
Tilburgseweg 5 is gelegen in de plaats Sprang-Capelle, de gemeente Waalwijk en de provincie Noord-Brabant. De oppervlakte bedraagt 191 m², waarmee het adres groter dan gemiddeld is. De grootte van het perceel waarop het adres ligt is 490 m². Het object is klein ten opzichte van de andere adressen in de straat. Het grootste verblijfsobject is 5671 m² groot en het kleinste is 5 m². Het gebouw waarin Tilburgseweg 5 ligt komt uit het jaar 1930. Objecten die gebouwd zijn vóór 1965 classificeren we hier als oud. Dit is het oudste object in de straat. Het nieuwste pand komt uit 2025 en het gemiddelde bouwjaar in de straat is 1976. Het verblijfsobject heeft de volgende gebruiksdoelen: 'woonfunctie'.
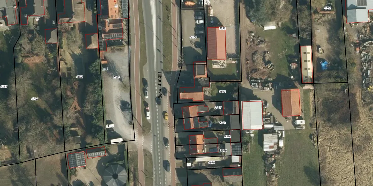
Het perceel waarop het adres ligt is SPR01-B-3893. De afkorting 'SPR01' staat voor kadastrale gemeente Sprang. Het perceel is kleiner dan gemiddeld in Sprang. Het perceel is 490 m² groot, terwijl het gemiddelde ligt op 1280,94 m². Het kleinste perceel in de kadastrale gemeente is 0 m² groot. De grootste perceeloppervlakte is 14,0 ha. Er zijn geen andere adressen aanwezig op het perceel. De laatste wijziging in het de Basisregistratie Kadaster (BRK) was op 12-04-2012.
Er is geen energielabel geregistreerd voor het adres. Het hoogste energielabel in de straat is A; het laagste is G. Het gemiddelde energielabel is er C. Het adres Tilburgseweg 5 heeft als status: 'verblijfsobject in gebruik'. Het pand waarin dit adres ligt heeft als status: 'pand in gebruik'.
Tilburgseweg 5 is een adres gelegen in de gemeente Waalwijk, provincie Noord-Brabant. Dit adres is geregistreerd in de Basisregistratie Adressen en Gebouwen (BAG) met als unieke identificatie 0867010000014828.
Het pand op Tilburgseweg 5 is gebouwd in 1930, wat betekent dat het 96 jaar oud is. Dit is een ouder pand. Het pand heeft mogelijk aanzienlijke renovaties nodig om aan de huidige standaarden te voldoen.
De woning op Tilburgseweg 5 heeft een gebruiksoppervlakte van 191 m². Dit is ruim vergeleken met de gemiddelde Nederlandse woning, die een oppervlakte heeft van ongeveer 119 m². De gebruiksoppervlakte is de maat die wordt gebruikt in de BAG-registratie, de landelijke registratie van de Nederlandse overheid.
Tilburgseweg 5 heeft als functie: wonen. Deze gebruiksfunctie(s) zijn vastgelegd in de BAG-registratie en geven aan waarvoor het adres officieel mag worden gebruikt.
Tilburgseweg 5 is gelegen op kadastraal perceel SPR01B3893. Deze kadastrale aanduiding is uniek en wordt gebruikt door het Kadaster om eigendomsrechten en andere zakelijke rechten vast te leggen. Het perceel maakt onderdeel uit van de kadastrale gemeente Sprang.
Het perceel waarop Tilburgseweg 5 staat heeft een oppervlakte van 490 m². Dit is een groot perceel. De perceeloppervlakte wordt geregistreerd door het Kadaster. Gedetailleerde informatie over de maten van dit perceel kunt u vinden in het rapport Kadastrale kaart met maatvoering van Tilburgseweg 5.
De eigenaar van Tilburgseweg 5 is op te vragen op deze pagina.
De informatie over dit adres is afkomstig uit officiële overheidsregistraties, voornamelijk de Basisregistratie Adressen en Gebouwen (BAG) en de Basisregistratie Kadaster (BRK). Deze gegevens worden beheerd door respectievelijk gemeenten en het Kadaster, en worden regelmatig bijgewerkt. Energielabelgegevens komen uit de database van de Rijksdienst voor Ondernemend Nederland (RVO).
