
Brinkweg 2 is gelegen in de plaats Taarlo, de gemeente Tynaarlo en de provincie Drenthe. Het verblijfsobject is 134 m² groot en bevindt zich op een perceel met een oppervlakte van 2967 m². Gemiddeld hebben adressen in Nederland een oppervlakte van 119 m². In de straat is dit het kleinste object. Het grootste verblijfsobject heeft een oppervlakte van 322 m². De gemiddelde grootte is er 218 m². Het adres Brinkweg 2 ligt in een relatief oud pand uit het jaar 1910. Panden van vóór het jaar 1965 hebben we hier geclassificeerd als oud. Het bouwjaar is oud vergeleken met dat van de andere panden in de straat. Het oudste bouwjaar is er 1900 en de nieuwste is 1935. Voor het verblijfsobject gelden deze gebruiksdoelen: 'woonfunctie' en 'industriefunctie'.
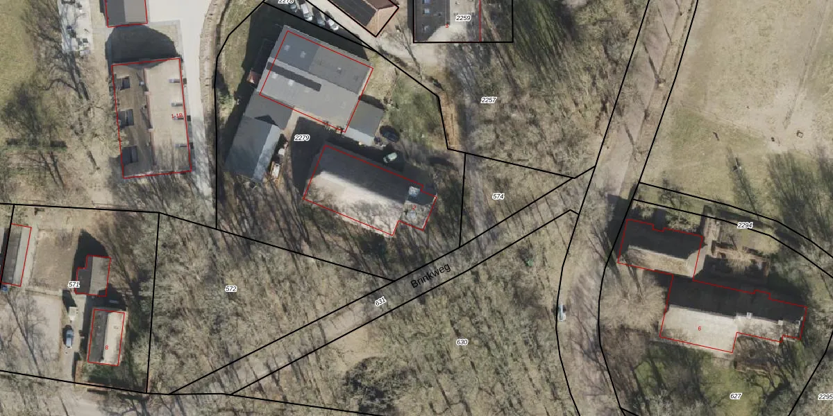
Het perceel waarop het adres ligt is VRI00-W-2279. De afkorting 'VRI00' staat voor kadastrale gemeente Vries. De gemiddelde perceelgrootte in Vries is 8857,68 m². Dit perceel is kleiner: de perceeloppervlakte bedraagt 2967 m². De grootste perceeloppervlakte in de kadastrale gemeente is 53,3 ha. De kleinste oppervlakte bedraagt 1 m². Dit is het enige adres dat aanwezig is op het perceel. De laatste wijziging in het de Basisregistratie Kadaster (BRK) was op 20-03-2023.
Er is geen energielabel geregistreerd voor het adres. Het hoogste energielabel in de straat is A+++; het laagste is G. Het gemiddelde energielabel is er A+++. Het adres Brinkweg 2 heeft als status: 'verblijfsobject in gebruik'. Het pand waarin dit adres ligt heeft als status: 'pand in gebruik'.
Brinkweg 2 is een adres gelegen in de gemeente Tynaarlo, provincie Drenthe. Dit adres is geregistreerd in de Basisregistratie Adressen en Gebouwen (BAG) met als unieke identificatie 1730010000008372.
Het pand op Brinkweg 2 is gebouwd in 1910, wat betekent dat het 116 jaar oud is. Dit is een ouder pand. Het pand heeft mogelijk aanzienlijke renovaties nodig om aan de huidige standaarden te voldoen.
De woning op Brinkweg 2 heeft een gebruiksoppervlakte van 134 m². Dit is gemiddeld vergeleken met de gemiddelde Nederlandse woning, die een oppervlakte heeft van ongeveer 119 m². De gebruiksoppervlakte is de maat die wordt gebruikt in de BAG-registratie, de landelijke registratie van de Nederlandse overheid.
Brinkweg 2 heeft als functie: wonen en industrie. Deze gebruiksfunctie(s) zijn vastgelegd in de BAG-registratie en geven aan waarvoor het adres officieel mag worden gebruikt.
Brinkweg 2 is gelegen op kadastraal perceel VRI00W2279. Deze kadastrale aanduiding is uniek en wordt gebruikt door het Kadaster om eigendomsrechten en andere zakelijke rechten vast te leggen. Het perceel maakt onderdeel uit van de kadastrale gemeente Vries.
Het perceel waarop Brinkweg 2 staat heeft een oppervlakte van 2967 m². Dit is een zeer groot perceel. De perceeloppervlakte wordt geregistreerd door het Kadaster. Gedetailleerde informatie over de maten van dit perceel kunt u vinden in het rapport Kadastrale kaart met maatvoering van Brinkweg 2.
De eigenaar van Brinkweg 2 is op te vragen op deze pagina.
De informatie over dit adres is afkomstig uit officiële overheidsregistraties, voornamelijk de Basisregistratie Adressen en Gebouwen (BAG) en de Basisregistratie Kadaster (BRK). Deze gegevens worden beheerd door respectievelijk gemeenten en het Kadaster, en worden regelmatig bijgewerkt. Energielabelgegevens komen uit de database van de Rijksdienst voor Ondernemend Nederland (RVO).
