
Tollensstraat 5 is gelegen in de plaats Venlo, de gemeente Venlo en de provincie Limburg. De oppervlakte van het object bedraagt 78 m². Dat is klein vergeleken met het Nederlandse gemiddelde. Het perceel waarop het adres ligt is 587 m² groot. Het object is klein ten opzichte van de andere adressen in de straat. Het grootste verblijfsobject is 644 m² groot en het kleinste is 41 m². Tollensstraat 5 bevindt zich in een pand uit het jaar 1955. Daarmee behoort het tot de groep relatief oude panden in Nederland die gebouwd zijn vóór 1965. Dit is het oudste object in de straat. Het nieuwste pand komt uit 1978 en het gemiddelde bouwjaar in de straat is 1960. Voor het verblijfsobject gelden deze gebruiksdoelen: 'woonfunctie'.
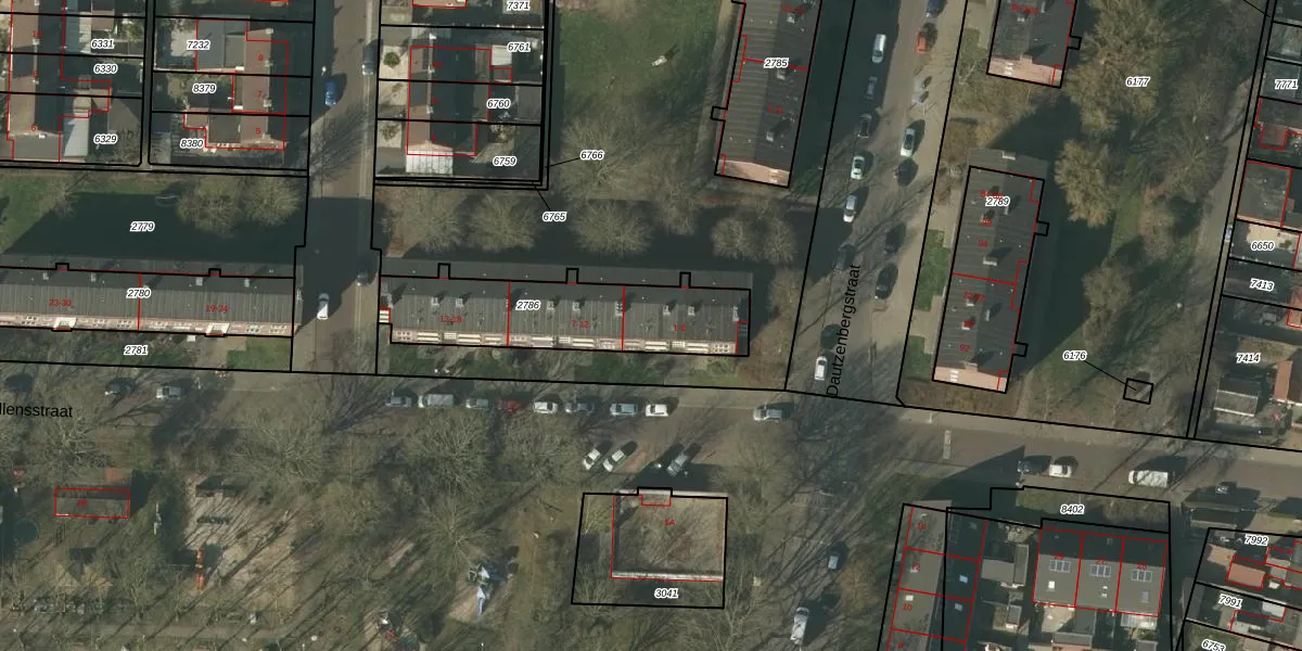
Het perceel waarop het adres ligt is VLO00-M-2786. De afkorting 'VLO00' staat voor kadastrale gemeente Venlo. De gemiddelde perceelgrootte in Venlo is 1969,62 m². Dit perceel is kleiner: de perceeloppervlakte bedraagt 587 m². Het grootste perceel in de kadastrale gemeente is 82,6 ha. Het kleinste perceel heeft een oppervlakte van 0 m². Op het perceel zijn 18 adressen aanwezig. De laatste wijziging in het de Basisregistratie Kadaster (BRK) was op 03-05-2006.
Het adres ligt in een gebouw van het type 'appartement met het subtype tussenmidden'. Bij de laatste meting is voor het adres het energielabel C geregistreerd. Het hoogste energielabel in de straat is A; het laagste is G. Het gemiddelde energielabel is er E. Het adres Tollensstraat 5 heeft als status: 'verblijfsobject in gebruik'. Het pand waarin dit adres ligt heeft als status: 'pand in gebruik'.
Tollensstraat 5 is een adres gelegen in de gemeente Venlo, provincie Limburg. Dit adres is geregistreerd in de Basisregistratie Adressen en Gebouwen (BAG) met als unieke identificatie 0983010000014563.
Het pand op Tollensstraat 5 is gebouwd in 1955, wat betekent dat het 71 jaar oud is. Dit is een ouder pand. Het pand heeft mogelijk aanzienlijke renovaties nodig om aan de huidige standaarden te voldoen.
De woning op Tollensstraat 5 heeft een gebruiksoppervlakte van 78 m². Dit is onder het gemiddelde vergeleken met de gemiddelde Nederlandse woning, die een oppervlakte heeft van ongeveer 119 m². De gebruiksoppervlakte is de maat die wordt gebruikt in de BAG-registratie, de landelijke registratie van de Nederlandse overheid.
Tollensstraat 5 heeft als functie: wonen. Deze gebruiksfunctie(s) zijn vastgelegd in de BAG-registratie en geven aan waarvoor het adres officieel mag worden gebruikt.
Tollensstraat 5 is gelegen op kadastraal perceel VLO00M2786. Deze kadastrale aanduiding is uniek en wordt gebruikt door het Kadaster om eigendomsrechten en andere zakelijke rechten vast te leggen. Het perceel maakt onderdeel uit van de kadastrale gemeente Venlo.
Het perceel waarop Tollensstraat 5 staat heeft een oppervlakte van 587 m². Dit is een groot perceel. De perceeloppervlakte wordt geregistreerd door het Kadaster. Gedetailleerde informatie over de maten van dit perceel kunt u vinden in het rapport Kadastrale kaart met maatvoering van Tollensstraat 5.
De eigenaar van Tollensstraat 5 is op te vragen op deze pagina.
De informatie over dit adres is afkomstig uit officiële overheidsregistraties, voornamelijk de Basisregistratie Adressen en Gebouwen (BAG) en de Basisregistratie Kadaster (BRK). Deze gegevens worden beheerd door respectievelijk gemeenten en het Kadaster, en worden regelmatig bijgewerkt. Energielabelgegevens komen uit de database van de Rijksdienst voor Ondernemend Nederland (RVO).
