
Het Mortelke 9-BS01 is gelegen in de plaats Valkenswaard, de gemeente Valkenswaard en de provincie Noord-Brabant. De oppervlakte van het adres is 119 m². Dat is vergelijkbaar met het gemiddelde Nederlandse oppervlakte van 119 m². De oppervlakte van het perceel waarin het adres ligt is 1640 m². Het object is klein ten opzichte van de andere adressen in de straat. Het grootste verblijfsobject is 328 m² groot en het kleinste is 40 m². Het pand waarin Het Mortelke 9-BS01 ligt is gebouwd in het jaar 2003. Panden die gebouwd zijn na het jaar 1984 noemen we hier relatief nieuw. Dit pand is het meest recent exemplaar in de straat. Het oudste object komt er uit 1972 en het gemiddelde bouwjaar is 1983. De volgende gebruiksdoelen zijn geregistreerd voor dit adres: 'overige gebruiksfunctie'.
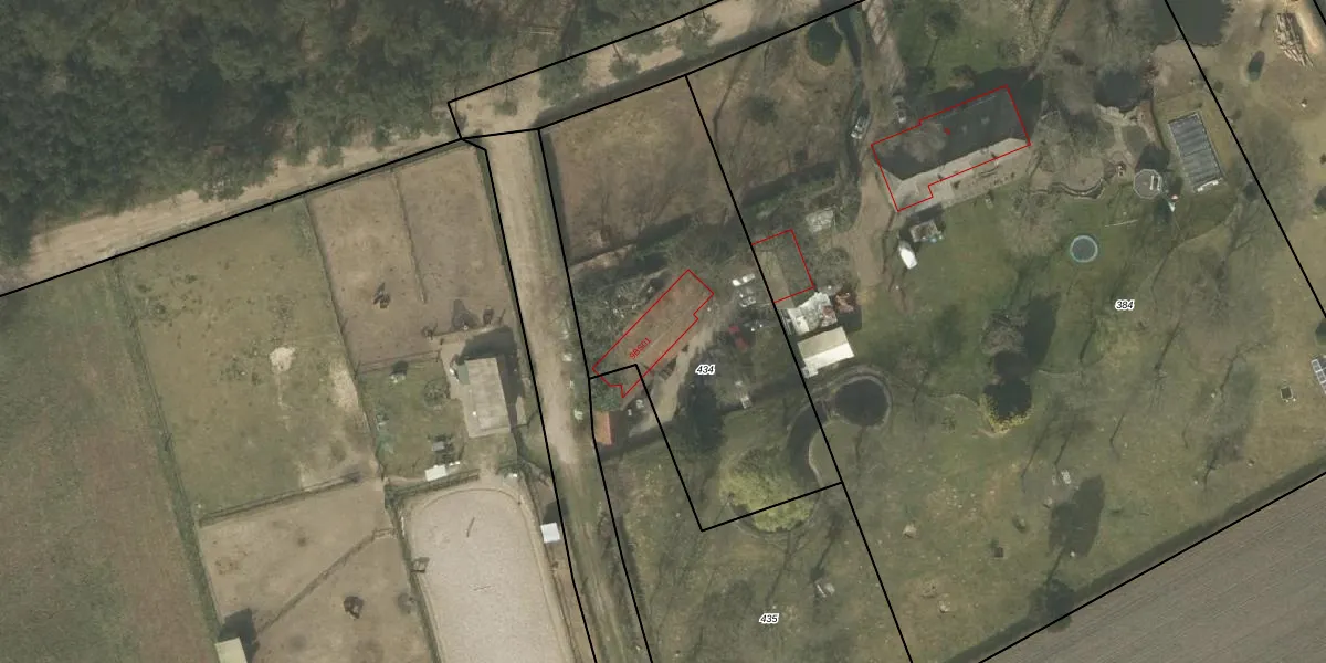
Het perceel waarop het adres ligt is BKL06-F-434. De afkorting 'BKL06' staat voor kadastrale gemeente Borkel en Schaft. Het perceel is 1640 m² groot. Dat is kleiner dan de gemiddelde perceeloppervlakte in Borkel en Schaft, dat op 1,5 ha ligt. Het kleinste perceel in de kadastrale gemeente is 3 m² groot. De grootste perceeloppervlakte is 77,7 ha. Op het perceel bevinden zich geen andere adressen. De laatste wijziging in het de Basisregistratie Kadaster (BRK) was op 18-02-2005.
Er is geen energielabel geregistreerd voor het adres. Het hoogste energielabel in de straat is G; het laagste is G. Het gemiddelde energielabel is er G. Het adres Het Mortelke 9-BS01 heeft als status: 'verblijfsobject in gebruik'. Het pand waarin dit adres ligt heeft als status: 'pand in gebruik'.
Het Mortelke 9-BS01 is een adres gelegen in de gemeente Valkenswaard, provincie Noord-Brabant. Dit adres is geregistreerd in de Basisregistratie Adressen en Gebouwen (BAG) met als unieke identificatie 0858010000018199.
Het pand op Het Mortelke 9-BS01 is gebouwd in 2003, wat betekent dat het 23 jaar oud is. Dit is een relatief modern pand. Ten opzichte van de nationale woningvoorraad is het pand relatief modern, maar er kunnen enkele verouderde elementen zijn die aandacht nodig hebben.
De woning op Het Mortelke 9-BS01 heeft een gebruiksoppervlakte van 119 m². Dit is gemiddeld vergeleken met de gemiddelde Nederlandse woning, die een oppervlakte heeft van ongeveer 119 m². De gebruiksoppervlakte is de maat die wordt gebruikt in de BAG-registratie, de landelijke registratie van de Nederlandse overheid.
Het Mortelke 9-BS01 heeft als functie: overige doeleinden. Deze gebruiksfunctie(s) zijn vastgelegd in de BAG-registratie en geven aan waarvoor het adres officieel mag worden gebruikt.
Het Mortelke 9-BS01 is gelegen op kadastraal perceel BKL06F434. Deze kadastrale aanduiding is uniek en wordt gebruikt door het Kadaster om eigendomsrechten en andere zakelijke rechten vast te leggen. Het perceel maakt onderdeel uit van de kadastrale gemeente Borkel en Schaft.
Het perceel waarop Het Mortelke 9-BS01 staat heeft een oppervlakte van 1640 m². Dit is een zeer groot perceel. De perceeloppervlakte wordt geregistreerd door het Kadaster. Gedetailleerde informatie over de maten van dit perceel kunt u vinden in het rapport Kadastrale kaart met maatvoering van Het Mortelke 9-BS01.
De eigenaar van Het Mortelke 9-BS01 is op te vragen op deze pagina.
De informatie over dit adres is afkomstig uit officiële overheidsregistraties, voornamelijk de Basisregistratie Adressen en Gebouwen (BAG) en de Basisregistratie Kadaster (BRK). Deze gegevens worden beheerd door respectievelijk gemeenten en het Kadaster, en worden regelmatig bijgewerkt. Energielabelgegevens komen uit de database van de Rijksdienst voor Ondernemend Nederland (RVO).
