
Ommelanderwijk 209 is gelegen in de plaats Veendam, de gemeente Veendam en de provincie Groningen. De oppervlakte van het verblijfsobject is met 192 m² aan de grote kant. Het perceel heeft een oppervlakte van 495 m². Het object is klein ten opzichte van de andere adressen in de straat. Het grootste verblijfsobject is 6400 m² groot en het kleinste is 13 m². Ommelanderwijk 209 bevindt zich in een pand uit het jaar 1876. Daarmee behoort het tot de groep relatief oude panden in Nederland die gebouwd zijn vóór 1965. Het nieuwste gebouw in de straat komt uit 2025 en het oudste uit 1850. Dit object is relatief oud. Het verblijfsobject heeft de volgende gebruiksdoelen: 'woonfunctie'.
Deze woning is voor het laatst verkocht op 1 februari 2025. Meer informatie over deze transactie? Bestel het Woningtransactierapport om de verkoopprijs en andere informatie te zien.
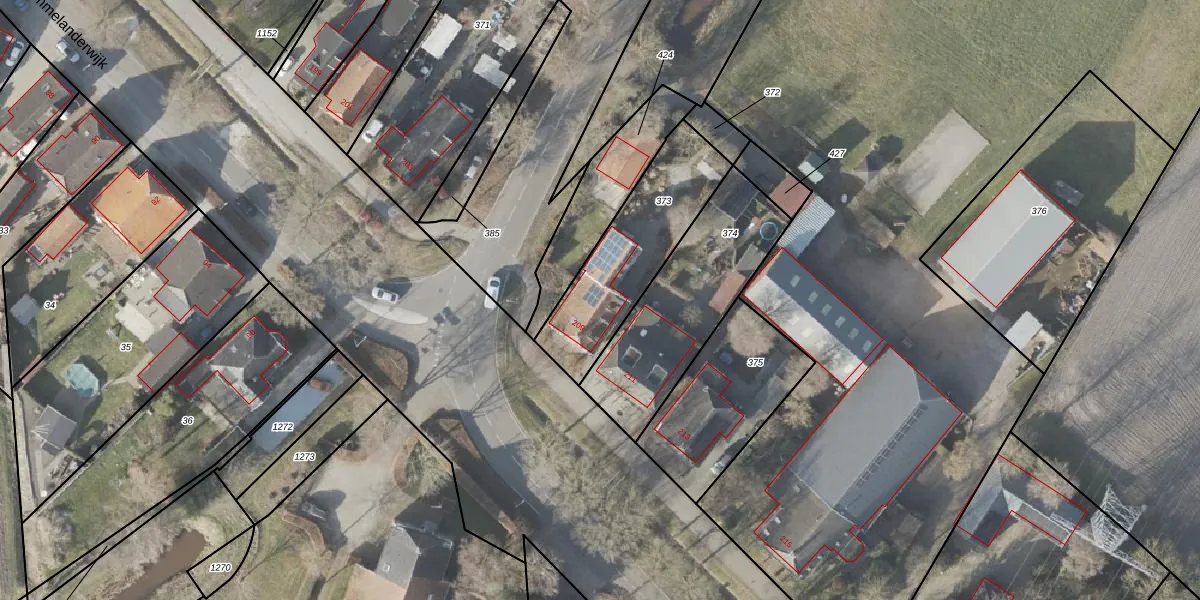
Het perceel waarop het adres ligt is VDM00-P-373. De afkorting 'VDM00' staat voor kadastrale gemeente Veendam. Het perceel is kleiner dan gemiddeld in Veendam. Het perceel is 495 m² groot, terwijl het gemiddelde ligt op 4948,86 m². Het grootste perceel in de kadastrale gemeente is 1,64 km². Het kleinste perceel heeft een oppervlakte van 0 m². Op het perceel bevinden zich geen andere adressen. De laatste wijziging in het de Basisregistratie Kadaster (BRK) was op 08-06-2012.
Het adres ligt in een gebouw van het type 'vrijstaande woning'. Bij de laatste meting is voor het adres het energielabel B geregistreerd. Het hoogste energielabel in de straat is A++++; het laagste is G. Het gemiddelde energielabel is er D. Het adres Ommelanderwijk 209 heeft als status: 'verblijfsobject in gebruik'. Het pand waarin dit adres ligt heeft als status: 'pand in gebruik'.
Ommelanderwijk 209 is een adres gelegen in de gemeente Veendam, provincie Groningen. Dit adres is geregistreerd in de Basisregistratie Adressen en Gebouwen (BAG) met als unieke identificatie 0047010000282482.
Het pand op Ommelanderwijk 209 is gebouwd in 1876, wat betekent dat het 150 jaar oud is. Dit is een ouder pand. Het pand heeft mogelijk aanzienlijke renovaties nodig om aan de huidige standaarden te voldoen.
De woning op Ommelanderwijk 209 heeft een gebruiksoppervlakte van 192 m². Dit is ruim vergeleken met de gemiddelde Nederlandse woning, die een oppervlakte heeft van ongeveer 119 m². De gebruiksoppervlakte is de maat die wordt gebruikt in de BAG-registratie, de landelijke registratie van de Nederlandse overheid.
Ommelanderwijk 209 heeft als functie: wonen. Deze gebruiksfunctie(s) zijn vastgelegd in de BAG-registratie en geven aan waarvoor het adres officieel mag worden gebruikt.
Ommelanderwijk 209 is gelegen op kadastraal perceel VDM00P373. Deze kadastrale aanduiding is uniek en wordt gebruikt door het Kadaster om eigendomsrechten en andere zakelijke rechten vast te leggen. Het perceel maakt onderdeel uit van de kadastrale gemeente Veendam.
Het perceel waarop Ommelanderwijk 209 staat heeft een oppervlakte van 495 m². Dit is een groot perceel. De perceeloppervlakte wordt geregistreerd door het Kadaster. Gedetailleerde informatie over de maten van dit perceel kunt u vinden in het rapport Kadastrale kaart met maatvoering van Ommelanderwijk 209.
De eigenaar van Ommelanderwijk 209 is op te vragen op deze pagina.
De informatie over dit adres is afkomstig uit officiële overheidsregistraties, voornamelijk de Basisregistratie Adressen en Gebouwen (BAG) en de Basisregistratie Kadaster (BRK). Deze gegevens worden beheerd door respectievelijk gemeenten en het Kadaster, en worden regelmatig bijgewerkt. Energielabelgegevens komen uit de database van de Rijksdienst voor Ondernemend Nederland (RVO).
