
Het adres Briljantlaan 40 bevindt zich in de plaats Utrecht, in de gemeente Utrecht en de provincie Utrecht. Het verblijfsobject is vergeleken met het Nederlandse gemiddelde aan de kleine kant: de oppervlakte is 62 m². Het perceel waarop het adres zich bevindt heeft een oppervlakte van 2542 m². Het object is klein ten opzichte van de andere adressen in de straat. Het grootste verblijfsobject is 1397 m² groot en het kleinste is 9 m². Briljantlaan 40 bevindt zich in een pand uit het jaar 1959. Daarmee behoort het tot de groep relatief oude panden in Nederland die gebouwd zijn vóór 1965. Het nieuwste gebouw in de straat komt uit 2015 en het oudste uit 1958. Dit object is relatief oud. Het verblijfsobject heeft de volgende gebruiksdoelen: 'woonfunctie'.
Deze woning is voor het laatst verkocht op 1 februari 2017. Meer informatie over deze transactie? Bestel het Woningtransactierapport om de verkoopprijs en andere informatie te zien.
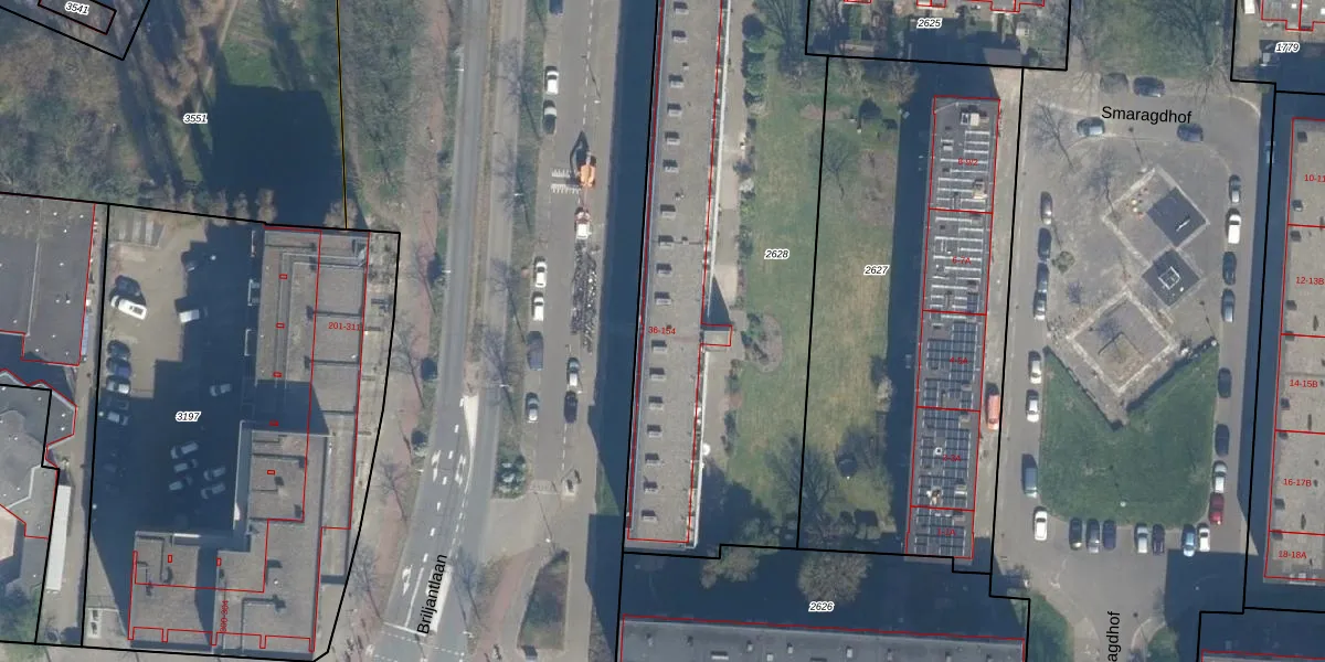
Het perceel waarop het adres ligt is TSG00-B-2628. De afkorting 'TSG00' staat voor kadastrale gemeente Tolsteeg. De gemiddelde perceeloppervlakte in de kadastrale gemeente Tolsteeg is 644,58 m². Dit perceel is met zijn 2542 m² dus groter dan gemiddeld. Het grootste perceel in de kadastrale gemeente is 20,6 ha. Het kleinste perceel heeft een oppervlakte van 0 m². Op het perceel liggen in totaal 60 adressen. In de Basisregistratie Kadaster (BRK) werden de grenzen van het perceel geregistreerd op 05-11-2010.
Het adres ligt in een gebouw van het type 'maisonnette met het subtype tussenvloer'. Bij de laatste meting is voor het adres het energielabel C geregistreerd. Het hoogste energielabel in de straat is A+; het laagste is G. Het gemiddelde energielabel is er C. Het adres Briljantlaan 40 heeft als status: 'verblijfsobject in gebruik'. Het pand waarin dit adres ligt heeft als status: 'pand in gebruik'.
Briljantlaan 40 is een adres gelegen in de gemeente Utrecht, provincie Utrecht. Dit adres is geregistreerd in de Basisregistratie Adressen en Gebouwen (BAG) met als unieke identificatie 0344010000040271.
Het pand op Briljantlaan 40 is gebouwd in 1959, wat betekent dat het 67 jaar oud is. Dit is een ouder pand. Het pand heeft mogelijk aanzienlijke renovaties nodig om aan de huidige standaarden te voldoen.
De woning op Briljantlaan 40 heeft een gebruiksoppervlakte van 62 m². Dit is relatief klein vergeleken met de gemiddelde Nederlandse woning, die een oppervlakte heeft van ongeveer 119 m². De gebruiksoppervlakte is de maat die wordt gebruikt in de BAG-registratie, de landelijke registratie van de Nederlandse overheid.
Briljantlaan 40 heeft als functie: wonen. Deze gebruiksfunctie(s) zijn vastgelegd in de BAG-registratie en geven aan waarvoor het adres officieel mag worden gebruikt.
Briljantlaan 40 is gelegen op kadastraal perceel TSG00B2628. Deze kadastrale aanduiding is uniek en wordt gebruikt door het Kadaster om eigendomsrechten en andere zakelijke rechten vast te leggen. Het perceel maakt onderdeel uit van de kadastrale gemeente Tolsteeg.
Het perceel waarop Briljantlaan 40 staat heeft een oppervlakte van 2542 m². Dit is een zeer groot perceel. De perceeloppervlakte wordt geregistreerd door het Kadaster. Gedetailleerde informatie over de maten van dit perceel kunt u vinden in het rapport Kadastrale kaart met maatvoering van Briljantlaan 40.
De eigenaar van Briljantlaan 40 is op te vragen op deze pagina.
De informatie over dit adres is afkomstig uit officiële overheidsregistraties, voornamelijk de Basisregistratie Adressen en Gebouwen (BAG) en de Basisregistratie Kadaster (BRK). Deze gegevens worden beheerd door respectievelijk gemeenten en het Kadaster, en worden regelmatig bijgewerkt. Energielabelgegevens komen uit de database van de Rijksdienst voor Ondernemend Nederland (RVO).
