
Manresapark 98 is een adres in Venlo, dat zich bevindt binnen de gemeentegrenzen van Venlo en de grenzen van de provincie Limburg. De oppervlakte van het object bedraagt 82 m². Dat is klein vergeleken met het Nederlandse gemiddelde. Het perceel waarop het adres ligt is 3385 m² groot. Het object is klein ten opzichte van de andere adressen in de straat. Het grootste verblijfsobject is 410 m² groot en het kleinste is 80 m². Manresapark 98 ligt in een gebouw uit het jaar 2021. Daarmee behoort het tot de groep panden van na 1984, die we als relatief nieuw bestempelen. In de straat komt het nieuwste gebouw uit het jaar 2022 en het oudste uit 2020. Het bouwjaar van dit object is relatief oud. De volgende gebruiksdoelen zijn geregistreerd voor dit adres: 'woonfunctie'.
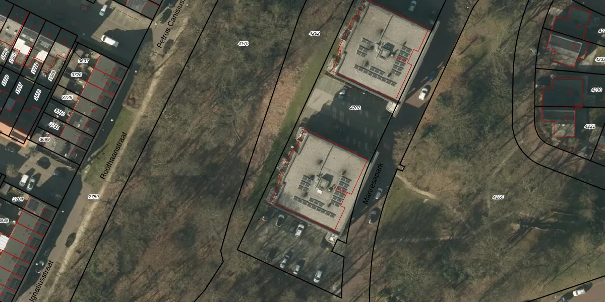
Het perceel waarop het adres ligt is VLO00-F-4202. De afkorting 'VLO00' staat voor kadastrale gemeente Venlo. De oppervlakte van het perceel is 3385 m². Dat is groter dan gemiddeld in Venlo, waar de gemiddelde perceeloppervlakte op 1969,49 m² ligt. Het grootste perceel in de kadastrale gemeente is 82,6 ha. Het kleinste perceel heeft een oppervlakte van 0 m². Op het perceel zijn 42 adressen aanwezig. De huidige grenzen van het perceel zijn digitaal in de Basisregistratie Kadaster (BRK) geregistreerd op 06-05-2022.
Het adres ligt in een gebouw van het type 'appartement met het subtype hoekdak'. Bij de laatste meting is voor het adres het energielabel A+++ geregistreerd. Het hoogste energielabel in de straat is A+++; het laagste is G. Het gemiddelde energielabel is er A++. Het adres Manresapark 98 heeft als status: 'verblijfsobject in gebruik'. Het pand waarin dit adres ligt heeft als status: 'pand in gebruik'.
Manresapark 98 is een adres gelegen in de gemeente Venlo, provincie Limburg. Dit adres is geregistreerd in de Basisregistratie Adressen en Gebouwen (BAG) met als unieke identificatie 0983010000160607.
Het pand op Manresapark 98 is gebouwd in 2021, wat betekent dat het 5 jaar oud is. Dit is een vrij nieuw pand. Het pand is dus waarschijnlijk goed geïsoleerd, geluidsdicht en voldoet aan de huidige bouwstandaarden. Op korte termijn zijn er waarschijnlijk weinig onderhoudskosten.
De woning op Manresapark 98 heeft een gebruiksoppervlakte van 82 m². Dit is onder het gemiddelde vergeleken met de gemiddelde Nederlandse woning, die een oppervlakte heeft van ongeveer 119 m². De gebruiksoppervlakte is de maat die wordt gebruikt in de BAG-registratie, de landelijke registratie van de Nederlandse overheid.
Manresapark 98 heeft als functie: wonen. Deze gebruiksfunctie(s) zijn vastgelegd in de BAG-registratie en geven aan waarvoor het adres officieel mag worden gebruikt.
Manresapark 98 is gelegen op kadastraal perceel VLO00F4202. Deze kadastrale aanduiding is uniek en wordt gebruikt door het Kadaster om eigendomsrechten en andere zakelijke rechten vast te leggen. Het perceel maakt onderdeel uit van de kadastrale gemeente Venlo.
Het perceel waarop Manresapark 98 staat heeft een oppervlakte van 3385 m². Dit is een zeer groot perceel. De perceeloppervlakte wordt geregistreerd door het Kadaster. Gedetailleerde informatie over de maten van dit perceel kunt u vinden in het rapport Kadastrale kaart met maatvoering van Manresapark 98.
De eigenaar van Manresapark 98 is op te vragen op deze pagina.
De informatie over dit adres is afkomstig uit officiële overheidsregistraties, voornamelijk de Basisregistratie Adressen en Gebouwen (BAG) en de Basisregistratie Kadaster (BRK). Deze gegevens worden beheerd door respectievelijk gemeenten en het Kadaster, en worden regelmatig bijgewerkt. Energielabelgegevens komen uit de database van de Rijksdienst voor Ondernemend Nederland (RVO).
