
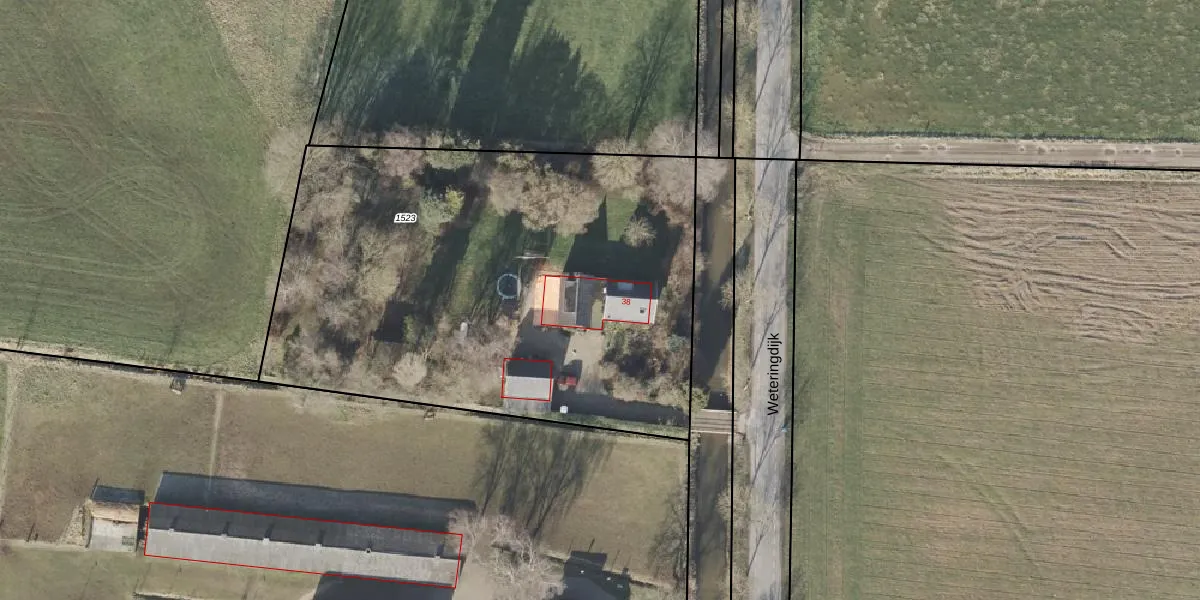
Weteringdijk 38 is gelegen in de plaats Vaassen, de gemeente Epe en de provincie Gelderland. De oppervlakte bedraagt 182 m², waarmee het adres groter dan gemiddeld is. De grootte van het perceel waarop het adres ligt is 3035 m². Het object is klein ten opzichte van de andere adressen in de straat. Het grootste verblijfsobject is 343 m² groot en het kleinste is 1 m². Het gebouw waarin Weteringdijk 38 ligt komt uit het jaar 1960. Objecten die gebouwd zijn vóór 1965 classificeren we hier als oud. Veel andere gebouwen in de straat zijn ouder dan dit pand. Het oudste pand komt uit het jaar 1850 en het nieuwste uit 2025. Het verblijfsobject heeft de volgende gebruiksdoelen: 'woonfunctie'.
Deze woning is voor het laatst verkocht op 1 november 2005. Meer informatie over deze transactie? Bestel het Woningtransactierapport om de verkoopprijs en andere informatie te zien.
Het perceel waarop het adres ligt is VSN02-B-1523. De afkorting 'VSN02' staat voor kadastrale gemeente Vaassen. Het perceel is kleiner dan gemiddeld in Vaassen. Het perceel is 3035 m² groot, terwijl het gemiddelde ligt op 5564,22 m². Het kleinste perceel in de kadastrale gemeente is 0 m² groot. De grootste perceeloppervlakte is 1,98 km². Er zijn geen andere adressen aanwezig op het perceel. De laatste wijziging in het de Basisregistratie Kadaster (BRK) was op 12-12-2006.
Er is geen energielabel geregistreerd voor het adres. Het hoogste energielabel in de straat is C; het laagste is G. Het gemiddelde energielabel is er E. Het adres Weteringdijk 38 heeft als status: 'verblijfsobject in gebruik'. Het pand waarin dit adres ligt heeft als status: 'pand in gebruik'.
Weteringdijk 38 is een adres gelegen in de gemeente Epe, provincie Gelderland. Dit adres is geregistreerd in de Basisregistratie Adressen en Gebouwen (BAG) met als unieke identificatie 0232010000010775.
Het pand op Weteringdijk 38 is gebouwd in 1960, wat betekent dat het 66 jaar oud is. Dit is een ouder pand. Het pand heeft mogelijk aanzienlijke renovaties nodig om aan de huidige standaarden te voldoen.
De woning op Weteringdijk 38 heeft een gebruiksoppervlakte van 182 m². Dit is ruim vergeleken met de gemiddelde Nederlandse woning, die een oppervlakte heeft van ongeveer 119 m². De gebruiksoppervlakte is de maat die wordt gebruikt in de BAG-registratie, de landelijke registratie van de Nederlandse overheid.
Weteringdijk 38 heeft als functie: wonen. Deze gebruiksfunctie(s) zijn vastgelegd in de BAG-registratie en geven aan waarvoor het adres officieel mag worden gebruikt.
Weteringdijk 38 is gelegen op kadastraal perceel VSN02B1523. Deze kadastrale aanduiding is uniek en wordt gebruikt door het Kadaster om eigendomsrechten en andere zakelijke rechten vast te leggen. Het perceel maakt onderdeel uit van de kadastrale gemeente Vaassen.
Het perceel waarop Weteringdijk 38 staat heeft een oppervlakte van 3035 m². Dit is een zeer groot perceel. De perceeloppervlakte wordt geregistreerd door het Kadaster. Gedetailleerde informatie over de maten van dit perceel kunt u vinden in het rapport Kadastrale kaart met maatvoering van Weteringdijk 38.
De eigenaar van Weteringdijk 38 is op te vragen op deze pagina.
De informatie over dit adres is afkomstig uit officiële overheidsregistraties, voornamelijk de Basisregistratie Adressen en Gebouwen (BAG) en de Basisregistratie Kadaster (BRK). Deze gegevens worden beheerd door respectievelijk gemeenten en het Kadaster, en worden regelmatig bijgewerkt. Energielabelgegevens komen uit de database van de Rijksdienst voor Ondernemend Nederland (RVO).
