
Beneden Verlaat 18 is gelegen in de plaats Veendam, de gemeente Veendam en de provincie Groningen. De oppervlakte bedraagt 229 m², waarmee het adres groter dan gemiddeld is. De grootte van het perceel waarop het adres ligt is 970 m². Het object is klein ten opzichte van de andere adressen in de straat. Het grootste verblijfsobject is 1,3 ha groot en het kleinste is 9 m². Beneden Verlaat 18 bevindt zich in een pand uit het jaar 1900. Daarmee behoort het tot de groep relatief oude panden in Nederland die gebouwd zijn vóór 1965. In de straat komt het nieuwste gebouw uit het jaar 2024 en het oudste uit 1799. Het bouwjaar van dit object is relatief oud. Het verblijfsobject heeft de volgende gebruiksdoelen: 'woonfunctie'.
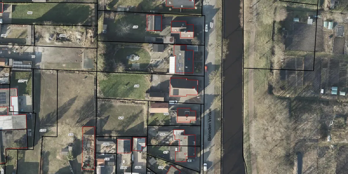
Het perceel waarop het adres ligt is VDM00-O-128. De afkorting 'VDM00' staat voor kadastrale gemeente Veendam. Het perceel is kleiner dan gemiddeld in Veendam. Het perceel is 970 m² groot, terwijl het gemiddelde ligt op 4948,38 m². Het grootste perceel in de kadastrale gemeente is 1,64 km². Het kleinste perceel heeft een oppervlakte van 0 m². Er zijn geen andere adressen aanwezig op het perceel. De laatste wijziging in het de Basisregistratie Kadaster (BRK) was op 01-12-1999.
Er is geen energielabel geregistreerd voor het adres. Het hoogste energielabel in de straat is A; het laagste is G. Het gemiddelde energielabel is er E. Het adres Beneden Verlaat 18 heeft als status: 'verblijfsobject in gebruik'. Het pand waarin dit adres ligt heeft als status: 'pand in gebruik'.
Beneden Verlaat 18 is een adres gelegen in de gemeente Veendam, provincie Groningen. Dit adres is geregistreerd in de Basisregistratie Adressen en Gebouwen (BAG) met als unieke identificatie 0047010000285446.
Het pand op Beneden Verlaat 18 is gebouwd in 1900, wat betekent dat het 126 jaar oud is. Dit is een ouder pand. Het pand heeft mogelijk aanzienlijke renovaties nodig om aan de huidige standaarden te voldoen.
De woning op Beneden Verlaat 18 heeft een gebruiksoppervlakte van 229 m². Dit is ruim vergeleken met de gemiddelde Nederlandse woning, die een oppervlakte heeft van ongeveer 119 m². De gebruiksoppervlakte is de maat die wordt gebruikt in de BAG-registratie, de landelijke registratie van de Nederlandse overheid.
Beneden Verlaat 18 heeft als functie: wonen. Deze gebruiksfunctie(s) zijn vastgelegd in de BAG-registratie en geven aan waarvoor het adres officieel mag worden gebruikt.
Beneden Verlaat 18 is gelegen op kadastraal perceel VDM00O128. Deze kadastrale aanduiding is uniek en wordt gebruikt door het Kadaster om eigendomsrechten en andere zakelijke rechten vast te leggen. Het perceel maakt onderdeel uit van de kadastrale gemeente Veendam.
Het perceel waarop Beneden Verlaat 18 staat heeft een oppervlakte van 970 m². Dit is een groot perceel. De perceeloppervlakte wordt geregistreerd door het Kadaster. Gedetailleerde informatie over de maten van dit perceel kunt u vinden in het rapport Kadastrale kaart met maatvoering van Beneden Verlaat 18.
De eigenaar van Beneden Verlaat 18 is op te vragen op deze pagina.
De informatie over dit adres is afkomstig uit officiële overheidsregistraties, voornamelijk de Basisregistratie Adressen en Gebouwen (BAG) en de Basisregistratie Kadaster (BRK). Deze gegevens worden beheerd door respectievelijk gemeenten en het Kadaster, en worden regelmatig bijgewerkt. Energielabelgegevens komen uit de database van de Rijksdienst voor Ondernemend Nederland (RVO).
