
Oostlaan 271 is gelegen in de plaats Veendam, de gemeente Veendam en de provincie Groningen. Het verblijfsobject is vergeleken met het Nederlandse gemiddelde aan de kleine kant: de oppervlakte is 54 m². Het perceel waarop het adres zich bevindt heeft een oppervlakte van 1552 m². De oppervlakte van het adres is klein vergeleken met de andere objecten in de straat. De oppervlakte van het kleinste object in de straat bedraagt 14 m², terwijl het grootste object 210 m² groot is. In Nederland komt het grootste deel van de gebouwen uit de periode 1965-1984. Ook het bouwjaar van Oostlaan 271 is afkomstig uit die periode: het betreft namelijk een pand uit 1972. Het nieuwste gebouw in de straat komt uit 2024 en het oudste uit 1965. Dit object is relatief oud. Voor het verblijfsobject gelden deze gebruiksdoelen: 'woonfunctie'.
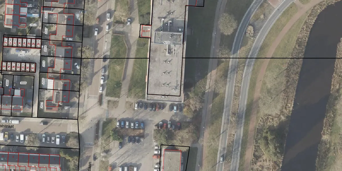
Het adres is gelegen op perceel 4270 in de sectie C en de kadastrale gemeente Veendam. De kadastrale aanduiding is aldus VDM00-C-4270. De gemiddelde perceelgrootte in Veendam is 4969,46 m². Dit perceel is kleiner: de perceeloppervlakte bedraagt 1552 m². Het grootste perceel in de kadastrale gemeente is 1,64 km². Het kleinste perceel heeft een oppervlakte van 0 m². Op het perceel liggen in totaal 109 adressen. De laatste wijziging in het de Basisregistratie Kadaster (BRK) was op 08-10-2015.
Het adres ligt in een gebouw van het type 'flatwoning (overig) met het subtype tussendak'. Bij de laatste meting is voor het adres het energielabel D geregistreerd. Het hoogste energielabel in de straat is A+; het laagste is G. Het gemiddelde energielabel is er D. Het adres Oostlaan 271 heeft als status: 'verblijfsobject in gebruik'. Het pand waarin dit adres ligt heeft als status: 'pand in gebruik'.
Oostlaan 271 is een adres gelegen in de gemeente Veendam, provincie Groningen. Dit adres is geregistreerd in de Basisregistratie Adressen en Gebouwen (BAG) met als unieke identificatie 0047010000295152.
Het pand op Oostlaan 271 is gebouwd in 1972, wat betekent dat het 54 jaar oud is. Dit is een ouder pand. Het pand heeft mogelijk aanzienlijke renovaties nodig om aan de huidige standaarden te voldoen.
De woning op Oostlaan 271 heeft een gebruiksoppervlakte van 54 m². Dit is relatief klein vergeleken met de gemiddelde Nederlandse woning, die een oppervlakte heeft van ongeveer 119 m². De gebruiksoppervlakte is de maat die wordt gebruikt in de BAG-registratie, de landelijke registratie van de Nederlandse overheid.
Oostlaan 271 heeft als functie: wonen. Deze gebruiksfunctie(s) zijn vastgelegd in de BAG-registratie en geven aan waarvoor het adres officieel mag worden gebruikt.
Oostlaan 271 is gelegen op kadastraal perceel VDM00C4270. Deze kadastrale aanduiding is uniek en wordt gebruikt door het Kadaster om eigendomsrechten en andere zakelijke rechten vast te leggen. Het perceel maakt onderdeel uit van de kadastrale gemeente Veendam.
Het perceel waarop Oostlaan 271 staat heeft een oppervlakte van 1552 m². Dit is een zeer groot perceel. De perceeloppervlakte wordt geregistreerd door het Kadaster. Gedetailleerde informatie over de maten van dit perceel kunt u vinden in het rapport Kadastrale kaart met maatvoering van Oostlaan 271.
De eigenaar van Oostlaan 271 is op te vragen op deze pagina.
De informatie over dit adres is afkomstig uit officiële overheidsregistraties, voornamelijk de Basisregistratie Adressen en Gebouwen (BAG) en de Basisregistratie Kadaster (BRK). Deze gegevens worden beheerd door respectievelijk gemeenten en het Kadaster, en worden regelmatig bijgewerkt. Energielabelgegevens komen uit de database van de Rijksdienst voor Ondernemend Nederland (RVO).
