
Walstraat 18 is gelegen in de plaats Terborg, de gemeente Oude IJsselstreek en de provincie Gelderland. Het verblijfsobject is vergeleken met het Nederlandse gemiddelde aan de kleine kant: de oppervlakte is 49 m². Het perceel waarop het adres zich bevindt heeft een oppervlakte van 1000 m². Het object is klein ten opzichte van de andere adressen in de straat. Het grootste verblijfsobject is 351 m² groot en het kleinste is 44 m². Het adres Walstraat 18 ligt in een relatief oud pand uit het jaar 1909. Panden van vóór het jaar 1965 hebben we hier geclassificeerd als oud. Het nieuwste gebouw in de straat komt uit 2015 en het oudste uit 1900. Dit object is relatief oud. Voor het verblijfsobject gelden deze gebruiksdoelen: 'woonfunctie'.
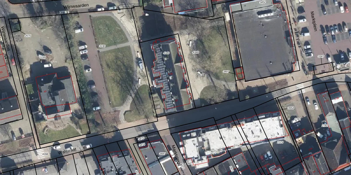
Het perceel waarop het adres ligt is WIS00-F-4349. De afkorting 'WIS00' staat voor kadastrale gemeente Wisch. De gemiddelde perceelgrootte in Wisch is 3144,49 m². Dit perceel is kleiner: de perceeloppervlakte bedraagt 1000 m². De grootste perceeloppervlakte in de kadastrale gemeente is 26,7 ha. De kleinste oppervlakte bedraagt 0 m². Op het perceel liggen in totaal 10 adressen. De laatste wijziging in het de Basisregistratie Kadaster (BRK) was op 10-02-2020.
Het adres ligt in een gebouw van het type 'appartement met het subtype tussendak'. Bij de laatste meting is voor het adres het energielabel A++++ geregistreerd. Het hoogste energielabel in de straat is A+++++; het laagste is G. Het gemiddelde energielabel is er A. Het adres Walstraat 18 heeft als status: 'verblijfsobject in gebruik'. Het pand waarin dit adres ligt heeft als status: 'pand in gebruik'.
Walstraat 18 is een adres gelegen in de gemeente Oude IJsselstreek, provincie Gelderland. Dit adres is geregistreerd in de Basisregistratie Adressen en Gebouwen (BAG) met als unieke identificatie 1509010000256876.
Het pand op Walstraat 18 is gebouwd in 1909, wat betekent dat het 117 jaar oud is. Dit is een ouder pand. Het pand heeft mogelijk aanzienlijke renovaties nodig om aan de huidige standaarden te voldoen.
De woning op Walstraat 18 heeft een gebruiksoppervlakte van 49 m². Dit is relatief klein vergeleken met de gemiddelde Nederlandse woning, die een oppervlakte heeft van ongeveer 119 m². De gebruiksoppervlakte is de maat die wordt gebruikt in de BAG-registratie, de landelijke registratie van de Nederlandse overheid.
Walstraat 18 heeft als functie: wonen. Deze gebruiksfunctie(s) zijn vastgelegd in de BAG-registratie en geven aan waarvoor het adres officieel mag worden gebruikt.
Walstraat 18 is gelegen op kadastraal perceel WIS00F4349. Deze kadastrale aanduiding is uniek en wordt gebruikt door het Kadaster om eigendomsrechten en andere zakelijke rechten vast te leggen. Het perceel maakt onderdeel uit van de kadastrale gemeente Wisch.
Het perceel waarop Walstraat 18 staat heeft een oppervlakte van 1000 m². Dit is een zeer groot perceel. De perceeloppervlakte wordt geregistreerd door het Kadaster. Gedetailleerde informatie over de maten van dit perceel kunt u vinden in het rapport Kadastrale kaart met maatvoering van Walstraat 18.
De eigenaar van Walstraat 18 is op te vragen op deze pagina.
De informatie over dit adres is afkomstig uit officiële overheidsregistraties, voornamelijk de Basisregistratie Adressen en Gebouwen (BAG) en de Basisregistratie Kadaster (BRK). Deze gegevens worden beheerd door respectievelijk gemeenten en het Kadaster, en worden regelmatig bijgewerkt. Energielabelgegevens komen uit de database van de Rijksdienst voor Ondernemend Nederland (RVO).
