
van der Duinstraat 108 is een adres in Sprang-Capelle, dat zich bevindt binnen de gemeentegrenzen van Sprang-Capelle en de grenzen van de provincie Noord-Brabant. Het object heeft een oppervlakte van 190 m², wat relatief groot is. Het perceel waarop het adres ligt is 426 m² groot. In vergelijking met de andere adressen in de straat is de oppervlakte van dit object relatief groot. Het grootste verblijfsobject heeft een oppervlakte van 1721 m², de oppervlakte van het kleinste object bedraagt 43 m². In Nederland komt het grootste deel van de gebouwen uit de periode 1965-1984. Ook het bouwjaar van van der Duinstraat 108 is afkomstig uit die periode: het betreft namelijk een pand uit 1965. Vergeleken met de andere panden in de straat is dit gebouw nieuw. Het vroegste bouwjaar is er 1850 en het laatste is 2026. Voor het verblijfsobject gelden deze gebruiksdoelen: 'woonfunctie'.
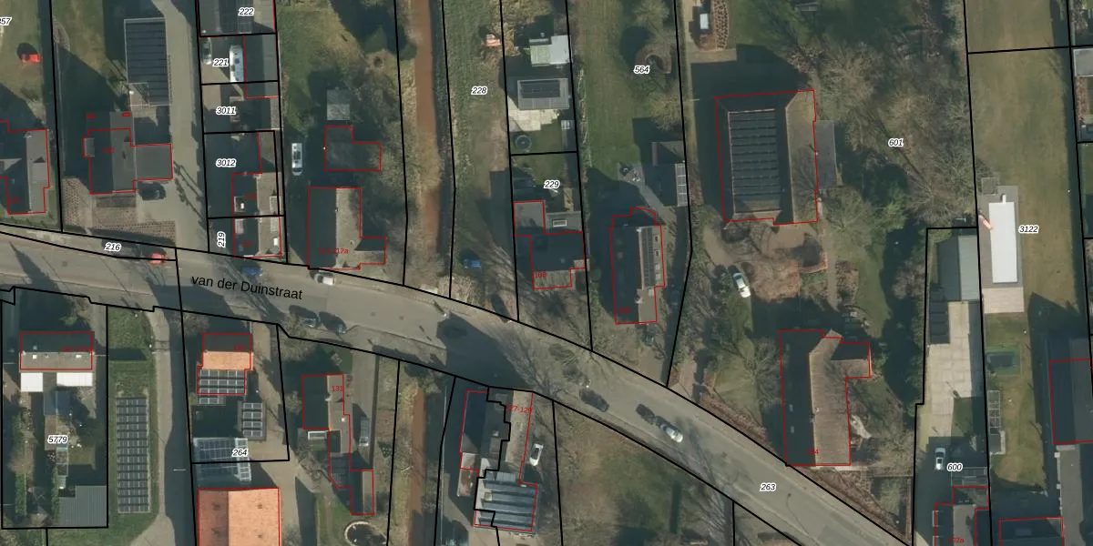
Het perceel waarop het adres ligt is SPR01-C-229. De afkorting 'SPR01' staat voor kadastrale gemeente Sprang. De gemiddelde perceelgrootte in Sprang is 1280,94 m². Dit perceel is kleiner: de perceeloppervlakte bedraagt 426 m². Het grootste perceel in de kadastrale gemeente is 14,0 ha. Het kleinste perceel heeft een oppervlakte van 0 m². Dit is het enige adres dat aanwezig is op het perceel. De huidige grenzen van het perceel zijn digitaal in de Basisregistratie Kadaster (BRK) geregistreerd op 19-04-2006.
Er is geen energielabel geregistreerd voor het adres. Het hoogste energielabel in de straat is A++++; het laagste is G. Het gemiddelde energielabel is er D. Het adres van der Duinstraat 108 heeft als status: 'verblijfsobject in gebruik'. Het pand waarin dit adres ligt heeft als status: 'pand in gebruik'.
van der Duinstraat 108 is een adres gelegen in de gemeente Waalwijk, provincie Noord-Brabant. Dit adres is geregistreerd in de Basisregistratie Adressen en Gebouwen (BAG) met als unieke identificatie 0867010000015876.
Het pand op van der Duinstraat 108 is gebouwd in 1965, wat betekent dat het 61 jaar oud is. Dit is een ouder pand. Het pand heeft mogelijk aanzienlijke renovaties nodig om aan de huidige standaarden te voldoen.
De woning op van der Duinstraat 108 heeft een gebruiksoppervlakte van 190 m². Dit is ruim vergeleken met de gemiddelde Nederlandse woning, die een oppervlakte heeft van ongeveer 119 m². De gebruiksoppervlakte is de maat die wordt gebruikt in de BAG-registratie, de landelijke registratie van de Nederlandse overheid.
van der Duinstraat 108 heeft als functie: wonen. Deze gebruiksfunctie(s) zijn vastgelegd in de BAG-registratie en geven aan waarvoor het adres officieel mag worden gebruikt.
van der Duinstraat 108 is gelegen op kadastraal perceel SPR01C229. Deze kadastrale aanduiding is uniek en wordt gebruikt door het Kadaster om eigendomsrechten en andere zakelijke rechten vast te leggen. Het perceel maakt onderdeel uit van de kadastrale gemeente Sprang.
Het perceel waarop van der Duinstraat 108 staat heeft een oppervlakte van 426 m². Dit is een groot perceel. De perceeloppervlakte wordt geregistreerd door het Kadaster. Gedetailleerde informatie over de maten van dit perceel kunt u vinden in het rapport Kadastrale kaart met maatvoering van van der Duinstraat 108.
De eigenaar van van der Duinstraat 108 is op te vragen op deze pagina.
De informatie over dit adres is afkomstig uit officiële overheidsregistraties, voornamelijk de Basisregistratie Adressen en Gebouwen (BAG) en de Basisregistratie Kadaster (BRK). Deze gegevens worden beheerd door respectievelijk gemeenten en het Kadaster, en worden regelmatig bijgewerkt. Energielabelgegevens komen uit de database van de Rijksdienst voor Ondernemend Nederland (RVO).
