Product Functies Prijzen Meer

Adressen

Gebruik de zoekbalk of klik op een perceel voor informatie over de adressen binnen dit perceel.
Locatie
Meten
Lagen
Download

Aek 4

6129NE, Urmond

1519312 Wat moet ik bieden voor deze woning?
137 m²
woonfunctie
200 m² perceeloppervlakte
A

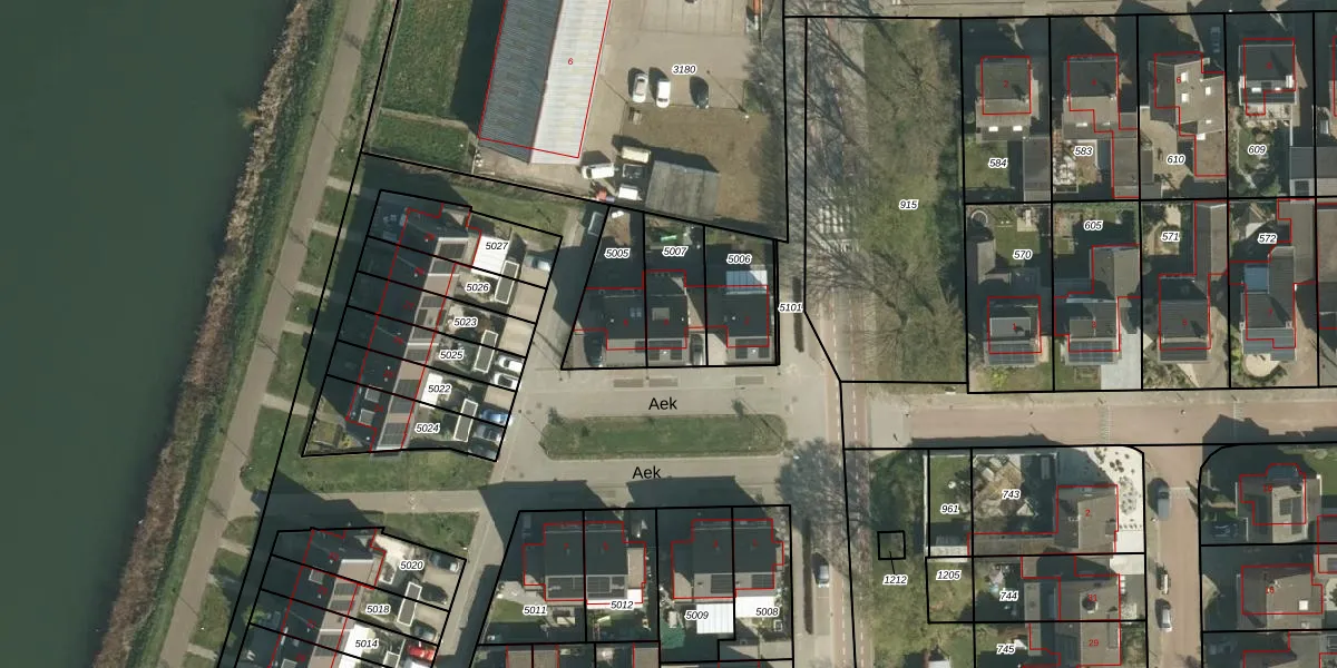
Aek 4 is gelegen in de plaats Urmond, de gemeente Stein en de provincie Limburg. De oppervlakte van het adres is 137 m². Dat is vergelijkbaar met het gemiddelde Nederlandse oppervlakte van 119 m². De oppervlakte van het perceel waarin het adres ligt is 200 m². De oppervlakte van het adres is klein vergeleken met de andere objecten in de straat. De oppervlakte van het kleinste object in de straat bedraagt 123 m², terwijl het grootste object 154 m² groot is. Aek 4 ligt in een gebouw uit het jaar 2019. Daarmee behoort het tot de groep panden van na 1984, die we als relatief nieuw bestempelen. Dit pand is het meest recent exemplaar in de straat. Het oudste object komt er uit 2019 en het gemiddelde bouwjaar is 2019. De volgende gebruiksdoelen zijn geregistreerd voor dit adres: 'woonfunctie'.

Perceel

Het adres is gelegen op perceel 5007 in de sectie B en de kadastrale gemeente Urmond. De kadastrale aanduiding is aldus UMD00-B-5007. Het perceel is 200 m² groot. Dat is kleiner dan de gemiddelde perceeloppervlakte in Urmond, dat op 1024,88 m² ligt. Het grootste perceel in de kadastrale gemeente is 9,4 ha. Het kleinste perceel heeft een oppervlakte van 0 m². Op het perceel bevinden zich geen andere adressen. De laatste wijziging in het de Basisregistratie Kadaster (BRK) was op 31-10-2019.

Energielabel en status

Het adres ligt in een gebouw van het type 'twee-onder-een-kap / rijwoning hoek met het subtype twee-onder-een-kap'. Bij de laatste meting is voor het adres het energielabel A geregistreerd. Het hoogste energielabel in de straat is A; het laagste is G. Het gemiddelde energielabel is er A. Het adres Aek 4 heeft als status: 'verblijfsobject in gebruik'. Het pand waarin dit adres ligt heeft als status: 'pand in gebruik'.

