
Oude Verlaatweg 6 is een adres in 't Veld, dat zich bevindt binnen de gemeentegrenzen van 't Veld en de grenzen van de provincie Noord-Holland. De oppervlakte van het verblijfsobject is met 515 m² aan de grote kant. Het perceel heeft een oppervlakte van 3730 m². De oppervlakte van dit adres is groot vergeleken met de oppervlaktes van andere adressen in de straat. De kleinste oppervlakte bedraagt er 76 m², de grootste 750 m². Oude Verlaatweg 6 bevindt zich in een pand uit het jaar 1890. Daarmee behoort het tot de groep relatief oude panden in Nederland die gebouwd zijn vóór 1965. Gemiddeld zijn de gebouwen in de straat gebouwd in 1948. Dit is het oudste pand in de straat. Het meest recente komt uit het jaar 2025. Voor het verblijfsobject gelden deze gebruiksdoelen: 'woonfunctie'.
Deze woning is voor het laatst verkocht op 1 november 2021. Meer informatie over deze transactie? Bestel het Woningtransactierapport om de verkoopprijs en andere informatie te zien.
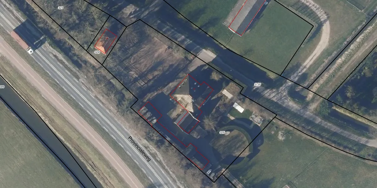
Het adres ligt op het perceel NDP02-E-325, dat zich in de kadastrale gemeente Niedorp bevindt. De gemiddelde perceelgrootte in Niedorp is 6337,56 m². Dit perceel is kleiner: de perceeloppervlakte bedraagt 3730 m². Het grootste perceel in de kadastrale gemeente is 56,4 ha. Het kleinste perceel heeft een oppervlakte van 0 m². Op het perceel bevinden zich geen andere adressen. De huidige grenzen van het perceel zijn digitaal in de Basisregistratie Kadaster (BRK) geregistreerd op 14-04-2003.
Het adres ligt in een gebouw van het type 'vrijstaande woning'. Bij de laatste meting is voor het adres het energielabel E geregistreerd. Het hoogste energielabel in de straat is A; het laagste is G. Het gemiddelde energielabel is er D. Het adres Oude Verlaatweg 6 heeft als status: 'verblijfsobject in gebruik'. Het pand waarin dit adres ligt heeft als status: 'pand in gebruik'.
Oude Verlaatweg 6 is een adres gelegen in de gemeente Hollands Kroon, provincie Noord-Holland. Dit adres is geregistreerd in de Basisregistratie Adressen en Gebouwen (BAG) met als unieke identificatie 0412010000577242.
Het pand op Oude Verlaatweg 6 is gebouwd in 1890, wat betekent dat het 136 jaar oud is. Dit is een ouder pand. Het pand heeft mogelijk aanzienlijke renovaties nodig om aan de huidige standaarden te voldoen.
De woning op Oude Verlaatweg 6 heeft een gebruiksoppervlakte van 515 m². Dit is ruim vergeleken met de gemiddelde Nederlandse woning, die een oppervlakte heeft van ongeveer 119 m². De gebruiksoppervlakte is de maat die wordt gebruikt in de BAG-registratie, de landelijke registratie van de Nederlandse overheid.
Oude Verlaatweg 6 heeft als functie: wonen. Deze gebruiksfunctie(s) zijn vastgelegd in de BAG-registratie en geven aan waarvoor het adres officieel mag worden gebruikt.
Oude Verlaatweg 6 is gelegen op kadastraal perceel NDP02E325. Deze kadastrale aanduiding is uniek en wordt gebruikt door het Kadaster om eigendomsrechten en andere zakelijke rechten vast te leggen. Het perceel maakt onderdeel uit van de kadastrale gemeente Niedorp.
Het perceel waarop Oude Verlaatweg 6 staat heeft een oppervlakte van 3730 m². Dit is een zeer groot perceel. De perceeloppervlakte wordt geregistreerd door het Kadaster. Gedetailleerde informatie over de maten van dit perceel kunt u vinden in het rapport Kadastrale kaart met maatvoering van Oude Verlaatweg 6.
De eigenaar van Oude Verlaatweg 6 is op te vragen op deze pagina.
De informatie over dit adres is afkomstig uit officiële overheidsregistraties, voornamelijk de Basisregistratie Adressen en Gebouwen (BAG) en de Basisregistratie Kadaster (BRK). Deze gegevens worden beheerd door respectievelijk gemeenten en het Kadaster, en worden regelmatig bijgewerkt. Energielabelgegevens komen uit de database van de Rijksdienst voor Ondernemend Nederland (RVO).
