
Het adres Luienhoeksestraat 17 bevindt zich in de plaats Sprundel, in de gemeente Sprundel en de provincie Noord-Brabant. De oppervlakte van het verblijfsobject is met 201 m² aan de grote kant. Het perceel heeft een oppervlakte van 6005 m². Het object is klein ten opzichte van de andere adressen in de straat. Het grootste verblijfsobject is 4660 m² groot en het kleinste is 128 m². De gemiddelde bouwperiode van gebouwen in Nederland ligt tussen de jaren 1965-1984. Dat geldt ook voor het bouwjaar van Luienhoeksestraat 17: het is gebouwd in het jaar 1979. Het nieuwste gebouw in de straat komt uit 2009 en het oudste uit 1963. Dit object is relatief oud. De volgende gebruiksdoelen zijn geregistreerd voor dit adres: 'woonfunctie'.
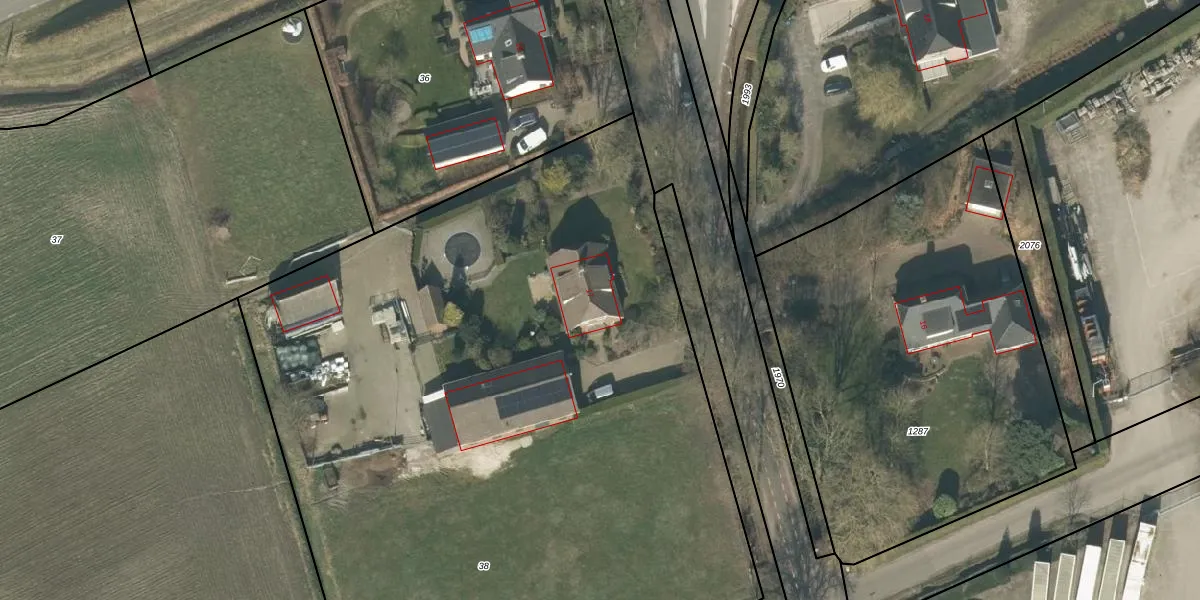
Het perceel waarop het adres ligt is RPN00-U-38. De afkorting 'RPN00' staat voor kadastrale gemeente Rucphen. De oppervlakte van het perceel is 6005 m². Dat is groter dan gemiddeld in Rucphen, waar de gemiddelde perceeloppervlakte op 4094,96 m² ligt. Het kleinste perceel in de kadastrale gemeente is 0 m² groot. De grootste perceeloppervlakte is 43,3 ha. Op het perceel bevinden zich geen andere adressen. In de Basisregistratie Kadaster (BRK) werden de grenzen van het perceel geregistreerd op 06-10-2009.
Er is geen energielabel geregistreerd voor het adres. Het hoogste energielabel in de straat is A; het laagste is G. Het gemiddelde energielabel is er C. Het adres Luienhoeksestraat 17 heeft als status: 'verblijfsobject in gebruik'. Het pand waarin dit adres ligt heeft als status: 'pand in gebruik'.
Luienhoeksestraat 17 is een adres gelegen in de gemeente Rucphen, provincie Noord-Brabant. Dit adres is geregistreerd in de Basisregistratie Adressen en Gebouwen (BAG) met als unieke identificatie 0840010000312820.
Het pand op Luienhoeksestraat 17 is gebouwd in 1979, wat betekent dat het 47 jaar oud is. Dit is een pand van middelbare leeftijd. Het pand is van gemiddelde leeftijd en zal waarschijnlijk verouderde elementen bevatten.
De woning op Luienhoeksestraat 17 heeft een gebruiksoppervlakte van 201 m². Dit is ruim vergeleken met de gemiddelde Nederlandse woning, die een oppervlakte heeft van ongeveer 119 m². De gebruiksoppervlakte is de maat die wordt gebruikt in de BAG-registratie, de landelijke registratie van de Nederlandse overheid.
Luienhoeksestraat 17 heeft als functie: wonen. Deze gebruiksfunctie(s) zijn vastgelegd in de BAG-registratie en geven aan waarvoor het adres officieel mag worden gebruikt.
Luienhoeksestraat 17 is gelegen op kadastraal perceel RPN00U38. Deze kadastrale aanduiding is uniek en wordt gebruikt door het Kadaster om eigendomsrechten en andere zakelijke rechten vast te leggen. Het perceel maakt onderdeel uit van de kadastrale gemeente Rucphen.
Het perceel waarop Luienhoeksestraat 17 staat heeft een oppervlakte van 6005 m². Dit is een zeer groot perceel. De perceeloppervlakte wordt geregistreerd door het Kadaster. Gedetailleerde informatie over de maten van dit perceel kunt u vinden in het rapport Kadastrale kaart met maatvoering van Luienhoeksestraat 17.
De eigenaar van Luienhoeksestraat 17 is op te vragen op deze pagina
De informatie over dit adres is afkomstig uit officiële overheidsregistraties, voornamelijk de Basisregistratie Adressen en Gebouwen (BAG) en de Basisregistratie Kadaster (BRK). Deze gegevens worden beheerd door respectievelijk gemeenten en het Kadaster, en worden regelmatig bijgewerkt. Energielabelgegevens komen uit de database van de Rijksdienst voor Ondernemend Nederland (RVO).
