
Het adres Van Vollenhovenlaan 187 bevindt zich in de plaats Utrecht, in de gemeente Utrecht en de provincie Utrecht. Het perceel waarop het verblijfsobject staat is 1084 m² groot. De oppervlakte van het adres is 112 m², wat zich rond het Nederlandse gemiddelde van 119 m² bevindt. De oppervlakte van dit adres is groot vergeleken met de oppervlaktes van andere adressen in de straat. De kleinste oppervlakte bedraagt er 10 m², de grootste 1652 m². De meeste Nederlandse gebouwen zijn gebouwd in de periode 1965-1984. Zo ook het pand waarin Van Vollenhovenlaan 187 ligt, dat gebouwd is in 1969. In de straat is dit het nieuwste pand en stamt het oudste object uit het jaar 1960. Het gemiddelde bouwjaar in de straat is 1966. Voor het verblijfsobject gelden deze gebruiksdoelen: 'woonfunctie'.
Deze woning is voor het laatst verkocht op 1 december 2001. Meer informatie over deze transactie? Bestel het Woningtransactierapport om de verkoopprijs en andere informatie te zien.
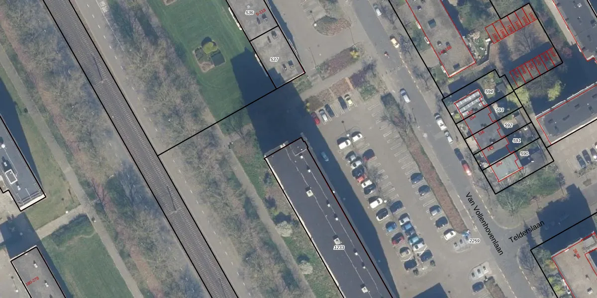
Het adres ligt op het perceel UTT00-S-1233, dat zich in de kadastrale gemeente Utrecht bevindt. De gemiddelde perceelgrootte in Utrecht is 1438,48 m². Dit perceel is kleiner: de perceeloppervlakte bedraagt 1084 m². De grootste perceeloppervlakte in de kadastrale gemeente is 90,1 ha. De kleinste oppervlakte bedraagt 0 m². Op het perceel zijn 80 adressen aanwezig. In de Basisregistratie Kadaster (BRK) werden de grenzen van het perceel geregistreerd op 21-12-2000.
Er is geen energielabel geregistreerd voor het adres. Het hoogste energielabel in de straat is A+; het laagste is G. Het gemiddelde energielabel is er B. Het adres Van Vollenhovenlaan 187 heeft als status: 'verblijfsobject in gebruik'. Het pand waarin dit adres ligt heeft als status: 'pand in gebruik'.
Van Vollenhovenlaan 187 is een adres gelegen in de gemeente Utrecht, provincie Utrecht. Dit adres is geregistreerd in de Basisregistratie Adressen en Gebouwen (BAG) met als unieke identificatie 0344010000141512.
Het pand op Van Vollenhovenlaan 187 is gebouwd in 1969, wat betekent dat het 57 jaar oud is. Dit is een ouder pand. Het pand heeft mogelijk aanzienlijke renovaties nodig om aan de huidige standaarden te voldoen.
De woning op Van Vollenhovenlaan 187 heeft een gebruiksoppervlakte van 112 m². Dit is onder het gemiddelde vergeleken met de gemiddelde Nederlandse woning, die een oppervlakte heeft van ongeveer 119 m². De gebruiksoppervlakte is de maat die wordt gebruikt in de BAG-registratie, de landelijke registratie van de Nederlandse overheid.
Van Vollenhovenlaan 187 heeft als functie: wonen. Deze gebruiksfunctie(s) zijn vastgelegd in de BAG-registratie en geven aan waarvoor het adres officieel mag worden gebruikt.
Van Vollenhovenlaan 187 is gelegen op kadastraal perceel UTT00S1233. Deze kadastrale aanduiding is uniek en wordt gebruikt door het Kadaster om eigendomsrechten en andere zakelijke rechten vast te leggen. Het perceel maakt onderdeel uit van de kadastrale gemeente Utrecht.
Het perceel waarop Van Vollenhovenlaan 187 staat heeft een oppervlakte van 1084 m². Dit is een zeer groot perceel. De perceeloppervlakte wordt geregistreerd door het Kadaster. Gedetailleerde informatie over de maten van dit perceel kunt u vinden in het rapport Kadastrale kaart met maatvoering van Van Vollenhovenlaan 187.
De eigenaar van Van Vollenhovenlaan 187 is op te vragen op deze pagina.
De informatie over dit adres is afkomstig uit officiële overheidsregistraties, voornamelijk de Basisregistratie Adressen en Gebouwen (BAG) en de Basisregistratie Kadaster (BRK). Deze gegevens worden beheerd door respectievelijk gemeenten en het Kadaster, en worden regelmatig bijgewerkt. Energielabelgegevens komen uit de database van de Rijksdienst voor Ondernemend Nederland (RVO).
