
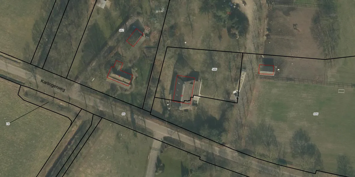
Karlingerweg 10 is een adres in Uden, dat zich bevindt binnen de gemeentegrenzen van Uden en de grenzen van de provincie Noord-Brabant. De oppervlakte van het verblijfsobject is met 234 m² aan de grote kant. Het perceel heeft een oppervlakte van 1260 m². In vergelijking met de andere adressen in de straat is de oppervlakte van dit object relatief groot. Het grootste verblijfsobject heeft een oppervlakte van 586 m², de oppervlakte van het kleinste object bedraagt 59 m². In het jaar 1985 is het pand waarin Karlingerweg 10 ligt gebouwd. Dat is relatief recent: de meeste gebouwen in Nederland zijn gebouwd in de periode 1965-1984. Dit object is relatief nieuw in de straat. Het nieuwste gebouw komt er uit het jaar 2014 en het oudste uit het jaar 1770. Voor het verblijfsobject gelden deze gebruiksdoelen: 'woonfunctie'.
Het perceel waarop het adres ligt is UDN00-R-586. De afkorting 'UDN00' staat voor kadastrale gemeente Uden. De gemiddelde perceelgrootte in Uden is 3245,63 m². Dit perceel is kleiner: de perceeloppervlakte bedraagt 1260 m². De grootste perceeloppervlakte in de kadastrale gemeente is 1,06 km². De kleinste oppervlakte bedraagt 0 m². Op het perceel bevinden zich geen andere adressen. De huidige grenzen van het perceel zijn digitaal in de Basisregistratie Kadaster (BRK) geregistreerd op 16-03-2009.
Het adres ligt in een gebouw van het type 'vrijstaande woning'. Bij de laatste meting is voor het adres het energielabel C geregistreerd. Het hoogste energielabel in de straat is C; het laagste is G. Het gemiddelde energielabel is er D. Het adres Karlingerweg 10 heeft als status: 'verblijfsobject in gebruik'. Het pand waarin dit adres ligt heeft als status: 'pand in gebruik'.
Karlingerweg 10 is een adres gelegen in de gemeente Maashorst, provincie Noord-Brabant. Dit adres is geregistreerd in de Basisregistratie Adressen en Gebouwen (BAG) met als unieke identificatie 0856010000377484.
Het pand op Karlingerweg 10 is gebouwd in 1985, wat betekent dat het 41 jaar oud is. Dit is een pand van middelbare leeftijd. Het pand is van gemiddelde leeftijd en zal waarschijnlijk verouderde elementen bevatten.
De woning op Karlingerweg 10 heeft een gebruiksoppervlakte van 234 m². Dit is ruim vergeleken met de gemiddelde Nederlandse woning, die een oppervlakte heeft van ongeveer 119 m². De gebruiksoppervlakte is de maat die wordt gebruikt in de BAG-registratie, de landelijke registratie van de Nederlandse overheid.
Karlingerweg 10 heeft als functie: wonen. Deze gebruiksfunctie(s) zijn vastgelegd in de BAG-registratie en geven aan waarvoor het adres officieel mag worden gebruikt.
Karlingerweg 10 is gelegen op kadastraal perceel UDN00R586. Deze kadastrale aanduiding is uniek en wordt gebruikt door het Kadaster om eigendomsrechten en andere zakelijke rechten vast te leggen. Het perceel maakt onderdeel uit van de kadastrale gemeente Uden.
Het perceel waarop Karlingerweg 10 staat heeft een oppervlakte van 1260 m². Dit is een zeer groot perceel. De perceeloppervlakte wordt geregistreerd door het Kadaster. Gedetailleerde informatie over de maten van dit perceel kunt u vinden in het rapport Kadastrale kaart met maatvoering van Karlingerweg 10.
De eigenaar van Karlingerweg 10 is op te vragen op deze pagina.
De informatie over dit adres is afkomstig uit officiële overheidsregistraties, voornamelijk de Basisregistratie Adressen en Gebouwen (BAG) en de Basisregistratie Kadaster (BRK). Deze gegevens worden beheerd door respectievelijk gemeenten en het Kadaster, en worden regelmatig bijgewerkt. Energielabelgegevens komen uit de database van de Rijksdienst voor Ondernemend Nederland (RVO).
