
Lijsterbesbeek 2 is een adres in Veldhoven, dat zich bevindt binnen de gemeentegrenzen van Veldhoven en de grenzen van de provincie Noord-Brabant. Het object heeft een oppervlakte van 153 m², wat relatief groot is. Het perceel waarop het adres ligt is 317 m² groot. Vergeleken met de andere verblijfsobjecten in de straat is dit object groot. De oppervlakte van het grootste object in de straat is 180 m², die van het kleinste bedraagt 126 m². De meeste Nederlandse gebouwen zijn gebouwd in de periode 1965-1984. Zo ook het pand waarin Lijsterbesbeek 2 ligt, dat gebouwd is in 1977. Het gemiddelde bouwjaar in de straat is 1977 en dat van het oudste pand is 1977. Dit is het nieuwste object in de straat. De volgende gebruiksdoelen zijn geregistreerd voor dit adres: 'woonfunctie'.
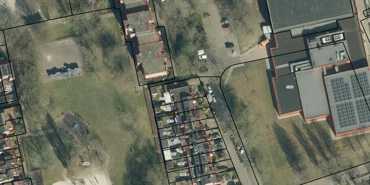
Het adres is gelegen op perceel 2977 in de sectie D en de kadastrale gemeente Veldhoven. De kadastrale aanduiding is aldus VHV01-D-2977. Het perceel is 317 m² groot. Dat is kleiner dan de gemiddelde perceeloppervlakte in Veldhoven, dat op 1485,05 m² ligt. De grootste perceeloppervlakte in de kadastrale gemeente is 78,9 ha. De kleinste oppervlakte bedraagt 0 m². Dit is het enige adres dat aanwezig is op het perceel. De huidige grenzen van het perceel zijn digitaal in de Basisregistratie Kadaster (BRK) geregistreerd op 28-01-2009.
Er is geen energielabel geregistreerd voor het adres. Het hoogste energielabel in de straat is A; het laagste is G. Het gemiddelde energielabel is er B. Het adres Lijsterbesbeek 2 heeft als status: 'verblijfsobject in gebruik'. Het pand waarin dit adres ligt heeft als status: 'pand in gebruik'.
Lijsterbesbeek 2 is een adres gelegen in de gemeente Veldhoven, provincie Noord-Brabant. Dit adres is geregistreerd in de Basisregistratie Adressen en Gebouwen (BAG) met als unieke identificatie 0861010000418912.
Het pand op Lijsterbesbeek 2 is gebouwd in 1977, wat betekent dat het 49 jaar oud is. Dit is een pand van middelbare leeftijd. Het pand is van gemiddelde leeftijd en zal waarschijnlijk verouderde elementen bevatten.
De woning op Lijsterbesbeek 2 heeft een gebruiksoppervlakte van 153 m². Dit is ruim vergeleken met de gemiddelde Nederlandse woning, die een oppervlakte heeft van ongeveer 119 m². De gebruiksoppervlakte is de maat die wordt gebruikt in de BAG-registratie, de landelijke registratie van de Nederlandse overheid.
Lijsterbesbeek 2 heeft als functie: wonen. Deze gebruiksfunctie(s) zijn vastgelegd in de BAG-registratie en geven aan waarvoor het adres officieel mag worden gebruikt.
Lijsterbesbeek 2 is gelegen op kadastraal perceel VHV01D2977. Deze kadastrale aanduiding is uniek en wordt gebruikt door het Kadaster om eigendomsrechten en andere zakelijke rechten vast te leggen. Het perceel maakt onderdeel uit van de kadastrale gemeente Veldhoven.
Het perceel waarop Lijsterbesbeek 2 staat heeft een oppervlakte van 317 m². Dit is een groot perceel. De perceeloppervlakte wordt geregistreerd door het Kadaster. Gedetailleerde informatie over de maten van dit perceel kunt u vinden in het rapport Kadastrale kaart met maatvoering van Lijsterbesbeek 2.
De eigenaar van Lijsterbesbeek 2 is op te vragen op deze pagina.
De informatie over dit adres is afkomstig uit officiële overheidsregistraties, voornamelijk de Basisregistratie Adressen en Gebouwen (BAG) en de Basisregistratie Kadaster (BRK). Deze gegevens worden beheerd door respectievelijk gemeenten en het Kadaster, en worden regelmatig bijgewerkt. Energielabelgegevens komen uit de database van de Rijksdienst voor Ondernemend Nederland (RVO).
