
Goeman Borgesiuslaan 9-2 is gelegen in de plaats Utrecht, de gemeente Utrecht en de provincie Utrecht. Het perceel waarop het adres gelegen is heeft een oppervlakte van 4040 m². Het verblijfsobject is met 63 m² relatief klein. De oppervlakte van het adres is klein vergeleken met de andere objecten in de straat. De oppervlakte van het kleinste object in de straat bedraagt 56 m², terwijl het grootste object 5609 m² groot is. Goeman Borgesiuslaan 9-2 bevindt zich in een pand uit het jaar 1953. Daarmee behoort het tot de groep relatief oude panden in Nederland die gebouwd zijn vóór 1965. Het bouwjaar is oud vergeleken met dat van de andere panden in de straat. Het oudste bouwjaar is er 1910 en de nieuwste is 2018. Voor het verblijfsobject gelden deze gebruiksdoelen: 'woonfunctie'.
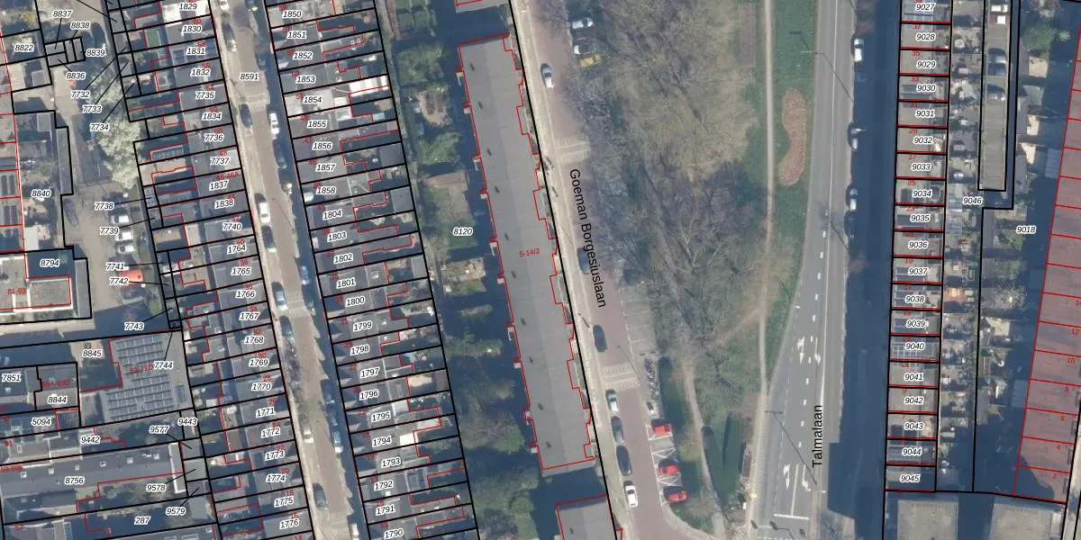
Het adres is gelegen op perceel 8120 in de sectie C en de kadastrale gemeente Lauwerecht. De kadastrale aanduiding is aldus LWR01-C-8120. Het perceel is met 4040 m² relatief groot. Het gemiddelde ligt in de kadastrale gemeente Lauwerecht op 323,94 m². Het grootste perceel in de kadastrale gemeente is 8,3 ha. Het kleinste perceel heeft een oppervlakte van 0 m². Er zijn 56 adressen aanwezig op het perceel. De laatste wijziging in het de Basisregistratie Kadaster (BRK) was op 19-09-1997.
Het adres ligt in een gebouw van het type 'appartement met het subtype tussendak'. Bij de laatste meting is voor het adres het energielabel E geregistreerd. Het hoogste energielabel in de straat is A+; het laagste is G. Het gemiddelde energielabel is er C. Het adres Goeman Borgesiuslaan 9-2 heeft als status: 'verblijfsobject in gebruik'. Het pand waarin dit adres ligt heeft als status: 'pand in gebruik'.
Goeman Borgesiuslaan 9-2 is een adres gelegen in de gemeente Utrecht, provincie Utrecht. Dit adres is geregistreerd in de Basisregistratie Adressen en Gebouwen (BAG) met als unieke identificatie 0344010000148163.
Het pand op Goeman Borgesiuslaan 9-2 is gebouwd in 1953, wat betekent dat het 73 jaar oud is. Dit is een ouder pand. Het pand heeft mogelijk aanzienlijke renovaties nodig om aan de huidige standaarden te voldoen.
De woning op Goeman Borgesiuslaan 9-2 heeft een gebruiksoppervlakte van 63 m². Dit is relatief klein vergeleken met de gemiddelde Nederlandse woning, die een oppervlakte heeft van ongeveer 119 m². De gebruiksoppervlakte is de maat die wordt gebruikt in de BAG-registratie, de landelijke registratie van de Nederlandse overheid.
Goeman Borgesiuslaan 9-2 heeft als functie: wonen. Deze gebruiksfunctie(s) zijn vastgelegd in de BAG-registratie en geven aan waarvoor het adres officieel mag worden gebruikt.
Goeman Borgesiuslaan 9-2 is gelegen op kadastraal perceel LWR01C8120. Deze kadastrale aanduiding is uniek en wordt gebruikt door het Kadaster om eigendomsrechten en andere zakelijke rechten vast te leggen. Het perceel maakt onderdeel uit van de kadastrale gemeente Lauwerecht.
Het perceel waarop Goeman Borgesiuslaan 9-2 staat heeft een oppervlakte van 4040 m². Dit is een zeer groot perceel. De perceeloppervlakte wordt geregistreerd door het Kadaster. Gedetailleerde informatie over de maten van dit perceel kunt u vinden in het rapport Kadastrale kaart met maatvoering van Goeman Borgesiuslaan 9-2.
De eigenaar van Goeman Borgesiuslaan 9-2 is op te vragen op deze pagina
De informatie over dit adres is afkomstig uit officiële overheidsregistraties, voornamelijk de Basisregistratie Adressen en Gebouwen (BAG) en de Basisregistratie Kadaster (BRK). Deze gegevens worden beheerd door respectievelijk gemeenten en het Kadaster, en worden regelmatig bijgewerkt. Energielabelgegevens komen uit de database van de Rijksdienst voor Ondernemend Nederland (RVO).
