
Het adres Parklaan 24 bevindt zich in de plaats Sprundel, in de gemeente Sprundel en de provincie Noord-Brabant. Het verblijfsobject is 126 m² groot en bevindt zich op een perceel met een oppervlakte van 1701 m². Gemiddeld hebben adressen in Nederland een oppervlakte van 119 m². Vergeleken met de andere verblijfsobjecten in de straat is dit object groot. De oppervlakte van het grootste object in de straat is 174 m², die van het kleinste bedraagt 39 m². Parklaan 24 ligt in een gebouw uit het jaar 2025. Daarmee behoort het tot de groep panden van na 1984, die we als relatief nieuw bestempelen. Het gemiddelde bouwjaar in de straat is 2025 en dat van het oudste pand is 2025. Dit is het nieuwste object in de straat. Het verblijfsobject heeft de volgende gebruiksdoelen: 'woonfunctie'.
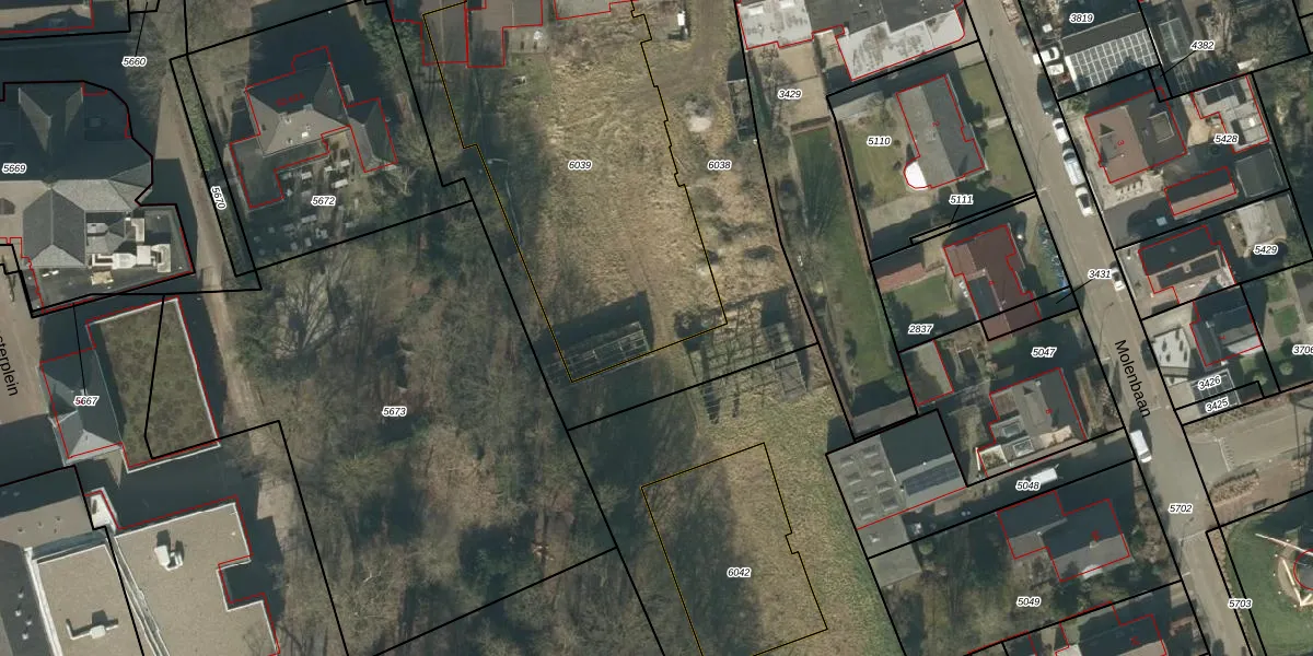
Het adres is gelegen op perceel 6039 in de sectie F en de kadastrale gemeente Rucphen. De kadastrale aanduiding is aldus RPN00-F-6039. Het perceel is kleiner dan gemiddeld in Rucphen. Het perceel is 1701 m² groot, terwijl het gemiddelde ligt op 4091,58 m². Het grootste perceel in de kadastrale gemeente is 43,3 ha. Het kleinste perceel heeft een oppervlakte van 0 m². Er zijn 22 adressen aanwezig op het perceel. In de Basisregistratie Kadaster (BRK) werden de grenzen van het perceel geregistreerd op 20-11-2025.
Er is geen energielabel geregistreerd voor het adres. Het hoogste energielabel in de straat is G; het laagste is G. Het gemiddelde energielabel is er G. Het adres Parklaan 24 heeft als status: 'verblijfsobject gevormd'. Het pand waarin dit adres ligt heeft als status: 'bouwvergunning verleend'.
Parklaan 24 is een adres gelegen in de gemeente Rucphen, provincie Noord-Brabant. Dit adres is geregistreerd in de Basisregistratie Adressen en Gebouwen (BAG) met als unieke identificatie 0840010000325184.
Het pand op Parklaan 24 is gebouwd in 2025, wat betekent dat het 1 jaar oud is. Dit is een vrij nieuw pand. Het pand is dus waarschijnlijk goed geïsoleerd, geluidsdicht en voldoet aan de huidige bouwstandaarden. Op korte termijn zijn er waarschijnlijk weinig onderhoudskosten.
De woning op Parklaan 24 heeft een gebruiksoppervlakte van 126 m². Dit is gemiddeld vergeleken met de gemiddelde Nederlandse woning, die een oppervlakte heeft van ongeveer 119 m². De gebruiksoppervlakte is de maat die wordt gebruikt in de BAG-registratie, de landelijke registratie van de Nederlandse overheid.
Parklaan 24 heeft als functie: wonen. Deze gebruiksfunctie(s) zijn vastgelegd in de BAG-registratie en geven aan waarvoor het adres officieel mag worden gebruikt.
Parklaan 24 is gelegen op kadastraal perceel RPN00F6039. Deze kadastrale aanduiding is uniek en wordt gebruikt door het Kadaster om eigendomsrechten en andere zakelijke rechten vast te leggen. Het perceel maakt onderdeel uit van de kadastrale gemeente Rucphen.
Het perceel waarop Parklaan 24 staat heeft een oppervlakte van 1701 m². Dit is een zeer groot perceel. De perceeloppervlakte wordt geregistreerd door het Kadaster. Gedetailleerde informatie over de maten van dit perceel kunt u vinden in het rapport Kadastrale kaart met maatvoering van Parklaan 24.
De eigenaar van Parklaan 24 is op te vragen op deze pagina.
De informatie over dit adres is afkomstig uit officiële overheidsregistraties, voornamelijk de Basisregistratie Adressen en Gebouwen (BAG) en de Basisregistratie Kadaster (BRK). Deze gegevens worden beheerd door respectievelijk gemeenten en het Kadaster, en worden regelmatig bijgewerkt. Energielabelgegevens komen uit de database van de Rijksdienst voor Ondernemend Nederland (RVO).
