakte van 320 m². Dit is een groot perceel. De perceeloppervlakte wordt geregistreerd door het Kadaster. Gedetailleerde informatie over de maten van dit perceel kunt u vinden in het rapport Kadastrale kaart met maatvoering van Satijnvlinderlaan 2.
De eigenaar van Satijnvlinderlaan 2 is op te vragen op deze pagina.
De informatie over dit adres is afkomstig uit officiële overheidsregistraties, voornamelijk de Basisregistratie Adressen en Gebouwen (BAG) en de Basisregistratie Kadaster (BRK). Deze gegevens worden beheerd door respectievelijk gemeenten en het Kadaster, en worden regelmatig bijgewerkt. Energielabelgegevens komen uit de database van de Rijksdienst voor Ondernemend Nederland (RVO).
