
Garderenseweg 86 is een adres in Uddel, dat zich bevindt binnen de gemeentegrenzen van Uddel en de grenzen van de provincie Gelderland. Het perceel waarop het adres gelegen is heeft een oppervlakte van 1540 m². Het verblijfsobject is met 99 m² relatief klein. Het adres is klein vergeleken met andere objecten in de straat. Het grootste object in de straat heeft een oppervlakte van 3128 m², het kleinste is 45 m² groot. In Nederland komt het grootste deel van de gebouwen uit de periode 1965-1984. Ook het bouwjaar van Garderenseweg 86 is afkomstig uit die periode: het betreft namelijk een pand uit 1983. Vergeleken met de andere panden in de straat is dit gebouw nieuw. Het vroegste bouwjaar is er 1757 en het laatste is 2023. Het verblijfsobject heeft de volgende gebruiksdoelen: 'woonfunctie'.
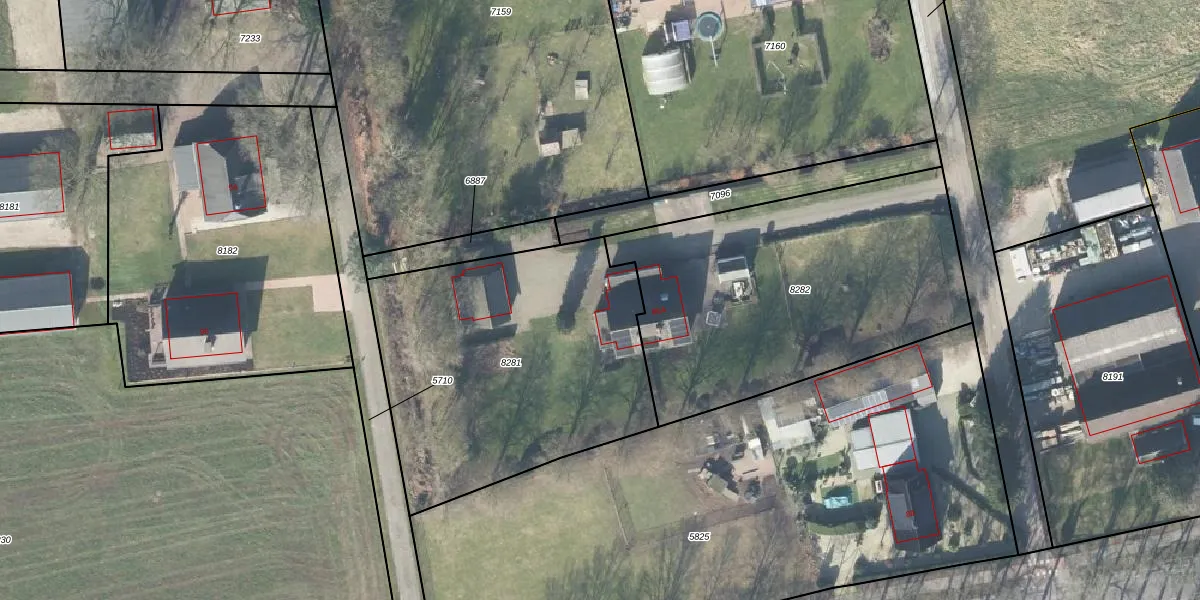
Het adres ligt op het perceel APD01-A-8281, dat zich in de kadastrale gemeente Apeldoorn bevindt. Het perceel is kleiner dan gemiddeld in Apeldoorn. Het perceel is 1540 m² groot, terwijl het gemiddelde ligt op 3523,48 m². Het grootste perceel in de kadastrale gemeente is 4,54 km². Het kleinste perceel heeft een oppervlakte van 0 m². Er zijn 2 adressen aanwezig op het perceel. De huidige grenzen van het perceel zijn digitaal in de Basisregistratie Kadaster (BRK) geregistreerd op 04-11-2025.
Er is geen energielabel geregistreerd voor het adres. Het hoogste energielabel in de straat is A; het laagste is G. Het gemiddelde energielabel is er D. Het adres Garderenseweg 86 heeft als status: 'verblijfsobject gevormd'. Het pand waarin dit adres ligt heeft als status: 'verbouwing pand'.
Garderenseweg 86 is een adres gelegen in de gemeente Apeldoorn, provincie Gelderland. Dit adres is geregistreerd in de Basisregistratie Adressen en Gebouwen (BAG) met als unieke identificatie 0200010003997879.
Het pand op Garderenseweg 86 is gebouwd in 1983, wat betekent dat het 43 jaar oud is. Dit is een pand van middelbare leeftijd. Het pand is van gemiddelde leeftijd en zal waarschijnlijk verouderde elementen bevatten.
De woning op Garderenseweg 86 heeft een gebruiksoppervlakte van 99 m². Dit is onder het gemiddelde vergeleken met de gemiddelde Nederlandse woning, die een oppervlakte heeft van ongeveer 119 m². De gebruiksoppervlakte is de maat die wordt gebruikt in de BAG-registratie, de landelijke registratie van de Nederlandse overheid.
Garderenseweg 86 heeft als functie: wonen. Deze gebruiksfunctie(s) zijn vastgelegd in de BAG-registratie en geven aan waarvoor het adres officieel mag worden gebruikt.
Garderenseweg 86 is gelegen op kadastraal perceel APD01A8281. Deze kadastrale aanduiding is uniek en wordt gebruikt door het Kadaster om eigendomsrechten en andere zakelijke rechten vast te leggen. Het perceel maakt onderdeel uit van de kadastrale gemeente Apeldoorn.
Het perceel waarop Garderenseweg 86 staat heeft een oppervlakte van 1540 m². Dit is een zeer groot perceel. De perceeloppervlakte wordt geregistreerd door het Kadaster. Gedetailleerde informatie over de maten van dit perceel kunt u vinden in het rapport Kadastrale kaart met maatvoering van Garderenseweg 86.
De eigenaar van Garderenseweg 86 is op te vragen op deze pagina.
De informatie over dit adres is afkomstig uit officiële overheidsregistraties, voornamelijk de Basisregistratie Adressen en Gebouwen (BAG) en de Basisregistratie Kadaster (BRK). Deze gegevens worden beheerd door respectievelijk gemeenten en het Kadaster, en worden regelmatig bijgewerkt. Energielabelgegevens komen uit de database van de Rijksdienst voor Ondernemend Nederland (RVO).
