
Het adres Frankenlaan 161 bevindt zich in de plaats Tilburg, in de gemeente Tilburg en de provincie Noord-Brabant. Het perceel waarop het verblijfsobject staat is 811 m² groot. De oppervlakte van het adres is 122 m², wat zich rond het Nederlandse gemiddelde van 119 m² bevindt. In vergelijking met de andere adressen in de straat is de oppervlakte van dit object relatief groot. Het grootste verblijfsobject heeft een oppervlakte van 184 m², de oppervlakte van het kleinste object bedraagt 15 m². De meeste Nederlandse gebouwen zijn gebouwd in de periode 1965-1984. Zo ook het pand waarin Frankenlaan 161 ligt, dat gebouwd is in 1970. In de straat komt het nieuwste gebouw uit het jaar 1974 en het oudste uit 1969. Het bouwjaar van dit object is relatief oud. De volgende gebruiksdoelen zijn geregistreerd voor dit adres: 'woonfunctie'.
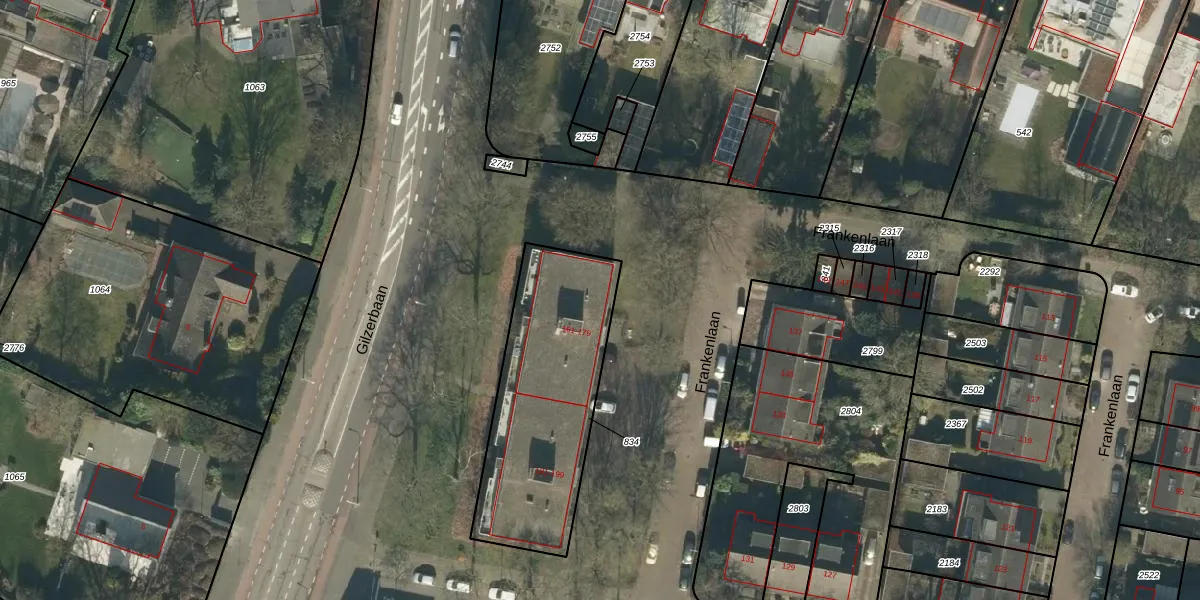
Het perceel waarop het adres ligt is TBG01-AB-834. De afkorting 'TBG01' staat voor kadastrale gemeente Tilburg. Het perceel is 811 m² groot. Dat is kleiner dan de gemiddelde perceeloppervlakte in Tilburg, dat op 1264,36 m² ligt. De grootste perceeloppervlakte in de kadastrale gemeente is 87,4 ha. De kleinste oppervlakte bedraagt 0 m². Op het perceel zijn 20 adressen aanwezig. In de Basisregistratie Kadaster (BRK) werden de grenzen van het perceel geregistreerd op 29-11-2007.
Er is geen energielabel geregistreerd voor het adres. Het hoogste energielabel in de straat is A+; het laagste is G. Het gemiddelde energielabel is er C. Het adres Frankenlaan 161 heeft als status: 'verblijfsobject in gebruik'. Het pand waarin dit adres ligt heeft als status: 'pand in gebruik'.
Frankenlaan 161 is een adres gelegen in de gemeente Tilburg, provincie Noord-Brabant. Dit adres is geregistreerd in de Basisregistratie Adressen en Gebouwen (BAG) met als unieke identificatie 0855010000022919.
Het pand op Frankenlaan 161 is gebouwd in 1970, wat betekent dat het 56 jaar oud is. Dit is een ouder pand. Het pand heeft mogelijk aanzienlijke renovaties nodig om aan de huidige standaarden te voldoen.
De woning op Frankenlaan 161 heeft een gebruiksoppervlakte van 122 m². Dit is gemiddeld vergeleken met de gemiddelde Nederlandse woning, die een oppervlakte heeft van ongeveer 119 m². De gebruiksoppervlakte is de maat die wordt gebruikt in de BAG-registratie, de landelijke registratie van de Nederlandse overheid.
Frankenlaan 161 heeft als functie: wonen. Deze gebruiksfunctie(s) zijn vastgelegd in de BAG-registratie en geven aan waarvoor het adres officieel mag worden gebruikt.
Frankenlaan 161 is gelegen op kadastraal perceel TBG01AB834. Deze kadastrale aanduiding is uniek en wordt gebruikt door het Kadaster om eigendomsrechten en andere zakelijke rechten vast te leggen. Het perceel maakt onderdeel uit van de kadastrale gemeente Tilburg.
Het perceel waarop Frankenlaan 161 staat heeft een oppervlakte van 811 m². Dit is een groot perceel. De perceeloppervlakte wordt geregistreerd door het Kadaster. Gedetailleerde informatie over de maten van dit perceel kunt u vinden in het rapport Kadastrale kaart met maatvoering van Frankenlaan 161.
De eigenaar van Frankenlaan 161 is op te vragen op deze pagina.
De informatie over dit adres is afkomstig uit officiële overheidsregistraties, voornamelijk de Basisregistratie Adressen en Gebouwen (BAG) en de Basisregistratie Kadaster (BRK). Deze gegevens worden beheerd door respectievelijk gemeenten en het Kadaster, en worden regelmatig bijgewerkt. Energielabelgegevens komen uit de database van de Rijksdienst voor Ondernemend Nederland (RVO).
