
Het adres Rijnbeekstraat 280 bevindt zich in de plaats Venlo, in de gemeente Venlo en de provincie Limburg. Het verblijfsobject is vergeleken met het Nederlandse gemiddelde aan de kleine kant: de oppervlakte is 52 m². Het perceel waarop het adres zich bevindt heeft een oppervlakte van 879 m². Het object is klein ten opzichte van de andere adressen in de straat. Het grootste verblijfsobject is 1,1 ha groot en het kleinste is 18 m². De gemiddelde bouwperiode van gebouwen in Nederland ligt tussen de jaren 1965-1984. Dat geldt ook voor het bouwjaar van Rijnbeekstraat 280: het is gebouwd in het jaar 1965. Het nieuwste gebouw in de straat komt uit 2011 en het oudste uit 1939. Dit object is relatief oud. Het verblijfsobject heeft de volgende gebruiksdoelen: 'woonfunctie'.
Deze woning is voor het laatst verkocht op 1 juni 2017. Meer informatie over deze transactie? Bestel het Woningtransactierapport om de verkoopprijs en andere informatie te zien.
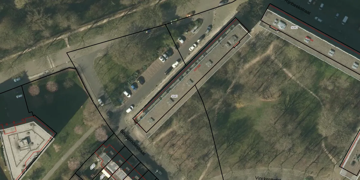
Het perceel waarop het adres ligt is VLO00-D-5043. De afkorting 'VLO00' staat voor kadastrale gemeente Venlo. Het perceel is kleiner dan gemiddeld in Venlo. Het perceel is 879 m² groot, terwijl het gemiddelde ligt op 1969,62 m². Het kleinste perceel in de kadastrale gemeente is 0 m² groot. De grootste perceeloppervlakte is 82,6 ha. Op het perceel liggen in totaal 60 adressen. In de Basisregistratie Kadaster (BRK) werden de grenzen van het perceel geregistreerd op 18-08-2008.
Het adres ligt in een gebouw van het type 'flatwoning (overig) met het subtype hoekmidden'. Bij de laatste meting is voor het adres het energielabel F geregistreerd. Het hoogste energielabel in de straat is A+; het laagste is G. Het gemiddelde energielabel is er C. Het adres Rijnbeekstraat 280 heeft als status: 'verblijfsobject in gebruik'. Het pand waarin dit adres ligt heeft als status: 'pand in gebruik'.
Rijnbeekstraat 280 is een adres gelegen in de gemeente Venlo, provincie Limburg. Dit adres is geregistreerd in de Basisregistratie Adressen en Gebouwen (BAG) met als unieke identificatie 0983010000013488.
Het pand op Rijnbeekstraat 280 is gebouwd in 1965, wat betekent dat het 61 jaar oud is. Dit is een ouder pand. Het pand heeft mogelijk aanzienlijke renovaties nodig om aan de huidige standaarden te voldoen.
De woning op Rijnbeekstraat 280 heeft een gebruiksoppervlakte van 52 m². Dit is relatief klein vergeleken met de gemiddelde Nederlandse woning, die een oppervlakte heeft van ongeveer 119 m². De gebruiksoppervlakte is de maat die wordt gebruikt in de BAG-registratie, de landelijke registratie van de Nederlandse overheid.
Rijnbeekstraat 280 heeft als functie: wonen. Deze gebruiksfunctie(s) zijn vastgelegd in de BAG-registratie en geven aan waarvoor het adres officieel mag worden gebruikt.
Rijnbeekstraat 280 is gelegen op kadastraal perceel VLO00D5043. Deze kadastrale aanduiding is uniek en wordt gebruikt door het Kadaster om eigendomsrechten en andere zakelijke rechten vast te leggen. Het perceel maakt onderdeel uit van de kadastrale gemeente Venlo.
Het perceel waarop Rijnbeekstraat 280 staat heeft een oppervlakte van 879 m². Dit is een groot perceel. De perceeloppervlakte wordt geregistreerd door het Kadaster. Gedetailleerde informatie over de maten van dit perceel kunt u vinden in het rapport Kadastrale kaart met maatvoering van Rijnbeekstraat 280.
De eigenaar van Rijnbeekstraat 280 is op te vragen op deze pagina.
De informatie over dit adres is afkomstig uit officiële overheidsregistraties, voornamelijk de Basisregistratie Adressen en Gebouwen (BAG) en de Basisregistratie Kadaster (BRK). Deze gegevens worden beheerd door respectievelijk gemeenten en het Kadaster, en worden regelmatig bijgewerkt. Energielabelgegevens komen uit de database van de Rijksdienst voor Ondernemend Nederland (RVO).
