
Elspeterweg 58-054 is gelegen in de plaats Vaassen, de gemeente Epe en de provincie Gelderland. Het perceel waarop het verblijfsobject staat is 2,1 ha groot. De oppervlakte van het adres is 118 m², wat zich rond het Nederlandse gemiddelde van 119 m² bevindt. Het object is klein ten opzichte van de andere adressen in de straat. Het grootste verblijfsobject is 1844 m² groot en het kleinste is 5 m². Het gebouw waarin Elspeterweg 58-054 ligt komt uit het jaar null. Objecten die gebouwd zijn vóór 1965 classificeren we hier als oud. Dit is het oudste object in de straat. Het nieuwste pand komt uit 2025 en het gemiddelde bouwjaar in de straat is 1975. Het verblijfsobject heeft de volgende gebruiksdoelen: 'standplaats'.
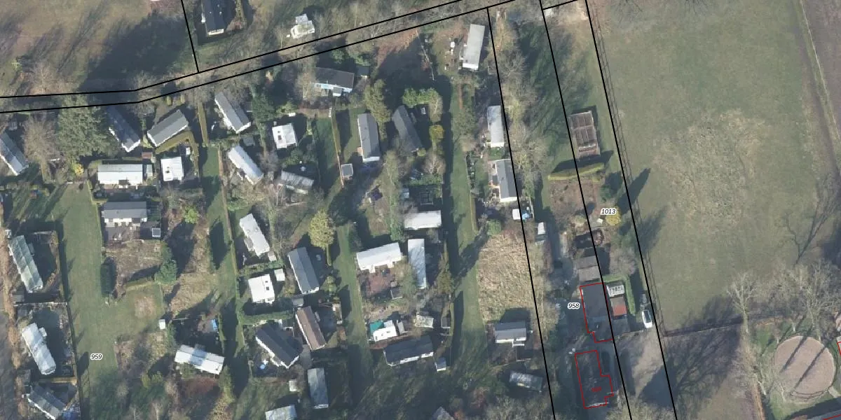
Het perceel waarop het adres ligt is VSN02-F-959. De afkorting 'VSN02' staat voor kadastrale gemeente Vaassen. De gemiddelde perceeloppervlakte in de kadastrale gemeente Vaassen is 5555,21 m². Dit perceel is met zijn 2,1 ha dus groter dan gemiddeld. Het kleinste perceel in de kadastrale gemeente is 0 m² groot. De grootste perceeloppervlakte is 1,98 km². Op het perceel zijn 85 adressen aanwezig. De laatste wijziging in het de Basisregistratie Kadaster (BRK) was op 11-03-2002.
Er is geen energielabel geregistreerd voor het adres. Het hoogste energielabel in de straat is A; het laagste is G. Het gemiddelde energielabel is er C. Het adres Elspeterweg 58-054 heeft als status: 'plaats aangewezen'. Het pand waarin dit adres ligt heeft als status: 'undefined'.
Elspeterweg 58-054 is een adres gelegen in de gemeente Epe, provincie Gelderland. Dit adres is geregistreerd in de Basisregistratie Adressen en Gebouwen (BAG) met als unieke identificatie 0232030000019670.
De woning op Elspeterweg 58-054 heeft een gebruiksoppervlakte van 118 m². Dit is onder het gemiddelde vergeleken met de gemiddelde Nederlandse woning, die een oppervlakte heeft van ongeveer 119 m². De gebruiksoppervlakte is de maat die wordt gebruikt in de BAG-registratie, de landelijke registratie van de Nederlandse overheid.
Elspeterweg 58-054 heeft als functie: standplaats. Deze gebruiksfunctie(s) zijn vastgelegd in de BAG-registratie en geven aan waarvoor het adres officieel mag worden gebruikt.
Elspeterweg 58-054 is gelegen op kadastraal perceel VSN02F959. Deze kadastrale aanduiding is uniek en wordt gebruikt door het Kadaster om eigendomsrechten en andere zakelijke rechten vast te leggen. Het perceel maakt onderdeel uit van de kadastrale gemeente Vaassen.
Het perceel waarop Elspeterweg 58-054 staat heeft een oppervlakte van 2,1 ha. Dit is een zeer groot perceel. De perceeloppervlakte wordt geregistreerd door het Kadaster. Gedetailleerde informatie over de maten van dit perceel kunt u vinden in het rapport Kadastrale kaart met maatvoering van Elspeterweg 58-054.
De eigenaar van Elspeterweg 58-054 is op te vragen op deze pagina.
De informatie over dit adres is afkomstig uit officiële overheidsregistraties, voornamelijk de Basisregistratie Adressen en Gebouwen (BAG) en de Basisregistratie Kadaster (BRK). Deze gegevens worden beheerd door respectievelijk gemeenten en het Kadaster, en worden regelmatig bijgewerkt. Energielabelgegevens komen uit de database van de Rijksdienst voor Ondernemend Nederland (RVO).
