
Willibrordusweg 1 is een adres in Spijk, dat zich bevindt binnen de gemeentegrenzen van Spijk en de grenzen van de provincie Gelderland. De oppervlakte van het verblijfsobject is met 391 m² aan de grote kant. Het perceel heeft een oppervlakte van 1355 m². In vergelijking met de andere adressen in de straat is de oppervlakte van dit object relatief groot. Het grootste verblijfsobject heeft een oppervlakte van 506 m², de oppervlakte van het kleinste object bedraagt 111 m². Het gebouw waarin Willibrordusweg 1 ligt komt uit het jaar 1950. Objecten die gebouwd zijn vóór 1965 classificeren we hier als oud. Gemiddeld zijn de gebouwen in de straat gebouwd in 1986. Dit is het oudste pand in de straat. Het meest recente komt uit het jaar 2001. Het verblijfsobject heeft de volgende gebruiksdoelen: 'woonfunctie' en 'onderwijsfunctie'.
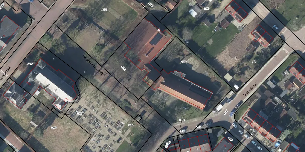
Het perceel waarop het adres ligt is LBH00-A-1771. De afkorting 'LBH00' staat voor kadastrale gemeente Lobith en Spijk. Het perceel is kleiner dan gemiddeld in Lobith en Spijk. Het perceel is 1355 m² groot, terwijl het gemiddelde ligt op 4603,31 m². Het kleinste perceel in de kadastrale gemeente is 0 m² groot. De grootste perceeloppervlakte is 98,2 ha. Op het perceel liggen in totaal 2 adressen. De huidige grenzen van het perceel zijn digitaal in de Basisregistratie Kadaster (BRK) geregistreerd op 01-10-1999.
Er is geen energielabel geregistreerd voor het adres. Het hoogste energielabel in de straat is A; het laagste is G. Het gemiddelde energielabel is er C. Het adres Willibrordusweg 1 heeft als status: 'verblijfsobject in gebruik'. Het pand waarin dit adres ligt heeft als status: 'pand in gebruik'.
Willibrordusweg 1 is een adres gelegen in de gemeente Zevenaar, provincie Gelderland. Dit adres is geregistreerd in de Basisregistratie Adressen en Gebouwen (BAG) met als unieke identificatie 0196010000346760.
Het pand op Willibrordusweg 1 is gebouwd in 1950, wat betekent dat het 76 jaar oud is. Dit is een ouder pand. Het pand heeft mogelijk aanzienlijke renovaties nodig om aan de huidige standaarden te voldoen.
De woning op Willibrordusweg 1 heeft een gebruiksoppervlakte van 391 m². Dit is ruim vergeleken met de gemiddelde Nederlandse woning, die een oppervlakte heeft van ongeveer 119 m². De gebruiksoppervlakte is de maat die wordt gebruikt in de BAG-registratie, de landelijke registratie van de Nederlandse overheid.
Willibrordusweg 1 heeft als functie: wonen en onderwijs. Deze gebruiksfunctie(s) zijn vastgelegd in de BAG-registratie en geven aan waarvoor het adres officieel mag worden gebruikt.
Willibrordusweg 1 is gelegen op kadastraal perceel LBH00A1771. Deze kadastrale aanduiding is uniek en wordt gebruikt door het Kadaster om eigendomsrechten en andere zakelijke rechten vast te leggen. Het perceel maakt onderdeel uit van de kadastrale gemeente Lobith en Spijk.
Het perceel waarop Willibrordusweg 1 staat heeft een oppervlakte van 1355 m². Dit is een zeer groot perceel. De perceeloppervlakte wordt geregistreerd door het Kadaster. Gedetailleerde informatie over de maten van dit perceel kunt u vinden in het rapport Kadastrale kaart met maatvoering van Willibrordusweg 1.
De eigenaar van Willibrordusweg 1 is op te vragen op deze pagina.
De informatie over dit adres is afkomstig uit officiële overheidsregistraties, voornamelijk de Basisregistratie Adressen en Gebouwen (BAG) en de Basisregistratie Kadaster (BRK). Deze gegevens worden beheerd door respectievelijk gemeenten en het Kadaster, en worden regelmatig bijgewerkt. Energielabelgegevens komen uit de database van de Rijksdienst voor Ondernemend Nederland (RVO).