Meer lezen

Adres

Gebruiksoppervlakte
137 m²
Bruto vloeroppervlakte
9xBjHMwdE8Upgrade naar KadastraleKaart Pro
Gebruiksdoel(en)
Woonfunctie
Status
Verblijfsobject in gebruik
Type
Twee-onder-een-kap / rijwoning hoek (Twee-onder-een-kap)
Gasloos
B X1PRs 5qy2Upgrade naar KadastraleKaart Pro
Gebeurtenissen
Appartementsrechten
0 G7ec3abkzi2 Y7 jakvdUpgrade naar KadastraleKaart Pro
Eigenaar
Eigendomsinformatie 12,95
Adresinformatie bestellen
Adrespakket 34,95
VBO ID
0971010000513083

Pand

Bouwjaar pand
2019
Aantal adressen in dit gebouw
1 adres
Hoogte pand
tgfF dvseiLgKEKRUpgrade naar KadastraleKaart Pro
Aantal bouwlagen (schatting)
WpUeR6WS1A8FVUpgrade naar KadastraleKaart Pro
Volume
Adv gUqiCPqJUpgrade naar KadastraleKaart Pro
Oppervlakte dak
OOJpsFisA7OKVROat2R c0Upgrade naar KadastraleKaart Pro
Oppervlakte buitenmuur
sejT6jqhckUpgrade naar KadastraleKaart Pro
Status pand
Pand in gebruik
Pand ID
0971100000098138

Perceel

Kadastrale aanduiding
Urmond B 5007 (UMD00 B 5007)
Oppervlakte
200 m²
Maatvoering
Kadastrale kaart met maatvoering 59,95
Omtrek
63 meter
Datum laatst gewijzigd
31/10/2019
Aantal adressen op perceel
1
Hoogte boven N.A.P.
mn ya9LWUljPdB HXdUpgrade naar KadastraleKaart Pro

Veelgestelde vragen

Aek 4 is een adres gelegen in de gemeente Stein, provincie Limburg. Dit adres is geregistreerd in de Basisregistratie Adressen en Gebouwen (BAG) met als unieke identificatie 0971010000513083.

Het pand op Aek 4 is gebouwd in 2019, wat betekent dat het 7 jaar oud is. Dit is een vrij nieuw pand. Het pand is dus waarschijnlijk goed geïsoleerd, geluidsdicht en voldoet aan de huidige bouwstandaarden. Op korte termijn zijn er waarschijnlijk weinig onderhoudskosten.

De woning op Aek 4 heeft een gebruiksoppervlakte van 137 m². Dit is gemiddeld vergeleken met de gemiddelde Nederlandse woning, die een oppervlakte heeft van ongeveer 119 m². De gebruiksoppervlakte is de maat die wordt gebruikt in de BAG-registratie, de landelijke registratie van de Nederlandse overheid.

Aek 4 heeft als functie: wonen. Deze gebruiksfunctie(s) zijn vastgelegd in de BAG-registratie en geven aan waarvoor het adres officieel mag worden gebruikt.

Aek 4 is gelegen op kadastraal perceel UMD00B5007. Deze kadastrale aanduiding is uniek en wordt gebruikt door het Kadaster om eigendomsrechten en andere zakelijke rechten vast te leggen. Het perceel maakt onderdeel uit van de kadastrale gemeente Urmond.

Het perceel waarop Aek 4 staat heeft een oppervlakte van 200 m². Dit is een middelgroot perceel. De perceeloppervlakte wordt geregistreerd door het Kadaster. Gedetailleerde informatie over de maten van dit perceel kunt u vinden in het rapport Kadastrale kaart met maatvoering van Aek 4.

De eigenaar van Aek 4 is op te vragen op deze pagina.

De informatie over dit adres is afkomstig uit officiële overheidsregistraties, voornamelijk de Basisregistratie Adressen en Gebouwen (BAG) en de Basisregistratie Kadaster (BRK). Deze gegevens worden beheerd door respectievelijk gemeenten en het Kadaster, en worden regelmatig bijgewerkt. Energielabelgegevens komen uit de database van de Rijksdienst voor Ondernemend Nederland (RVO).

Maatvoeringsrapport

Wie is de eigenaar?

Bekijk de eigenaar van Aek 4 met de eigendomsinformatie.
Bekijk de eigenaar van dit adres.
Maatvoeringsrapport

Maatvoering van het perceel

Bestel de maatvoering voor Aek 4 met het maatvoeringsrapport.
Bestel de maatvoering voor dit adres.

360°-foto's van de omgeving

Google Street View
Upgrade nu voor 360° Street View foto's

Zon en schaduw rondom adres

Buurt
Urmond ten oosten van Julianakanaal
Inwoners: 2.600
Woningen: 1.230
Wijk
Wijk 02 Urmond
Inwoners: 5.690
Woningen: 2.673
Gemeente
Stein (L.)
Inwoners: 24.744
Woningen: 11.808