
Van der Halstraat 6 is een adres in Usquert, dat zich bevindt binnen de gemeentegrenzen van Usquert en de grenzen van de provincie Groningen. De oppervlakte bedraagt 181 m², waarmee het adres groter dan gemiddeld is. De grootte van het perceel waarop het adres ligt is 583 m². Het adres is klein vergeleken met andere objecten in de straat. Het grootste object in de straat heeft een oppervlakte van 307 m², het kleinste is 89 m² groot. Het pand waarin Van der Halstraat 6 ligt is gebouwd in het jaar 2001. Panden die gebouwd zijn na het jaar 1984 noemen we hier relatief nieuw. Dit is het oudste object in de straat. Het nieuwste pand komt uit 2005 en het gemiddelde bouwjaar in de straat is 2003. De volgende gebruiksdoelen zijn geregistreerd voor dit adres: 'woonfunctie'.
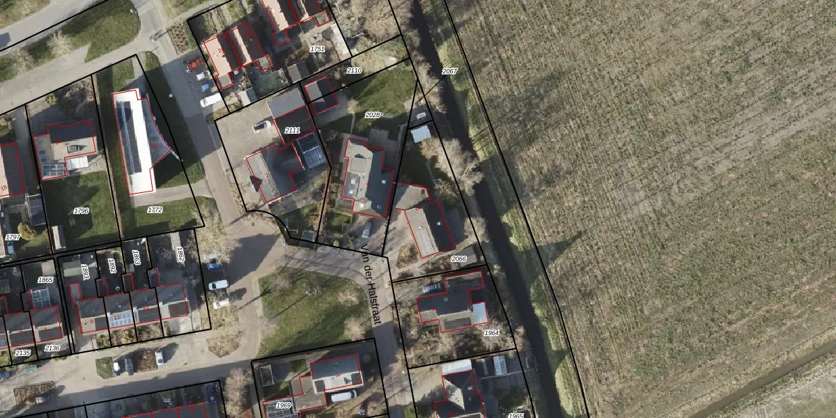
Het adres ligt op het perceel UQT00-C-2066, dat zich in de kadastrale gemeente Usquert bevindt. Het perceel is 583 m² groot. Dat is kleiner dan de gemiddelde perceeloppervlakte in Usquert, dat op 2,6 ha ligt. Het kleinste perceel in de kadastrale gemeente is 0 m² groot. De grootste perceeloppervlakte is 4,45 km². Er zijn geen andere adressen aanwezig op het perceel. De huidige grenzen van het perceel zijn digitaal in de Basisregistratie Kadaster (BRK) geregistreerd op 13-11-2009.
Het adres ligt in een gebouw van het type 'vrijstaande woning'. Bij de laatste meting is voor het adres het energielabel A geregistreerd. Het hoogste energielabel in de straat is A; het laagste is G. Het gemiddelde energielabel is er A. Het adres Van der Halstraat 6 heeft als status: 'verblijfsobject in gebruik'. Het pand waarin dit adres ligt heeft als status: 'pand in gebruik'.
Van der Halstraat 6 is een adres gelegen in de gemeente Het Hogeland, provincie Groningen. Dit adres is geregistreerd in de Basisregistratie Adressen en Gebouwen (BAG) met als unieke identificatie 1651010000020085.
Het pand op Van der Halstraat 6 is gebouwd in 2001, wat betekent dat het 25 jaar oud is. Dit is een pand van middelbare leeftijd. Het pand is van gemiddelde leeftijd en zal waarschijnlijk verouderde elementen bevatten.
De woning op Van der Halstraat 6 heeft een gebruiksoppervlakte van 181 m². Dit is ruim vergeleken met de gemiddelde Nederlandse woning, die een oppervlakte heeft van ongeveer 119 m². De gebruiksoppervlakte is de maat die wordt gebruikt in de BAG-registratie, de landelijke registratie van de Nederlandse overheid.
Van der Halstraat 6 heeft als functie: wonen. Deze gebruiksfunctie(s) zijn vastgelegd in de BAG-registratie en geven aan waarvoor het adres officieel mag worden gebruikt.
Van der Halstraat 6 is gelegen op kadastraal perceel UQT00C2066. Deze kadastrale aanduiding is uniek en wordt gebruikt door het Kadaster om eigendomsrechten en andere zakelijke rechten vast te leggen. Het perceel maakt onderdeel uit van de kadastrale gemeente Usquert.
Het perceel waarop Van der Halstraat 6 staat heeft een oppervlakte van 583 m². Dit is een groot perceel. De perceeloppervlakte wordt geregistreerd door het Kadaster. Gedetailleerde informatie over de maten van dit perceel kunt u vinden in het rapport Kadastrale kaart met maatvoering van Van der Halstraat 6.
De eigenaar van Van der Halstraat 6 is op te vragen op deze pagina.
De informatie over dit adres is afkomstig uit officiële overheidsregistraties, voornamelijk de Basisregistratie Adressen en Gebouwen (BAG) en de Basisregistratie Kadaster (BRK). Deze gegevens worden beheerd door respectievelijk gemeenten en het Kadaster, en worden regelmatig bijgewerkt. Energielabelgegevens komen uit de database van de Rijksdienst voor Ondernemend Nederland (RVO).
