
Het adres Dorpsstraat 52 bevindt zich in de plaats Uffelte, in de gemeente Uffelte en de provincie Drenthe. De oppervlakte van het verblijfsobject is met 156 m² aan de grote kant. Het perceel heeft een oppervlakte van 4269 m². Het object is klein ten opzichte van de andere adressen in de straat. Het grootste verblijfsobject is 2617 m² groot en het kleinste is 6 m². In Nederland komt het grootste deel van de gebouwen uit de periode 1965-1984. Ook het bouwjaar van Dorpsstraat 52 is afkomstig uit die periode: het betreft namelijk een pand uit 1975. Dit object is relatief nieuw in de straat. Het nieuwste gebouw komt er uit het jaar 2025 en het oudste uit het jaar 1800. Voor het verblijfsobject gelden deze gebruiksdoelen: 'woonfunctie'.
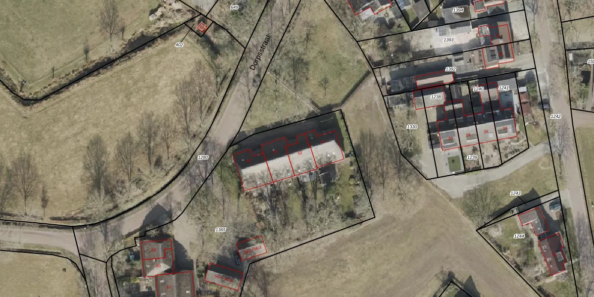
Het perceel waarop het adres ligt is HVT03-M-1365. De afkorting 'HVT03' staat voor kadastrale gemeente Havelte. De gemiddelde perceelgrootte in Havelte is 1,1 ha. Dit perceel is kleiner: de perceeloppervlakte bedraagt 4269 m². Het grootste perceel in de kadastrale gemeente is 1,09 km². Het kleinste perceel heeft een oppervlakte van 0 m². Op het perceel liggen in totaal 17 adressen. In de Basisregistratie Kadaster (BRK) werden de grenzen van het perceel geregistreerd op 09-07-2003.
Het adres ligt in een gebouw van het type 'rijwoning tussen'. Bij de laatste meting is voor het adres het energielabel B geregistreerd. Het hoogste energielabel in de straat is A+++; het laagste is G. Het gemiddelde energielabel is er B. Het adres Dorpsstraat 52 heeft als status: 'verblijfsobject in gebruik'. Het pand waarin dit adres ligt heeft als status: 'pand in gebruik'.
Dorpsstraat 52 is een adres gelegen in de gemeente Westerveld, provincie Drenthe. Dit adres is geregistreerd in de Basisregistratie Adressen en Gebouwen (BAG) met als unieke identificatie 1701010000220605.
Het pand op Dorpsstraat 52 is gebouwd in 1975, wat betekent dat het 51 jaar oud is. Dit is een ouder pand. Het pand heeft mogelijk aanzienlijke renovaties nodig om aan de huidige standaarden te voldoen.
De woning op Dorpsstraat 52 heeft een gebruiksoppervlakte van 156 m². Dit is ruim vergeleken met de gemiddelde Nederlandse woning, die een oppervlakte heeft van ongeveer 119 m². De gebruiksoppervlakte is de maat die wordt gebruikt in de BAG-registratie, de landelijke registratie van de Nederlandse overheid.
Dorpsstraat 52 heeft als functie: wonen. Deze gebruiksfunctie(s) zijn vastgelegd in de BAG-registratie en geven aan waarvoor het adres officieel mag worden gebruikt.
Dorpsstraat 52 is gelegen op kadastraal perceel HVT03M1365. Deze kadastrale aanduiding is uniek en wordt gebruikt door het Kadaster om eigendomsrechten en andere zakelijke rechten vast te leggen. Het perceel maakt onderdeel uit van de kadastrale gemeente Havelte.
Het perceel waarop Dorpsstraat 52 staat heeft een oppervlakte van 4269 m². Dit is een zeer groot perceel. De perceeloppervlakte wordt geregistreerd door het Kadaster. Gedetailleerde informatie over de maten van dit perceel kunt u vinden in het rapport Kadastrale kaart met maatvoering van Dorpsstraat 52.
De eigenaar van Dorpsstraat 52 is op te vragen op deze pagina.
De informatie over dit adres is afkomstig uit officiële overheidsregistraties, voornamelijk de Basisregistratie Adressen en Gebouwen (BAG) en de Basisregistratie Kadaster (BRK). Deze gegevens worden beheerd door respectievelijk gemeenten en het Kadaster, en worden regelmatig bijgewerkt. Energielabelgegevens komen uit de database van de Rijksdienst voor Ondernemend Nederland (RVO).
