
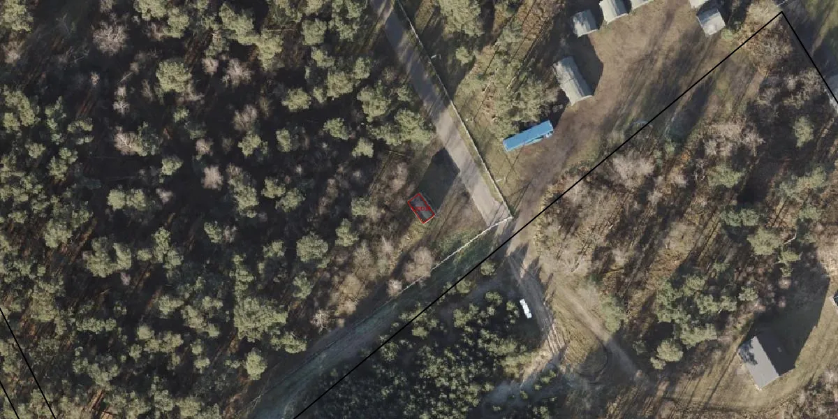
Eperweg 120-D-14 is een adres in 't Harde, dat zich bevindt binnen de gemeentegrenzen van 't Harde en de grenzen van de provincie Gelderland. Het verblijfsobject is vergeleken met het Nederlandse gemiddelde aan de kleine kant: de oppervlakte is 16 m². Het perceel waarop het adres zich bevindt heeft een oppervlakte van 11,0 ha. Het object is klein ten opzichte van de andere adressen in de straat. Het grootste verblijfsobject is 4824 m² groot en het kleinste is 4 m². Eperweg 120-D-14 bevindt zich in een pand uit het jaar 1960. Daarmee behoort het tot de groep relatief oude panden in Nederland die gebouwd zijn vóór 1965. Het nieuwste gebouw in de straat komt uit 2025 en het oudste uit 1850. Dit object is relatief oud. Voor het verblijfsobject gelden deze gebruiksdoelen: 'industriefunctie'.
Het perceel waarop het adres ligt is DSK00-F-971. De afkorting 'DSK00' staat voor kadastrale gemeente Doornspijk. Het perceel is met 11,0 ha relatief groot. Het gemiddelde ligt in de kadastrale gemeente Doornspijk op 5706,13 m². Het grootste perceel in de kadastrale gemeente is 6,34 km². Het kleinste perceel heeft een oppervlakte van 0 m². Op het perceel liggen in totaal 7 adressen. De huidige grenzen van het perceel zijn digitaal in de Basisregistratie Kadaster (BRK) geregistreerd op 19-11-2024.
Er is geen energielabel geregistreerd voor het adres. Het hoogste energielabel in de straat is A++++; het laagste is G. Het gemiddelde energielabel is er C. Het adres Eperweg 120-D-14 heeft als status: 'verblijfsobject in gebruik'. Het pand waarin dit adres ligt heeft als status: 'pand in gebruik'.
Eperweg 120-D-14 is een adres gelegen in de gemeente Elburg, provincie Gelderland. Dit adres is geregistreerd in de Basisregistratie Adressen en Gebouwen (BAG) met als unieke identificatie 0230010000011211.
Het pand op Eperweg 120-D-14 is gebouwd in 1960, wat betekent dat het 66 jaar oud is. Dit is een ouder pand. Het pand heeft mogelijk aanzienlijke renovaties nodig om aan de huidige standaarden te voldoen.
De woning op Eperweg 120-D-14 heeft een gebruiksoppervlakte van 16 m². Dit is relatief klein vergeleken met de gemiddelde Nederlandse woning, die een oppervlakte heeft van ongeveer 119 m². De gebruiksoppervlakte is de maat die wordt gebruikt in de BAG-registratie, de landelijke registratie van de Nederlandse overheid.
Eperweg 120-D-14 heeft als functie: industrie. Deze gebruiksfunctie(s) zijn vastgelegd in de BAG-registratie en geven aan waarvoor het adres officieel mag worden gebruikt.
Eperweg 120-D-14 is gelegen op kadastraal perceel DSK00F971. Deze kadastrale aanduiding is uniek en wordt gebruikt door het Kadaster om eigendomsrechten en andere zakelijke rechten vast te leggen. Het perceel maakt onderdeel uit van de kadastrale gemeente Doornspijk.
Het perceel waarop Eperweg 120-D-14 staat heeft een oppervlakte van 11,0 ha. Dit is een zeer groot perceel. De perceeloppervlakte wordt geregistreerd door het Kadaster. Gedetailleerde informatie over de maten van dit perceel kunt u vinden in het rapport Kadastrale kaart met maatvoering van Eperweg 120-D-14.
De eigenaar van Eperweg 120-D-14 is op te vragen op deze pagina.
De informatie over dit adres is afkomstig uit officiële overheidsregistraties, voornamelijk de Basisregistratie Adressen en Gebouwen (BAG) en de Basisregistratie Kadaster (BRK). Deze gegevens worden beheerd door respectievelijk gemeenten en het Kadaster, en worden regelmatig bijgewerkt. Energielabelgegevens komen uit de database van de Rijksdienst voor Ondernemend Nederland (RVO).
