
Het adres Dick Flemmingstraat 8-b bevindt zich in de plaats Sprang-Capelle, in de gemeente Sprang-Capelle en de provincie Noord-Brabant. Het verblijfsobject is 105 m² groot en bevindt zich op een perceel met een oppervlakte van 1459 m². Gemiddeld hebben adressen in Nederland een oppervlakte van 119 m². De oppervlakte van het adres is klein vergeleken met de andere objecten in de straat. De oppervlakte van het kleinste object in de straat bedraagt 6 m², terwijl het grootste object 2614 m² groot is. Dick Flemmingstraat 8-b ligt in een gebouw uit het jaar 2010. Daarmee behoort het tot de groep panden van na 1984, die we als relatief nieuw bestempelen. Vergeleken met de andere panden in de straat is dit gebouw nieuw. Het vroegste bouwjaar is er 1954 en het laatste is 2022. Het verblijfsobject heeft de volgende gebruiksdoelen: 'industriefunctie'.
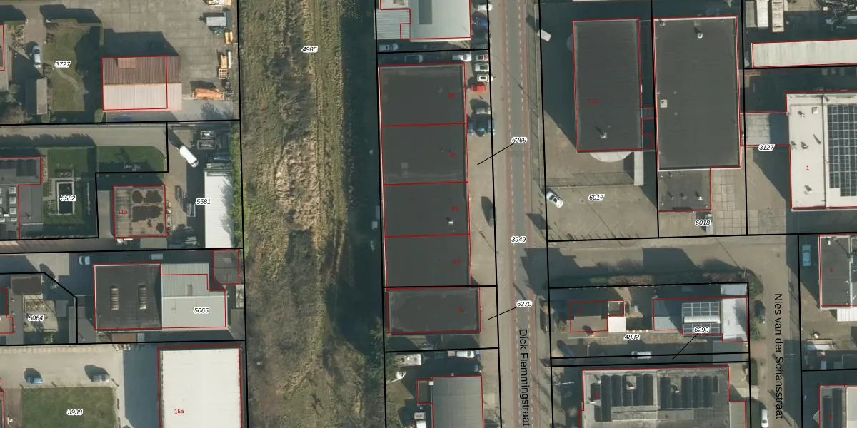
Het adres is gelegen op perceel 6269 in de sectie B en de kadastrale gemeente Sprang. De kadastrale aanduiding is aldus SPR01-B-6269. De gemiddelde perceeloppervlakte in de kadastrale gemeente Sprang is 1280,94 m². Dit perceel is met zijn 1459 m² dus groter dan gemiddeld. Het grootste perceel in de kadastrale gemeente is 14,0 ha. Het kleinste perceel heeft een oppervlakte van 0 m². Er zijn 4 adressen aanwezig op het perceel. In de Basisregistratie Kadaster (BRK) werden de grenzen van het perceel geregistreerd op 24-05-2018.
Bij de laatste meting is voor het adres het energielabel B geregistreerd. Het hoogste energielabel in de straat is A+++; het laagste is G. Het gemiddelde energielabel is er B. Het adres Dick Flemmingstraat 8-b heeft als status: 'verblijfsobject in gebruik'. Het pand waarin dit adres ligt heeft als status: 'pand in gebruik'.
Dick Flemmingstraat 8-b is een adres gelegen in de gemeente Waalwijk, provincie Noord-Brabant. Dit adres is geregistreerd in de Basisregistratie Adressen en Gebouwen (BAG) met als unieke identificatie 0867010000064307.
Het pand op Dick Flemmingstraat 8-b is gebouwd in 2010, wat betekent dat het 16 jaar oud is. Dit is een relatief modern pand. Ten opzichte van de nationale woningvoorraad is het pand relatief modern, maar er kunnen enkele verouderde elementen zijn die aandacht nodig hebben.
De woning op Dick Flemmingstraat 8-b heeft een gebruiksoppervlakte van 105 m². Dit is onder het gemiddelde vergeleken met de gemiddelde Nederlandse woning, die een oppervlakte heeft van ongeveer 119 m². De gebruiksoppervlakte is de maat die wordt gebruikt in de BAG-registratie, de landelijke registratie van de Nederlandse overheid.
Dick Flemmingstraat 8-b heeft als functie: industrie. Deze gebruiksfunctie(s) zijn vastgelegd in de BAG-registratie en geven aan waarvoor het adres officieel mag worden gebruikt.
Dick Flemmingstraat 8-b is gelegen op kadastraal perceel SPR01B6269. Deze kadastrale aanduiding is uniek en wordt gebruikt door het Kadaster om eigendomsrechten en andere zakelijke rechten vast te leggen. Het perceel maakt onderdeel uit van de kadastrale gemeente Sprang.
Het perceel waarop Dick Flemmingstraat 8-b staat heeft een oppervlakte van 1459 m². Dit is een zeer groot perceel. De perceeloppervlakte wordt geregistreerd door het Kadaster. Gedetailleerde informatie over de maten van dit perceel kunt u vinden in het rapport Kadastrale kaart met maatvoering van Dick Flemmingstraat 8-b.
De eigenaar van Dick Flemmingstraat 8-b is op te vragen op deze pagina.
De informatie over dit adres is afkomstig uit officiële overheidsregistraties, voornamelijk de Basisregistratie Adressen en Gebouwen (BAG) en de Basisregistratie Kadaster (BRK). Deze gegevens worden beheerd door respectievelijk gemeenten en het Kadaster, en worden regelmatig bijgewerkt. Energielabelgegevens komen uit de database van de Rijksdienst voor Ondernemend Nederland (RVO).
