
Achterstekamp 78 is gelegen in de plaats Stadskanaal, de gemeente Stadskanaal en de provincie Groningen. Het perceel waarop het adres gelegen is heeft een oppervlakte van 1230 m². Het verblijfsobject is met 84 m² relatief klein. De oppervlakte van dit adres is groot vergeleken met de oppervlaktes van andere adressen in de straat. De kleinste oppervlakte bedraagt er 21 m², de grootste 139 m². In Nederland komt het grootste deel van de gebouwen uit de periode 1965-1984. Ook het bouwjaar van Achterstekamp 78 is afkomstig uit die periode: het betreft namelijk een pand uit 1974. Het gemiddelde bouwjaar in de straat is 1974 en dat van het oudste pand is 1965. Dit is het nieuwste object in de straat. Voor het verblijfsobject gelden deze gebruiksdoelen: 'woonfunctie'.
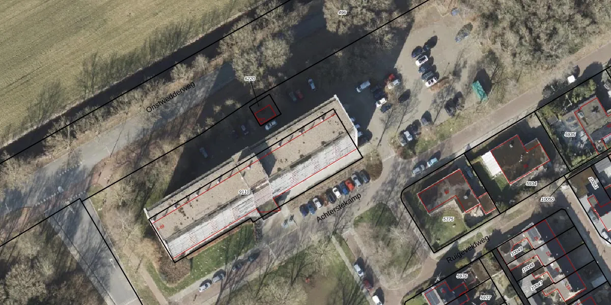
Het adres ligt op het perceel OWD00-B-9110, dat zich in de kadastrale gemeente Onstwedde bevindt. De gemiddelde perceelgrootte in Onstwedde is 6379,89 m². Dit perceel is kleiner: de perceeloppervlakte bedraagt 1230 m². Het grootste perceel in de kadastrale gemeente is 1,07 km². Het kleinste perceel heeft een oppervlakte van 0 m². Er zijn 89 adressen aanwezig op het perceel. De laatste wijziging in het de Basisregistratie Kadaster (BRK) was op 06-10-2009.
Het adres ligt in een gebouw van het type 'flatwoning (overig) met het subtype tussenmidden'. Bij de laatste meting is voor het adres het energielabel C geregistreerd. Het hoogste energielabel in de straat is C; het laagste is G. Het gemiddelde energielabel is er C. Het adres Achterstekamp 78 heeft als status: 'verblijfsobject in gebruik'. Het pand waarin dit adres ligt heeft als status: 'pand in gebruik'.
Achterstekamp 78 is een adres gelegen in de gemeente Stadskanaal, provincie Groningen. Dit adres is geregistreerd in de Basisregistratie Adressen en Gebouwen (BAG) met als unieke identificatie 0037010000365409.
Het pand op Achterstekamp 78 is gebouwd in 1974, wat betekent dat het 52 jaar oud is. Dit is een ouder pand. Het pand heeft mogelijk aanzienlijke renovaties nodig om aan de huidige standaarden te voldoen.
De woning op Achterstekamp 78 heeft een gebruiksoppervlakte van 84 m². Dit is onder het gemiddelde vergeleken met de gemiddelde Nederlandse woning, die een oppervlakte heeft van ongeveer 119 m². De gebruiksoppervlakte is de maat die wordt gebruikt in de BAG-registratie, de landelijke registratie van de Nederlandse overheid.
Achterstekamp 78 heeft als functie: wonen. Deze gebruiksfunctie(s) zijn vastgelegd in de BAG-registratie en geven aan waarvoor het adres officieel mag worden gebruikt.
Achterstekamp 78 is gelegen op kadastraal perceel OWD00B9110. Deze kadastrale aanduiding is uniek en wordt gebruikt door het Kadaster om eigendomsrechten en andere zakelijke rechten vast te leggen. Het perceel maakt onderdeel uit van de kadastrale gemeente Onstwedde.
Het perceel waarop Achterstekamp 78 staat heeft een oppervlakte van 1230 m². Dit is een zeer groot perceel. De perceeloppervlakte wordt geregistreerd door het Kadaster. Gedetailleerde informatie over de maten van dit perceel kunt u vinden in het rapport Kadastrale kaart met maatvoering van Achterstekamp 78.
De eigenaar van Achterstekamp 78 is op te vragen op deze pagina.
De informatie over dit adres is afkomstig uit officiële overheidsregistraties, voornamelijk de Basisregistratie Adressen en Gebouwen (BAG) en de Basisregistratie Kadaster (BRK). Deze gegevens worden beheerd door respectievelijk gemeenten en het Kadaster, en worden regelmatig bijgewerkt. Energielabelgegevens komen uit de database van de Rijksdienst voor Ondernemend Nederland (RVO).
