
Apennijnen 57 is gelegen in de plaats Utrecht, de gemeente Utrecht en de provincie Utrecht. De oppervlakte van het object bedraagt 58 m². Dat is klein vergeleken met het Nederlandse gemiddelde. Het perceel waarop het adres ligt is 1150 m² groot. Het object is klein ten opzichte van de andere adressen in de straat. Het grootste verblijfsobject is 144 m² groot en het kleinste is 11 m². De meeste Nederlandse gebouwen zijn gebouwd in de periode 1965-1984. Zo ook het pand waarin Apennijnen 57 ligt, dat gebouwd is in 1979. In de straat is dit het nieuwste pand en stamt het oudste object uit het jaar 1979. Het gemiddelde bouwjaar in de straat is 1979. Voor het verblijfsobject gelden deze gebruiksdoelen: 'woonfunctie'.
Deze woning is voor het laatst verkocht op 1 januari 2021. Meer informatie over deze transactie? Bestel het Woningtransactierapport om de verkoopprijs en andere informatie te zien.
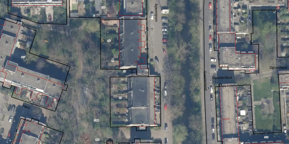
Het perceel waarop het adres ligt is UTT00-U-58. De afkorting 'UTT00' staat voor kadastrale gemeente Utrecht. De gemiddelde perceelgrootte in Utrecht is 1438,48 m². Dit perceel is kleiner: de perceeloppervlakte bedraagt 1150 m². De grootste perceeloppervlakte in de kadastrale gemeente is 90,1 ha. De kleinste oppervlakte bedraagt 0 m². Op het perceel zijn 36 adressen aanwezig. De laatste wijziging in het de Basisregistratie Kadaster (BRK) was op 20-08-2001.
Het adres ligt in een gebouw van het type 'flatwoning (overig) met het subtype tussenmidden'. Bij de laatste meting is voor het adres het energielabel B geregistreerd. Het hoogste energielabel in de straat is B; het laagste is G. Het gemiddelde energielabel is er C. Het adres Apennijnen 57 heeft als status: 'verblijfsobject in gebruik'. Het pand waarin dit adres ligt heeft als status: 'pand in gebruik'.
Apennijnen 57 is een adres gelegen in de gemeente Utrecht, provincie Utrecht. Dit adres is geregistreerd in de Basisregistratie Adressen en Gebouwen (BAG) met als unieke identificatie 0344010000040593.
Het pand op Apennijnen 57 is gebouwd in 1979, wat betekent dat het 47 jaar oud is. Dit is een pand van middelbare leeftijd. Het pand is van gemiddelde leeftijd en zal waarschijnlijk verouderde elementen bevatten.
De woning op Apennijnen 57 heeft een gebruiksoppervlakte van 58 m². Dit is relatief klein vergeleken met de gemiddelde Nederlandse woning, die een oppervlakte heeft van ongeveer 119 m². De gebruiksoppervlakte is de maat die wordt gebruikt in de BAG-registratie, de landelijke registratie van de Nederlandse overheid.
Apennijnen 57 heeft als functie: wonen. Deze gebruiksfunctie(s) zijn vastgelegd in de BAG-registratie en geven aan waarvoor het adres officieel mag worden gebruikt.
Apennijnen 57 is gelegen op kadastraal perceel UTT00U58. Deze kadastrale aanduiding is uniek en wordt gebruikt door het Kadaster om eigendomsrechten en andere zakelijke rechten vast te leggen. Het perceel maakt onderdeel uit van de kadastrale gemeente Utrecht.
Het perceel waarop Apennijnen 57 staat heeft een oppervlakte van 1150 m². Dit is een zeer groot perceel. De perceeloppervlakte wordt geregistreerd door het Kadaster. Gedetailleerde informatie over de maten van dit perceel kunt u vinden in het rapport Kadastrale kaart met maatvoering van Apennijnen 57.
De eigenaar van Apennijnen 57 is op te vragen op deze pagina.
De informatie over dit adres is afkomstig uit officiële overheidsregistraties, voornamelijk de Basisregistratie Adressen en Gebouwen (BAG) en de Basisregistratie Kadaster (BRK). Deze gegevens worden beheerd door respectievelijk gemeenten en het Kadaster, en worden regelmatig bijgewerkt. Energielabelgegevens komen uit de database van de Rijksdienst voor Ondernemend Nederland (RVO).
