
Het adres Heemskerklaan 62 bevindt zich in de plaats Velp, in de gemeente Velp en de provincie Gelderland. De oppervlakte van het verblijfsobject is met 198 m² aan de grote kant. Het perceel heeft een oppervlakte van 660 m². In vergelijking met de andere adressen in de straat is de oppervlakte van dit object relatief groot. Het grootste verblijfsobject heeft een oppervlakte van 437 m², de oppervlakte van het kleinste object bedraagt 45 m². In Nederland komt het grootste deel van de gebouwen uit de periode 1965-1984. Ook het bouwjaar van Heemskerklaan 62 is afkomstig uit die periode: het betreft namelijk een pand uit 1967. Dit object is relatief nieuw in de straat. Het nieuwste gebouw komt er uit het jaar 1975 en het oudste uit het jaar 1923. De volgende gebruiksdoelen zijn geregistreerd voor dit adres: 'woonfunctie'.
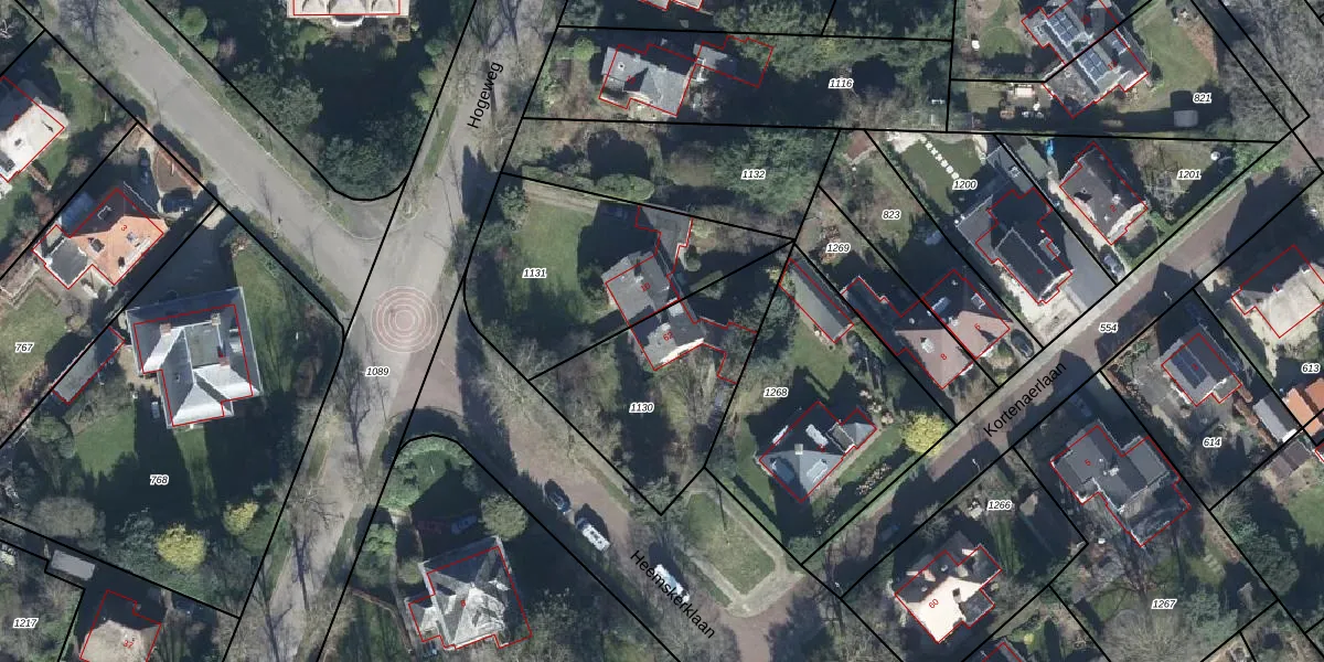
Het perceel waarop het adres ligt is VEL01-I-1130. De afkorting 'VEL01' staat voor kadastrale gemeente Velp Gelderland. Het perceel is 660 m² groot. Dat is kleiner dan de gemiddelde perceeloppervlakte in Velp Gelderland, dat op 1502,35 m² ligt. Het grootste perceel in de kadastrale gemeente is 47,3 ha. Het kleinste perceel heeft een oppervlakte van 0 m². Op het perceel bevinden zich geen andere adressen. In de Basisregistratie Kadaster (BRK) werden de grenzen van het perceel geregistreerd op 25-04-2001.
Er is geen energielabel geregistreerd voor het adres. Het hoogste energielabel in de straat is B; het laagste is G. Het gemiddelde energielabel is er D. Het adres Heemskerklaan 62 heeft als status: 'verblijfsobject in gebruik'. Het pand waarin dit adres ligt heeft als status: 'pand in gebruik'.
Heemskerklaan 62 is een adres gelegen in de gemeente Rheden, provincie Gelderland. Dit adres is geregistreerd in de Basisregistratie Adressen en Gebouwen (BAG) met als unieke identificatie 0275010000008287.
Het pand op Heemskerklaan 62 is gebouwd in 1967, wat betekent dat het 59 jaar oud is. Dit is een ouder pand. Het pand heeft mogelijk aanzienlijke renovaties nodig om aan de huidige standaarden te voldoen.
De woning op Heemskerklaan 62 heeft een gebruiksoppervlakte van 198 m². Dit is ruim vergeleken met de gemiddelde Nederlandse woning, die een oppervlakte heeft van ongeveer 119 m². De gebruiksoppervlakte is de maat die wordt gebruikt in de BAG-registratie, de landelijke registratie van de Nederlandse overheid.
Heemskerklaan 62 heeft als functie: wonen. Deze gebruiksfunctie(s) zijn vastgelegd in de BAG-registratie en geven aan waarvoor het adres officieel mag worden gebruikt.
Heemskerklaan 62 is gelegen op kadastraal perceel VEL01I1130. Deze kadastrale aanduiding is uniek en wordt gebruikt door het Kadaster om eigendomsrechten en andere zakelijke rechten vast te leggen. Het perceel maakt onderdeel uit van de kadastrale gemeente Velp Gelderland.
Het perceel waarop Heemskerklaan 62 staat heeft een oppervlakte van 660 m². Dit is een groot perceel. De perceeloppervlakte wordt geregistreerd door het Kadaster. Gedetailleerde informatie over de maten van dit perceel kunt u vinden in het rapport Kadastrale kaart met maatvoering van Heemskerklaan 62.
De eigenaar van Heemskerklaan 62 is op te vragen op deze pagina.
De informatie over dit adres is afkomstig uit officiële overheidsregistraties, voornamelijk de Basisregistratie Adressen en Gebouwen (BAG) en de Basisregistratie Kadaster (BRK). Deze gegevens worden beheerd door respectievelijk gemeenten en het Kadaster, en worden regelmatig bijgewerkt. Energielabelgegevens komen uit de database van de Rijksdienst voor Ondernemend Nederland (RVO).
