
Het adres Emsterweg 92 bevindt zich in de plaats Vaassen, in de gemeente Vaassen en de provincie Gelderland. Het object heeft een oppervlakte van 252 m², wat relatief groot is. Het perceel waarop het adres ligt is 1330 m² groot. In vergelijking met de andere adressen in de straat is de oppervlakte van dit object relatief groot. Het grootste verblijfsobject heeft een oppervlakte van 1042 m², de oppervlakte van het kleinste object bedraagt 4 m². Het adres Emsterweg 92 ligt in een relatief oud pand uit het jaar 1935. Panden van vóór het jaar 1965 hebben we hier geclassificeerd als oud. Het bouwjaar is oud vergeleken met dat van de andere panden in de straat. Het oudste bouwjaar is er 1911 en de nieuwste is 2012. Het verblijfsobject heeft de volgende gebruiksdoelen: 'woonfunctie' en 'kantoorfunctie'.
Deze woning is voor het laatst verkocht op 1 juli 2022. Meer informatie over deze transactie? Bestel het Woningtransactierapport om de verkoopprijs en andere informatie te zien.
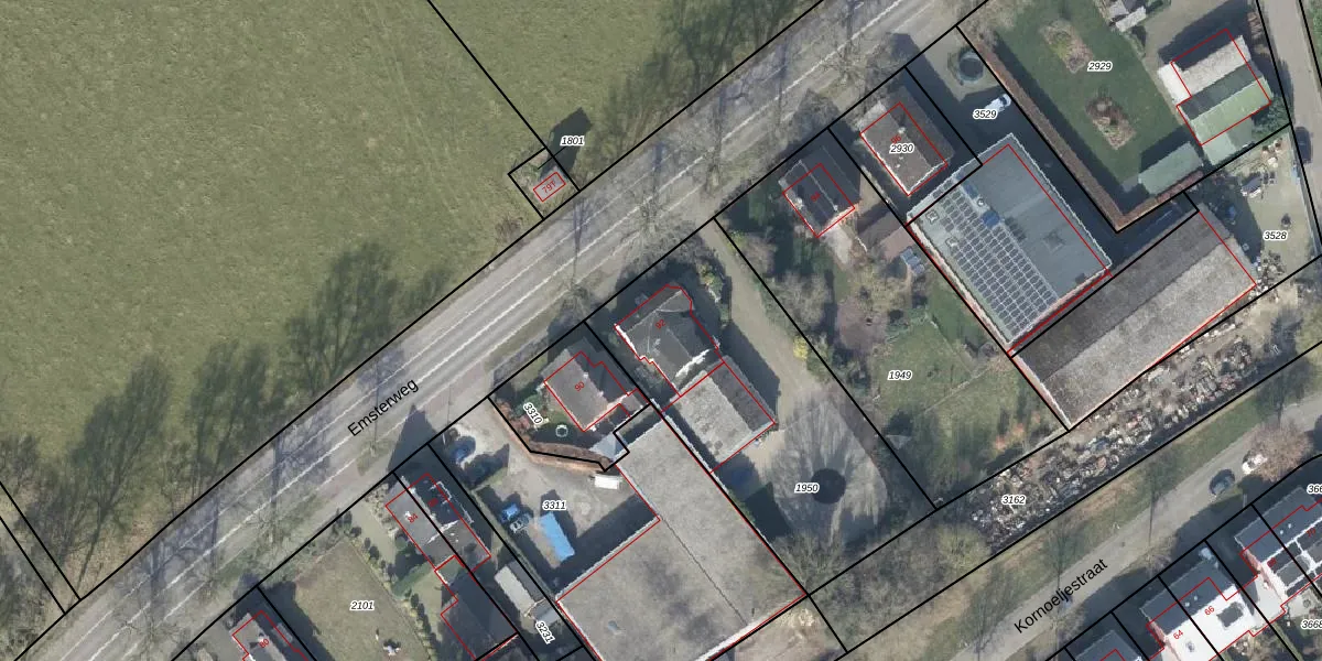
Het perceel waarop het adres ligt is VSN02-H-1950. De afkorting 'VSN02' staat voor kadastrale gemeente Vaassen. Het perceel is kleiner dan gemiddeld in Vaassen. Het perceel is 1330 m² groot, terwijl het gemiddelde ligt op 5564,22 m². De grootste perceeloppervlakte in de kadastrale gemeente is 1,98 km². De kleinste oppervlakte bedraagt 0 m². Dit is het enige adres dat aanwezig is op het perceel. In de Basisregistratie Kadaster (BRK) werden de grenzen van het perceel geregistreerd op 16-12-2008.
Het adres ligt in een gebouw van het type 'vrijstaande woning'. Bij de laatste meting is voor het adres het energielabel E geregistreerd. Het hoogste energielabel in de straat is A; het laagste is G. Het gemiddelde energielabel is er E. Het adres Emsterweg 92 heeft als status: 'verblijfsobject in gebruik'. Het pand waarin dit adres ligt heeft als status: 'pand in gebruik'.
Emsterweg 92 is een adres gelegen in de gemeente Epe, provincie Gelderland. Dit adres is geregistreerd in de Basisregistratie Adressen en Gebouwen (BAG) met als unieke identificatie 0232010000010282.
Het pand op Emsterweg 92 is gebouwd in 1935, wat betekent dat het 91 jaar oud is. Dit is een ouder pand. Het pand heeft mogelijk aanzienlijke renovaties nodig om aan de huidige standaarden te voldoen.
De woning op Emsterweg 92 heeft een gebruiksoppervlakte van 252 m². Dit is ruim vergeleken met de gemiddelde Nederlandse woning, die een oppervlakte heeft van ongeveer 119 m². De gebruiksoppervlakte is de maat die wordt gebruikt in de BAG-registratie, de landelijke registratie van de Nederlandse overheid.
Emsterweg 92 heeft als functie: wonen en kantoor. Deze gebruiksfunctie(s) zijn vastgelegd in de BAG-registratie en geven aan waarvoor het adres officieel mag worden gebruikt.
Emsterweg 92 is gelegen op kadastraal perceel VSN02H1950. Deze kadastrale aanduiding is uniek en wordt gebruikt door het Kadaster om eigendomsrechten en andere zakelijke rechten vast te leggen. Het perceel maakt onderdeel uit van de kadastrale gemeente Vaassen.
Het perceel waarop Emsterweg 92 staat heeft een oppervlakte van 1330 m². Dit is een zeer groot perceel. De perceeloppervlakte wordt geregistreerd door het Kadaster. Gedetailleerde informatie over de maten van dit perceel kunt u vinden in het rapport Kadastrale kaart met maatvoering van Emsterweg 92.
De eigenaar van Emsterweg 92 is op te vragen op deze pagina.
De informatie over dit adres is afkomstig uit officiële overheidsregistraties, voornamelijk de Basisregistratie Adressen en Gebouwen (BAG) en de Basisregistratie Kadaster (BRK). Deze gegevens worden beheerd door respectievelijk gemeenten en het Kadaster, en worden regelmatig bijgewerkt. Energielabelgegevens komen uit de database van de Rijksdienst voor Ondernemend Nederland (RVO).
