
Loevenhoutsedijk 14 is een adres in Utrecht, dat zich bevindt binnen de gemeentegrenzen van Utrecht en de grenzen van de provincie Utrecht. Het verblijfsobject is vergeleken met het Nederlandse gemiddelde aan de kleine kant: de oppervlakte is 54 m². Het perceel waarop het adres zich bevindt heeft een oppervlakte van 460 m². De oppervlakte van het adres is klein vergeleken met de andere objecten in de straat. De oppervlakte van het kleinste object in de straat bedraagt 22 m², terwijl het grootste object 2202 m² groot is. De gemiddelde bouwperiode van gebouwen in Nederland ligt tussen de jaren 1965-1984. Dat geldt ook voor het bouwjaar van Loevenhoutsedijk 14: het is gebouwd in het jaar 1976. Het nieuwste gebouw in de straat komt uit 2019 en het oudste uit 1904. Dit object is relatief oud. Voor het verblijfsobject gelden deze gebruiksdoelen: 'woonfunctie'.
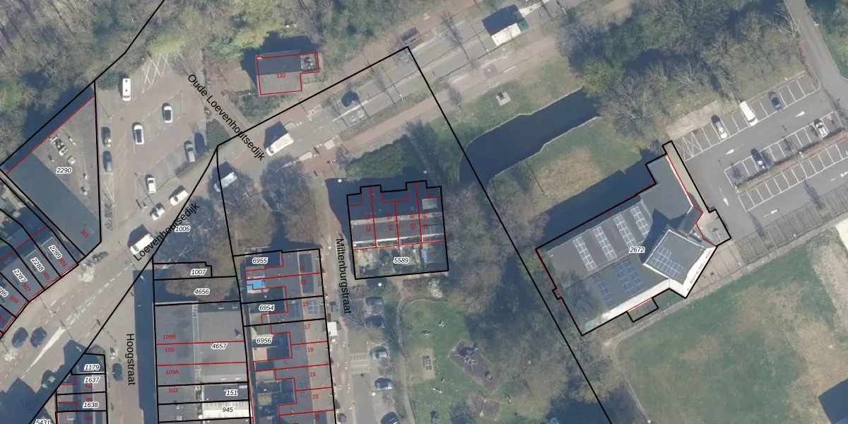
Het adres is gelegen op perceel 5589 in de sectie B en de kadastrale gemeente Lauwerecht. De kadastrale aanduiding is aldus LWR01-B-5589. Het perceel is met 460 m² relatief groot. Het gemiddelde ligt in de kadastrale gemeente Lauwerecht op 323,9 m². Het kleinste perceel in de kadastrale gemeente is 0 m² groot. De grootste perceeloppervlakte is 8,3 ha. Op het perceel liggen in totaal 8 adressen. De huidige grenzen van het perceel zijn digitaal in de Basisregistratie Kadaster (BRK) geregistreerd op 02-03-2001.
Er is geen energielabel geregistreerd voor het adres. Het hoogste energielabel in de straat is A++++; het laagste is G. Het gemiddelde energielabel is er B. Het adres Loevenhoutsedijk 14 heeft als status: 'verblijfsobject in gebruik'. Het pand waarin dit adres ligt heeft als status: 'pand in gebruik'.
Loevenhoutsedijk 14 is een adres gelegen in de gemeente Utrecht, provincie Utrecht. Dit adres is geregistreerd in de Basisregistratie Adressen en Gebouwen (BAG) met als unieke identificatie 0344010000017154.
Het pand op Loevenhoutsedijk 14 is gebouwd in 1976, wat betekent dat het 50 jaar oud is. Dit is een ouder pand. Het pand heeft mogelijk aanzienlijke renovaties nodig om aan de huidige standaarden te voldoen.
De woning op Loevenhoutsedijk 14 heeft een gebruiksoppervlakte van 54 m². Dit is relatief klein vergeleken met de gemiddelde Nederlandse woning, die een oppervlakte heeft van ongeveer 119 m². De gebruiksoppervlakte is de maat die wordt gebruikt in de BAG-registratie, de landelijke registratie van de Nederlandse overheid.
Loevenhoutsedijk 14 heeft als functie: wonen. Deze gebruiksfunctie(s) zijn vastgelegd in de BAG-registratie en geven aan waarvoor het adres officieel mag worden gebruikt.
Loevenhoutsedijk 14 is gelegen op kadastraal perceel LWR01B5589. Deze kadastrale aanduiding is uniek en wordt gebruikt door het Kadaster om eigendomsrechten en andere zakelijke rechten vast te leggen. Het perceel maakt onderdeel uit van de kadastrale gemeente Lauwerecht.
Het perceel waarop Loevenhoutsedijk 14 staat heeft een oppervlakte van 460 m². Dit is een groot perceel. De perceeloppervlakte wordt geregistreerd door het Kadaster. Gedetailleerde informatie over de maten van dit perceel kunt u vinden in het rapport Kadastrale kaart met maatvoering van Loevenhoutsedijk 14.
De eigenaar van Loevenhoutsedijk 14 is op te vragen op deze pagina.
De informatie over dit adres is afkomstig uit officiële overheidsregistraties, voornamelijk de Basisregistratie Adressen en Gebouwen (BAG) en de Basisregistratie Kadaster (BRK). Deze gegevens worden beheerd door respectievelijk gemeenten en het Kadaster, en worden regelmatig bijgewerkt. Energielabelgegevens komen uit de database van de Rijksdienst voor Ondernemend Nederland (RVO).
