
Kuilpad 8-b is gelegen in de plaats Udenhout, de gemeente Tilburg en de provincie Noord-Brabant. Het verblijfsobject is vergeleken met het Nederlandse gemiddelde aan de kleine kant: de oppervlakte is 10 m². Het perceel waarop het adres zich bevindt heeft een oppervlakte van 4725 m². In de straat is dit het kleinste object. Het grootste verblijfsobject heeft een oppervlakte van 286 m². De gemiddelde grootte is er 96 m². Het adres Kuilpad 8-b ligt in een relatief oud pand uit het jaar 1960. Panden van vóór het jaar 1965 hebben we hier geclassificeerd als oud. Het nieuwste gebouw in de straat komt uit 1988 en het oudste uit 1930. Dit object is relatief oud. Het verblijfsobject heeft de volgende gebruiksdoelen: 'overige gebruiksfunctie'.
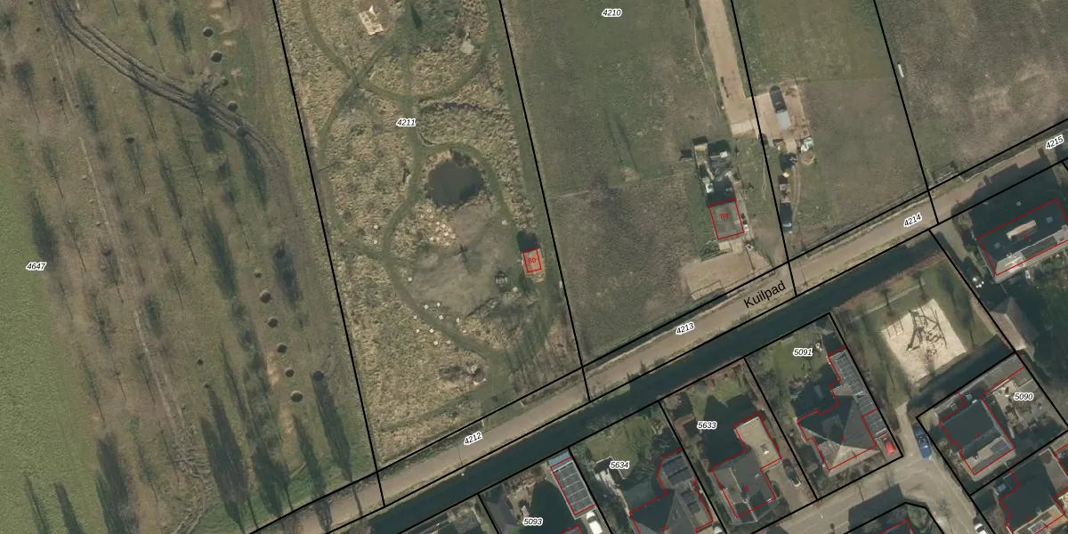
Het perceel waarop het adres ligt is UDH00-F-4211. De afkorting 'UDH00' staat voor kadastrale gemeente Udenhout. De gemiddelde perceeloppervlakte in de kadastrale gemeente Udenhout is 4175,59 m². Dit perceel is met zijn 4725 m² dus groter dan gemiddeld. De grootste perceeloppervlakte in de kadastrale gemeente is 38,7 ha. De kleinste oppervlakte bedraagt 1 m². Op het perceel bevinden zich geen andere adressen. De laatste wijziging in het de Basisregistratie Kadaster (BRK) was op 01-03-2006.
Er is geen energielabel geregistreerd voor het adres. Het hoogste energielabel in de straat is A+; het laagste is G. Het gemiddelde energielabel is er C. Het adres Kuilpad 8-b heeft als status: 'verblijfsobject in gebruik'. Het pand waarin dit adres ligt heeft als status: 'pand in gebruik'.
Kuilpad 8-b is een adres gelegen in de gemeente Tilburg, provincie Noord-Brabant. Dit adres is geregistreerd in de Basisregistratie Adressen en Gebouwen (BAG) met als unieke identificatie 0855010000099710.
Het pand op Kuilpad 8-b is gebouwd in 1960, wat betekent dat het 66 jaar oud is. Dit is een ouder pand. Het pand heeft mogelijk aanzienlijke renovaties nodig om aan de huidige standaarden te voldoen.
De woning op Kuilpad 8-b heeft een gebruiksoppervlakte van 10 m². Dit is relatief klein vergeleken met de gemiddelde Nederlandse woning, die een oppervlakte heeft van ongeveer 119 m². De gebruiksoppervlakte is de maat die wordt gebruikt in de BAG-registratie, de landelijke registratie van de Nederlandse overheid.
Kuilpad 8-b heeft als functie: overige doeleinden. Deze gebruiksfunctie(s) zijn vastgelegd in de BAG-registratie en geven aan waarvoor het adres officieel mag worden gebruikt.
Kuilpad 8-b is gelegen op kadastraal perceel UDH00F4211. Deze kadastrale aanduiding is uniek en wordt gebruikt door het Kadaster om eigendomsrechten en andere zakelijke rechten vast te leggen. Het perceel maakt onderdeel uit van de kadastrale gemeente Udenhout.
Het perceel waarop Kuilpad 8-b staat heeft een oppervlakte van 4725 m². Dit is een zeer groot perceel. De perceeloppervlakte wordt geregistreerd door het Kadaster. Gedetailleerde informatie over de maten van dit perceel kunt u vinden in het rapport Kadastrale kaart met maatvoering van Kuilpad 8-b.
De eigenaar van Kuilpad 8-b is op te vragen op deze pagina.
De informatie over dit adres is afkomstig uit officiële overheidsregistraties, voornamelijk de Basisregistratie Adressen en Gebouwen (BAG) en de Basisregistratie Kadaster (BRK). Deze gegevens worden beheerd door respectievelijk gemeenten en het Kadaster, en worden regelmatig bijgewerkt. Energielabelgegevens komen uit de database van de Rijksdienst voor Ondernemend Nederland (RVO).
