
Herman Gorterstraat 71 is gelegen in de plaats Venlo, de gemeente Venlo en de provincie Limburg. Het verblijfsobject is vergeleken met het Nederlandse gemiddelde aan de kleine kant: de oppervlakte is 81 m². Het perceel waarop het adres zich bevindt heeft een oppervlakte van 438 m². In vergelijking met de andere adressen in de straat is de oppervlakte van dit object relatief groot. Het grootste verblijfsobject heeft een oppervlakte van 85 m², de oppervlakte van het kleinste object bedraagt 72 m². Het adres Herman Gorterstraat 71 ligt in een relatief oud pand uit het jaar 1955. Panden van vóór het jaar 1965 hebben we hier geclassificeerd als oud. Gemiddeld zijn de gebouwen in de straat gebouwd in 1955. Dit is het oudste pand in de straat. Het meest recente komt uit het jaar 1956. De volgende gebruiksdoelen zijn geregistreerd voor dit adres: 'woonfunctie'.
Deze woning is voor het laatst verkocht op 1 mei 2021. Meer informatie over deze transactie? Bestel het Woningtransactierapport om de verkoopprijs en andere informatie te zien.
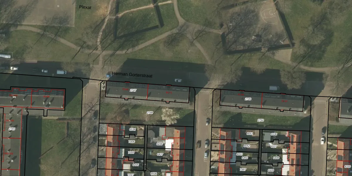
Het perceel waarop het adres ligt is VLO00-M-2747. De afkorting 'VLO00' staat voor kadastrale gemeente Venlo. Het perceel is 438 m² groot. Dat is kleiner dan de gemiddelde perceeloppervlakte in Venlo, dat op 1969,62 m² ligt. De grootste perceeloppervlakte in de kadastrale gemeente is 82,6 ha. De kleinste oppervlakte bedraagt 0 m². Op het perceel liggen in totaal 12 adressen. De laatste wijziging in het de Basisregistratie Kadaster (BRK) was op 03-11-2009.
Het adres ligt in een gebouw van het type 'flatwoning (overig) met het subtype tussendak'. Bij de laatste meting is voor het adres het energielabel E geregistreerd. Het hoogste energielabel in de straat is C; het laagste is G. Het gemiddelde energielabel is er D. Het adres Herman Gorterstraat 71 heeft als status: 'verblijfsobject in gebruik'. Het pand waarin dit adres ligt heeft als status: 'pand in gebruik'.
Herman Gorterstraat 71 is een adres gelegen in de gemeente Venlo, provincie Limburg. Dit adres is geregistreerd in de Basisregistratie Adressen en Gebouwen (BAG) met als unieke identificatie 0983010000015339.
Het pand op Herman Gorterstraat 71 is gebouwd in 1955, wat betekent dat het 71 jaar oud is. Dit is een ouder pand. Het pand heeft mogelijk aanzienlijke renovaties nodig om aan de huidige standaarden te voldoen.
De woning op Herman Gorterstraat 71 heeft een gebruiksoppervlakte van 81 m². Dit is onder het gemiddelde vergeleken met de gemiddelde Nederlandse woning, die een oppervlakte heeft van ongeveer 119 m². De gebruiksoppervlakte is de maat die wordt gebruikt in de BAG-registratie, de landelijke registratie van de Nederlandse overheid.
Herman Gorterstraat 71 heeft als functie: wonen. Deze gebruiksfunctie(s) zijn vastgelegd in de BAG-registratie en geven aan waarvoor het adres officieel mag worden gebruikt.
Herman Gorterstraat 71 is gelegen op kadastraal perceel VLO00M2747. Deze kadastrale aanduiding is uniek en wordt gebruikt door het Kadaster om eigendomsrechten en andere zakelijke rechten vast te leggen. Het perceel maakt onderdeel uit van de kadastrale gemeente Venlo.
Het perceel waarop Herman Gorterstraat 71 staat heeft een oppervlakte van 438 m². Dit is een groot perceel. De perceeloppervlakte wordt geregistreerd door het Kadaster. Gedetailleerde informatie over de maten van dit perceel kunt u vinden in het rapport Kadastrale kaart met maatvoering van Herman Gorterstraat 71.
De eigenaar van Herman Gorterstraat 71 is op te vragen op deze pagina.
De informatie over dit adres is afkomstig uit officiële overheidsregistraties, voornamelijk de Basisregistratie Adressen en Gebouwen (BAG) en de Basisregistratie Kadaster (BRK). Deze gegevens worden beheerd door respectievelijk gemeenten en het Kadaster, en worden regelmatig bijgewerkt. Energielabelgegevens komen uit de database van de Rijksdienst voor Ondernemend Nederland (RVO).
